감성돔(어초 여밭)대물들 팅~4짜급들 짜릿한 손맛~가고파호(11일 예약)

회원랭킹(월 글등록)


공지사항


NaverBand
점주/선장 > 4대돔 조황(감성돔,돌돔,참돔,벵에돔)

▶ 지켜주세요! ◀
 
 - 4대돔(감성돔,돌돔,참돔,벵에돔) 조황을 올리는 게시판입니다.
   타 어종 등재시 예고없이 게시글 삭제 및 이용정지 됩니다.
 - 제목에 특수문자 사용하시면 안됩니다. (온점, 쉼표, 느낌표, 괄호, 물결만 허용)

 ☆ 공지사항에 조황등재시 유의사항을 꼭 확인하여 조황작성 부탁드리며,
     가장 기본적인 규칙이 지켜지지 않을 시, 예고없이 삭제 및 이용정지 될 수 있음을 알려드립니다. 

 
b_hot_innakmall_200x80_240307.jpg b_hot_innakmall_200x80_220704.jpg b_hot_ggsusan_hongeu_200x80.gif b_hot_innakmall_200x80_211203.gif

감성돔(어초 여밭)대물들 팅~4짜급들 짜릿한 손맛~가고파호(11일 예약)

거제가고파 1 18
● 출항지 : 거제
홈페이지 밴드 바로가기
9일(월요일) 선상 감성돔낚시 "가고파호" (철수) 핫조황입니다.
※ 감성돔 53Cm이상 포획시, 가고파호 공동이벤트 AJIKA 최상급 라인 증정.
※ 주차하고 선착장까지 바로 연결되어 편리합니다.

★11일(수요일) 3물, 거제권 선상 감성돔 낚시 "예약가능"
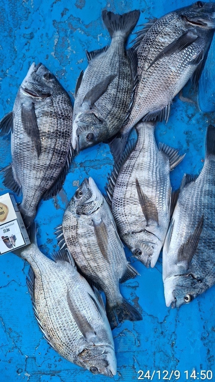
감성돔(어초여밭)4짜급들로 화끈한 손맛~
  • 사용자가 올린 이미지

거제도 선상 감성돔 낚시 전문 가고파호 조황 입니다.
미약한 조류 때문인지 오늘은 아쉽게 대물의 얼굴은 보지 못했습니다.
분명 고기는 있는데 물속 상황이 맞질 않는지,
약은 입질에 헛챔질과 벗겨짐 속.. 4짜 이하급들로 손맛보고
마무리 했습니다.

내일부터는 기상 예보와 물때가 양호하니 좋은 조황이 예상됩니다
원줄 목줄 관리 철저히 하셔서 대물의 주인공이 되어 보십시오

12월 11일 수요일부터 예약 가능합니다.
오늘 출조하신 조사님들 수고 많으셨습니다. 감사합니다.

▣ 가고파호 선상낚시 출조 일정 안내 ▣
※ 감성돔 선상낚시 대물 감성돔포인트로 진입, 종일낚시만 운영됩니다.
★ 12월 11일(수요일) 감성돔낚시 "예약가능"
★ 12월 12일(목요일) 감성돔낚시 "예약가능"
★ 12월 13일(금요일) 감성돔낚시 "예약가능"
- 주중, 주말 예약 가능합니다.
  • 사용자가 올린 이미지
(8일 굵은 녀석들 사진 첨부합니다~)
  • 사용자가 올린 이미지
▩ 가고파호(선상) ☎ 010 8553 7868
▩ 뗏마 (전마선) ☎010-3336-6727
▩ 가고파호 https://blog.naver.com/gagopaho
밴드 http://band.us/@gagopaho
▩ 주소 :거제시 둔덕면 학산3길 81 (舊주소:둔덕면 학산리 109번지)
▩ 감성돔 선상낚시 안내 ▩
(주말 / 공휴일) 05:30 ~ 14시 철수 10만원 (밑밥,도시락포함)
- 생수,커피,라면,초장등, 낚시장비만 가지고 오세요

▩ 뗏마(전마선) 운영안내 ▩
- 06:00 ~ 17:30까지 가을시즌 운영됩니다.
- 1인용 6만원, 2인용 7만원, 3인용 8만원
- 거제도 어초위 설치 고정 뗏마.

▩ 가고파호(선상) ☎ 010 8553 7868
▩ 뗏마 (전마선) ☎010-3336-6727
▩ 가고파호 https://blog.naver.com/gagopaho 밴드 http://band.us/@gagopaho
▩ 주소 :거제시 둔덕면 학산3길 81 (舊주소:둔덕면 학산리 109번지)
  • 사용자가 올린 이미지

, , , , , , , , , , ,

  • 페이스북으로 보내기
  • 트위터로 보내기
  • 구글플러스로 보내기
  • 카카오스토리로 보내기
  • 네이버밴드로 보내기
  • 네이버로 보내기
  • 텀블러로 보내기
  • 핀터레스트로 보내기
1 댓글
거제가고파 24-12-09 16:56 0  
11일 거제도 감성돔 선상 낚시 예약가능합니다, 감사합니다.
포토 제목
 
 

인낚 최신글


인낚 최신댓글


온라인 문의 안내


월~금 : 9:00 ~ 18:00
토/일/공휴일 휴무
점심시간 : 12:00 ~ 13:00