네임
카드
카드
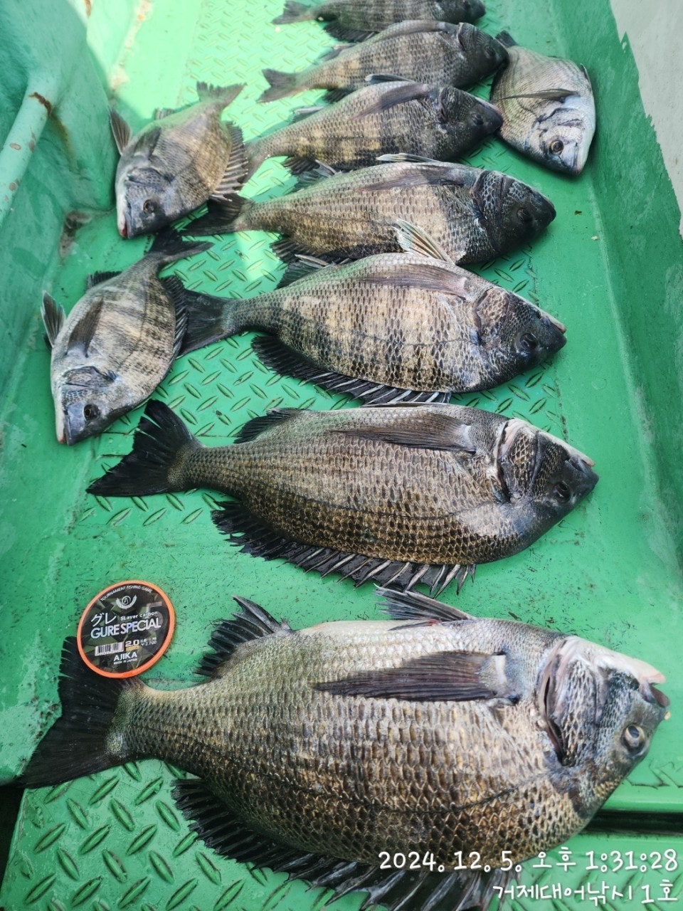
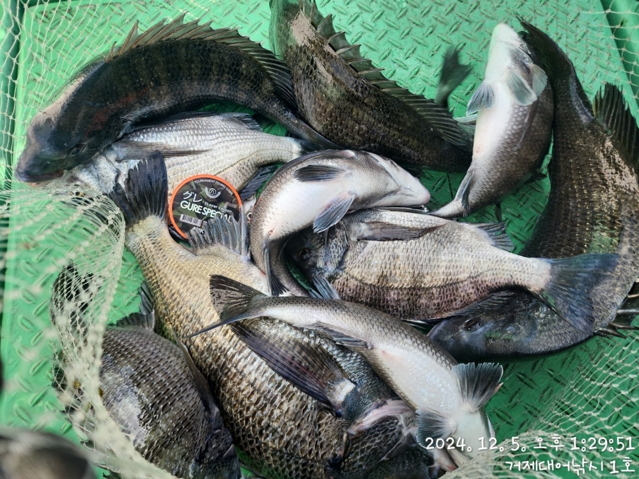
거제대어1호
감성돔(대물) 49 47 45 42외 4짜4짜4짜4짜 폭팔~거제대어1호(6일 예약)














감성돔낚시, 거제도조황, 바다낚시조황, 바다낚시.거제도숙박, 똇마, 거제도뗏마, 낚시체험, 생활낚시, 감성돔조황, 감성돔, 거제도감성돔, 선상감성돔, 어초여밭, 감성돔어초낚시, 돔낚시, 거제돔낚시, 감성돔출조점, 거제감성돔출조점, 릴찌낚시, 찌낚시감성돔, 감성돔낚시방법, 거제출조점추천, 가족낚시, 흘림낚시, 감성돔채비, 거제대어낚시, 대어낚시