감성돔(어초권)52.5cm대물등장~중치급 마릿수 까지~가고파호(5일 예약)

회원랭킹(월 글등록)


공지사항


NaverBand
점주/선장 > 4대돔 조황(감성돔,돌돔,참돔,벵에돔)

▶ 지켜주세요! ◀
 
 - 4대돔(감성돔,돌돔,참돔,벵에돔) 조황을 올리는 게시판입니다.
   타 어종 등재시 예고없이 게시글 삭제 및 이용정지 됩니다.
 - 제목에 특수문자 사용하시면 안됩니다. (온점, 쉼표, 느낌표, 괄호, 물결만 허용)

 ☆ 공지사항에 조황등재시 유의사항을 꼭 확인하여 조황작성 부탁드리며,
     가장 기본적인 규칙이 지켜지지 않을 시, 예고없이 삭제 및 이용정지 될 수 있음을 알려드립니다. 

 
b_hot_innakmall_200x80_240307.jpg b_hot_innakmall_200x80_220704.jpg b_hot_ggsusan_hongeu_200x80.gif b_hot_innakmall_200x80_211203.gif

감성돔(어초권)52.5cm대물등장~중치급 마릿수 까지~가고파호(5일 예약)

거제가고파 1 39
● 출항지 : 거제
홈페이지 밴드 바로가기
3일(화요일)선상 감성돔낚시 "가고파호" (철수) 핫조황입니다.
※ 감성돔 53Cm이상 포획시, 가고파호 공동이벤트 AJIKA 최상급 라인 증정.
※ 주차하고 선착장까지 바로 연결되어 편리합니다.

★5일(목요일) 12물, 거제권 선상 감성돔 낚시 "예약가능"
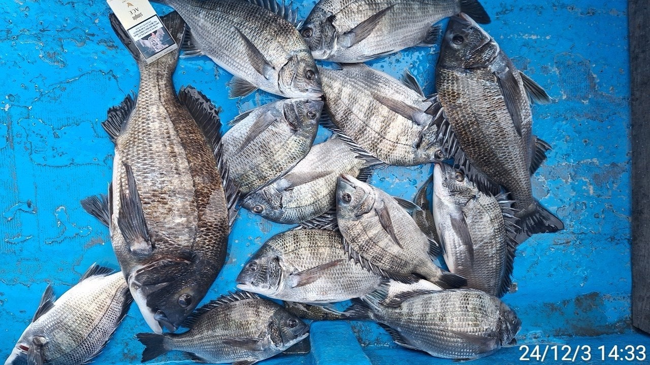
감성돔(어초)52.5cm 대물 등장~ 중치급들 마릿수 까지!!
5짜 대물 감성돔 축하드립니다~~~!!!
  • 사용자가 올린 이미지

거제도 선상 감성돔 낚시 전문 가고파호 조황 입니다.
좋은 물때에 진입하는 어초 포인트는 배신 없습니다~
매일 채비를 터트리고 달아나던 녀석들 중 한마리 인 듯 상당한
파워를 자랑하며 올라온 52.5cm의 대물 감성돔을 비롯한 중치급들
마릿수까지 환상적인 손맛과 찌맛 보고 철수 했습니다.
더 큰 녀석들도 분명 어슬렁 거리고 있을 듯 하니 내일 같은 포인트에서
다시 도전해 보도록 하겠습니다~
5짜 대물의 주인공이 되신 우리 조사님 축하드립니다~~

12월 5일 목요일부터 예약 가능합니다.
오늘 출조하신 조사님들 수고 많으셨습니다. 감사합니다.
▣ 가고파호 선상낚시 출조 일정 안내 ▣
※ 감성돔 선상낚시 대물 감성돔포인트로 진입, 종일낚시만 운영됩니다.
★ 12월 5일(목요일) 감성돔낚시 "예약가능"
★ 12월 6일(금요일) 감성돔낚시 "예약가능"
★ 12월 7일(토요일) 예약완료 감사합니다.
★ 12월 8일(일요일) 감성돔낚시 "예약가능"
- 주중, 주말 예약 가능합니다.

▩ 가고파호(선상) ☎ 010 8553 7868
▩ 뗏마 (전마선) ☎010-3336-6727
▩ 가고파호 https://blog.naver.com/gagopaho
밴드 http://band.us/@gagopaho
▩ 주소 :거제시 둔덕면 학산3길 81 (舊주소:둔덕면 학산리 109번지)
  • 사용자가 올린 이미지
  • 사용자가 올린 이미지
▩ 감성돔 선상낚시 안내 ▩
(주말 / 공휴일) 05:30 ~ 14시 철수 10만원 (밑밥,도시락포함)
- 생수,커피,라면,초장등, 낚시장비만 가지고 오세요

▩ 뗏마(전마선) 운영안내 ▩
- 06:00 ~ 17:30까지 가을시즌 운영됩니다.
- 1인용 6만원, 2인용 7만원, 3인용 8만원
- 거제도 어초위 설치 고정 뗏마.

▩ 가고파호(선상) ☎ 010 8553 7868
▩ 뗏마 (전마선) ☎010-3336-6727
▩ 가고파호 https://blog.naver.com/gagopaho 밴드 http://band.us/@gagopaho
▩ 주소 :거제시 둔덕면 학산3길 81 (舊주소:둔덕면 학산리 109번지)
  • 사용자가 올린 이미지

, , , , , , , , , , ,

  • 페이스북으로 보내기
  • 트위터로 보내기
  • 구글플러스로 보내기
  • 카카오스토리로 보내기
  • 네이버밴드로 보내기
  • 네이버로 보내기
  • 텀블러로 보내기
  • 핀터레스트로 보내기
1 댓글
거제가고파 24-12-04 09:38 0  
5일 거제도 감성돔 선상 낚시 예약가능합니다, 감사합니다.
포토 제목
 
 

인낚 최신글


인낚 최신댓글


온라인 문의 안내


월~금 : 9:00 ~ 18:00
토/일/공휴일 휴무
점심시간 : 12:00 ~ 13:00