감성돔(어초) 벵에돔 참돔 감성돔 3대돔 등장~야호 찌낚시(10일 예약)

회원랭킹(월 글등록)


공지사항


NaverBand
점주/선장 > 4대돔 조황(감성돔,돌돔,참돔,벵에돔)

▶ 지켜주세요! ◀
 
 - 4대돔(감성돔,돌돔,참돔,벵에돔) 조황을 올리는 게시판입니다.
   타 어종 등재시 예고없이 게시글 삭제 및 이용정지 됩니다.
 - 제목에 특수문자 사용하시면 안됩니다. (온점, 쉼표, 느낌표, 괄호, 물결만 허용)

 ☆ 공지사항에 조황등재시 유의사항을 꼭 확인하여 조황작성 부탁드리며,
     가장 기본적인 규칙이 지켜지지 않을 시, 예고없이 삭제 및 이용정지 될 수 있음을 알려드립니다. 

 
b_hot_innakmall_200x80_240307.jpg b_hot_innakmall_200x80_220704.jpg b_hot_ggsusan_hongeu_200x80.gif b_hot_innakmall_200x80_211203.gif

감성돔(어초) 벵에돔 참돔 감성돔 3대돔 등장~야호 찌낚시(10일 예약)

거제야호 0 43
● 출항지 : 거제
9일(토) 거제 아지랑방파제 출발 감성돔 흘림낚시 "야호"(마감)조황입니다.
※ 감성돔53Cm,참돔 65Cm 포획시 야호&아지카 이벤트 최고급라인 증정!!!

☆ 10일(일요일) 감성돔 흘림 릴찌낚시 "예약가능"
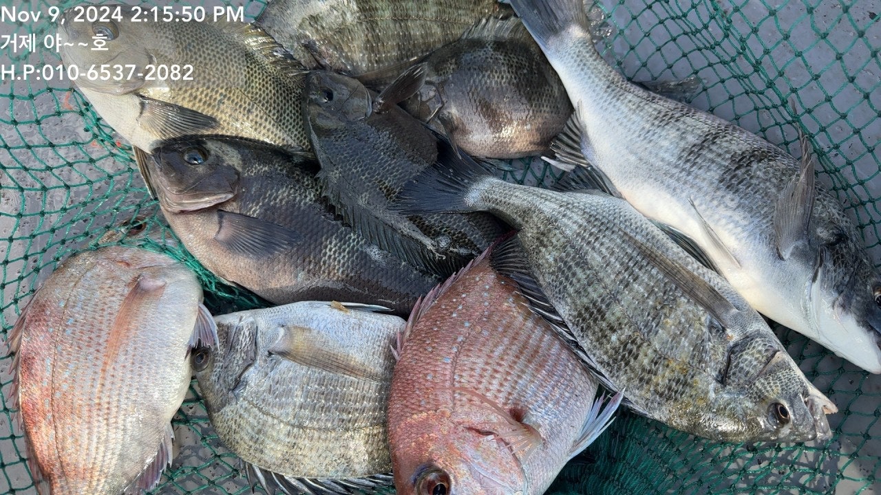
감성돔(어초여밭) 벵에돔 참돔 감성돔 3대돔 등장!
  • 사용자가 올린 이미지

야호 어초, 여밭 감성돔 흘림 조황입니다.
오늘도 돌돔을 제외한 4대돔으로 손맛을 즐기고 왔습니다.
고기는 많이 들어와있는 것 같은데 생각처럼 입질이 이어지진 않았고,
조금때라 조류가 이상해서 인지 큼지막한 녀석들은 만나지 못했습니다.
내일은 조류 소통이 좀 좋은 곳으로 달려 봐야 할 것 같습니다.
내일도 최선을 다해 보겠습니다. 예약가능합니다~

내일 11월 10일(일요일) 거제도 최고의 참돔낚시 감성돔낚시 포인트로
가이드합니다. 씨알부터, 마리수까지 좋은 물때에 손맛 도전해 보시길
바랍니다. 오늘도 거제 야호를 찾아 주신 조사님 수고 많으셨습니다.

▣ 거제 야호 출조 일정 안내 ▣
☆11월10일(일) 참돔낚시, 감성돔낚시, 선단 선외기 대여 "예약가능"
☆11월11일(월) 참돔낚시, 감성돔낚시, 선단 선외기 대여 "예약가능"
☆11월12일(화) 참돔낚시, 감성돔낚시, 선단 선외기 대여 "예약가능"
☆11월13일(수) 참돔낚시, 감성돔낚시, 선단 선외기 대여 "예약가능"
※ 주말 공휴일은 미리 미리 예약을 해 주시길 바랍니다.
※ 낚시장비가 필요하신 분들은 임대 해 드립니다. 예약시 꼭 알려 주세요.

▦ 거제 야호 예약 문의 ▦
ㅁ선상낚시 (민박) 문의 : ☎ 010-6400-2082 / ☎010-4547-3937
ㅁ선외기 문의 : ☎ 010-6400-2082
(출항지) 거제시 거제면 법동리 1074 아지랑경로당 방파제
  • 사용자가 올린 이미지
  • 사용자가 올린 이미지
  • 사용자가 올린 이미지
  • 사용자가 올린 이미지
▣ 참돔 & 감성돔낚시 ▣
(종일출조) 새벽부터 오후 2시(유동적) 철수
- 매일 출조합니다.

▣ 거제도 준내만 (야간) 갈치 루어낚시/텐야/텐빈 ▣
(출조시간) 오후 6시 30분 출발 ~ 익일 새벽 02시 (유동적)
- 맛난 도시락~ 커피, 생수 제공
(낚싯대) 초릿대가 예민한 문어대/타이라바대/갈치 지깅대
(릴) 2500번~3000번, 합사 0.6호~0.8호가 적당
(소품) 봉돌20,30,40호, L자형 편대, 집어등(스틱형 or 갈치 케미)
- 쇼크리더 경심줄은 없으신 분들은 배에서 드립니다~
※독배는 시간 조정 가능합니다.

▣ 생활낚시 & 낚시체험 ▣
- 몸만 오시면 됩니다.
- 낚싯대, 장비일절제공, 구명복 제공

■ 주변 제휴 민박집 ■
아지랑 민박(단체-독채) ☎010-6400-2082
해송굴구이민박 (단체) ☎010-2545-3755
거제 대어낚시 주변 파라스파찜질방 검색하시면 됩니다.

★안전 주의 사항★
- 거제대어낚시 선단 이용시, 안전한 낚시를 위해 선착장 통로 이용시 미끌림을
주의 해 주시길 바랍니다. 통로 좌우에 있는 핸들을 잡고 이동하시면 안전합니다.
- 선착장도착전, 배에서 미리 내리지 마시고, 배가 정박하고, 로프를 묶은 뒤에
하선해 주시길 바랍니다.

▦ 거제 야호 예약 문의 ▦
ㅁ선상낚시 (민박) 문의 : ☎ 010-6400-2082/☎010-4547-3937
ㅁ선외기 문의 : ☎ 010-6400-2082
ㅁ 거제 야호 밴드 : https://band.us/@yahoboat
(출항지) 거제시 거제면 법동리 1074번지 "아지랑경로당 방파제" 출발.
(사무실) 거제시 거제면 서정리 746-3(GS25시편의점)검색하시면 바로 옆 위치
  • 사용자가 올린 이미지

, , , , , , , , , , , , , , , , , , , , , , , , , , , , , , , , , , , , , ,

  • 페이스북으로 보내기
  • 트위터로 보내기
  • 구글플러스로 보내기
  • 카카오스토리로 보내기
  • 네이버밴드로 보내기
  • 네이버로 보내기
  • 텀블러로 보내기
  • 핀터레스트로 보내기
0 댓글
포토 제목
 
 

인낚 최신글


인낚 최신댓글


온라인 문의 안내


월~금 : 9:00 ~ 18:00
토/일/공휴일 휴무
점심시간 : 12:00 ~ 13:00