대물 감성돔 52Cm외 4짜 능성어외 대물 손맛~가고파호 (5일 예약)

회원랭킹(월 글등록)


공지사항


NaverBand
점주/선장 > 4대돔 조황(감성돔,돌돔,참돔,벵에돔)

▶ 지켜주세요! ◀
 
 - 4대돔(감성돔,돌돔,참돔,벵에돔) 조황을 올리는 게시판입니다.
   타 어종 등재시 예고없이 게시글 삭제 및 이용정지 됩니다.
 - 제목에 특수문자 사용하시면 안됩니다. (온점, 쉼표, 느낌표, 괄호, 물결만 허용)

 ☆ 공지사항에 조황등재시 유의사항을 꼭 확인하여 조황작성 부탁드리며,
     가장 기본적인 규칙이 지켜지지 않을 시, 예고없이 삭제 및 이용정지 될 수 있음을 알려드립니다. 

 
b_hot_innakmall_200x80_240307.jpg b_hot_innakmall_200x80_220704.jpg b_hot_ggsusan_hongeu_200x80.gif b_hot_innakmall_200x80_211203.gif

대물 감성돔 52Cm외 4짜 능성어외 대물 손맛~가고파호 (5일 예약)

거제가고파 1 45
● 출항지 : 거제
홈페이지 밴드 바로가기
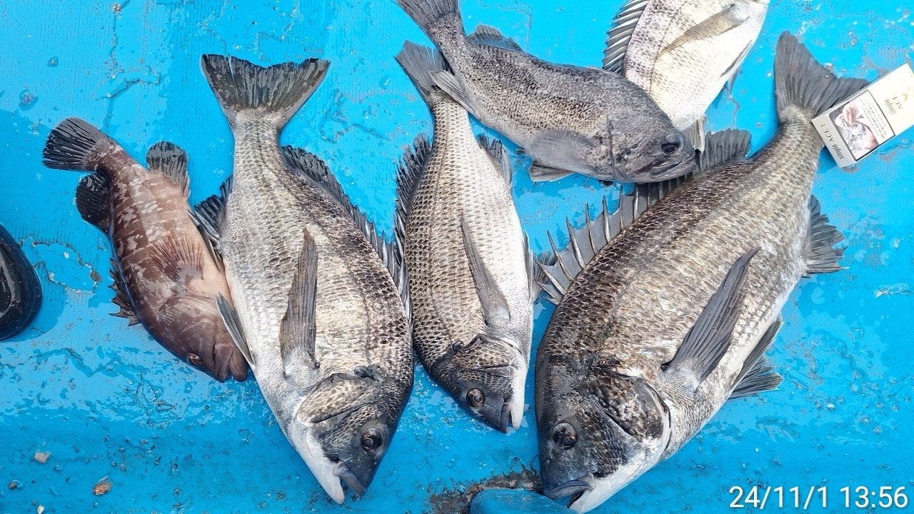
1일(금요일) 거제도 선상 감성돔낚시 "가고파호" 조황입니다.
※ 감성돔 53Cm이상 포획시, 가고파호 공동이벤트 AJIKA 최상급 라인 증정.
※ 주차하고 선착장까지 바로 연결되어 편리합니다.

★5일(화요일) 12물, 거제권 선상 감성돔 낚시 "예약가능"
대물 감성돔(찌낚시) 52Cm대물外 굵은 손맛~
아지카(AJIKA) 최상급 라인 발송해 드립니다. 축하합니다.
  • 사용자가 올린 이미지

거제도 선상 감성돔 낚시 가고파호 조황입니다.
비가 내렸던 오늘 출조, 역시 11월의 강력한 사리 물때를 타고 거제도권
대물감성돔 52Cm의 막강한 체고를 자랑했습니다. 버티기 자체가 힘들
정도의 버티기를 했지만, 오늘 선수 조사님에게 제대로 제압~뜰채에
담길 수 있었습니다. 대물 감성돔외에 4짜 감성돔과 능성어와 자연산
우럭까지 고급 어종으로 유종의 미를 거두었습니다.

11월 5일 화요일부터 예약 가능합니다.
오늘도 거제 가고파호를 찾아 주신 조사님 수고 많으셨습니다.

▣ 가고파호 뗏마낚시 출조 일정 안내 ▣
※ 감성돔 선상낚시 평일 오전낚시(7만원) & 종일낚시 선택 가능.
★ 11월 2일(토요일) 기상악화 휴무.
★ 11월 3일(일요일) 예약완료
★ 11월 5일(화요일) 감성돔낚시 "예약가능"
★ 11월 6일(수요일) 감성돔낚시 "예약가능"
★ 11월 7일(목요일) 감성돔낚시 "예약가능"
- 주중, 주말 예약 가능합니다.

▩ 가고파호(선상) ☎ 010 8553 7868
▩ 뗏마 (전마선) ☎010-3336-6727
▩ 가고파호 https://blog.naver.com/gagopaho 밴드 http://band.us/@gagopaho
▩ 주소 :거제시 둔덕면 학산3길 81 (舊주소:둔덕면 학산리 109번지)
  • 사용자가 올린 이미지
  • 사용자가 올린 이미지
52Cm대물감성돔 손맛 축하드립니다!!!
  • 사용자가 올린 이미지
▩감성돔 선상낚시 안내 ▩
(주말 / 공휴일) 05:30 ~ 14시 철수 10만원 (밑밥,도시락포함)
- 생수,커피,라면,초장등, 낚시장비만 가지고 오세요

▩ 뗏마(전마선) 운영안내 ▩
- 06:00 ~ 17:30까지 가을시즌 운영됩니다.
- 1인용 6만원, 2인용 7만원, 3인용 8만원
- 거제도 어초위 설치 고정 뗏마.

▩ 가고파호(선상) ☎ 010 8553 7868
▩ 뗏마 (전마선) ☎010-3336-6727
▩ 가고파호 https://blog.naver.com/gagopaho 밴드 http://band.us/@gagopaho
▩ 주소 :거제시 둔덕면 학산3길 81 (舊주소:둔덕면 학산리 109번지)
  • 사용자가 올린 이미지

, , , , , , , , , , ,

  • 페이스북으로 보내기
  • 트위터로 보내기
  • 구글플러스로 보내기
  • 카카오스토리로 보내기
  • 네이버밴드로 보내기
  • 네이버로 보내기
  • 텀블러로 보내기
  • 핀터레스트로 보내기
1 댓글
거제가고파 24-11-01 14:45 0  
5일 종일 감성돔 흘림낚시 예약 가능합니다. 감사합니다.
포토 제목
 
 

인낚 최신글


인낚 최신댓글


온라인 문의 안내


월~금 : 9:00 ~ 18:00
토/일/공휴일 휴무
점심시간 : 12:00 ~ 13:00