감성돔(어초흘림) 대물 5짜 45Cm외 손맛~고성베이호(16일 예약)

회원랭킹(월 글등록)


공지사항


NaverBand
점주/선장 > 4대돔 조황(감성돔,돌돔,참돔,벵에돔)

▶ 지켜주세요! ◀
 
 - 4대돔(감성돔,돌돔,참돔,벵에돔) 조황을 올리는 게시판입니다.
   타 어종 등재시 예고없이 게시글 삭제 및 이용정지 됩니다.
 - 제목에 특수문자 사용하시면 안됩니다. (온점, 쉼표, 느낌표, 괄호, 물결만 허용)

 ☆ 공지사항에 조황등재시 유의사항을 꼭 확인하여 조황작성 부탁드리며,
     가장 기본적인 규칙이 지켜지지 않을 시, 예고없이 삭제 및 이용정지 될 수 있음을 알려드립니다. 

 
b_hot_innakmall_200x80_240307.jpg b_hot_innakmall_200x80_220704.jpg b_hot_ggsusan_hongeu_200x80.gif b_hot_innakmall_200x80_211203.gif

감성돔(어초흘림) 대물 5짜 45Cm외 손맛~고성베이호(16일 예약)

고성베이호 1 65
● 출항지 : 고성
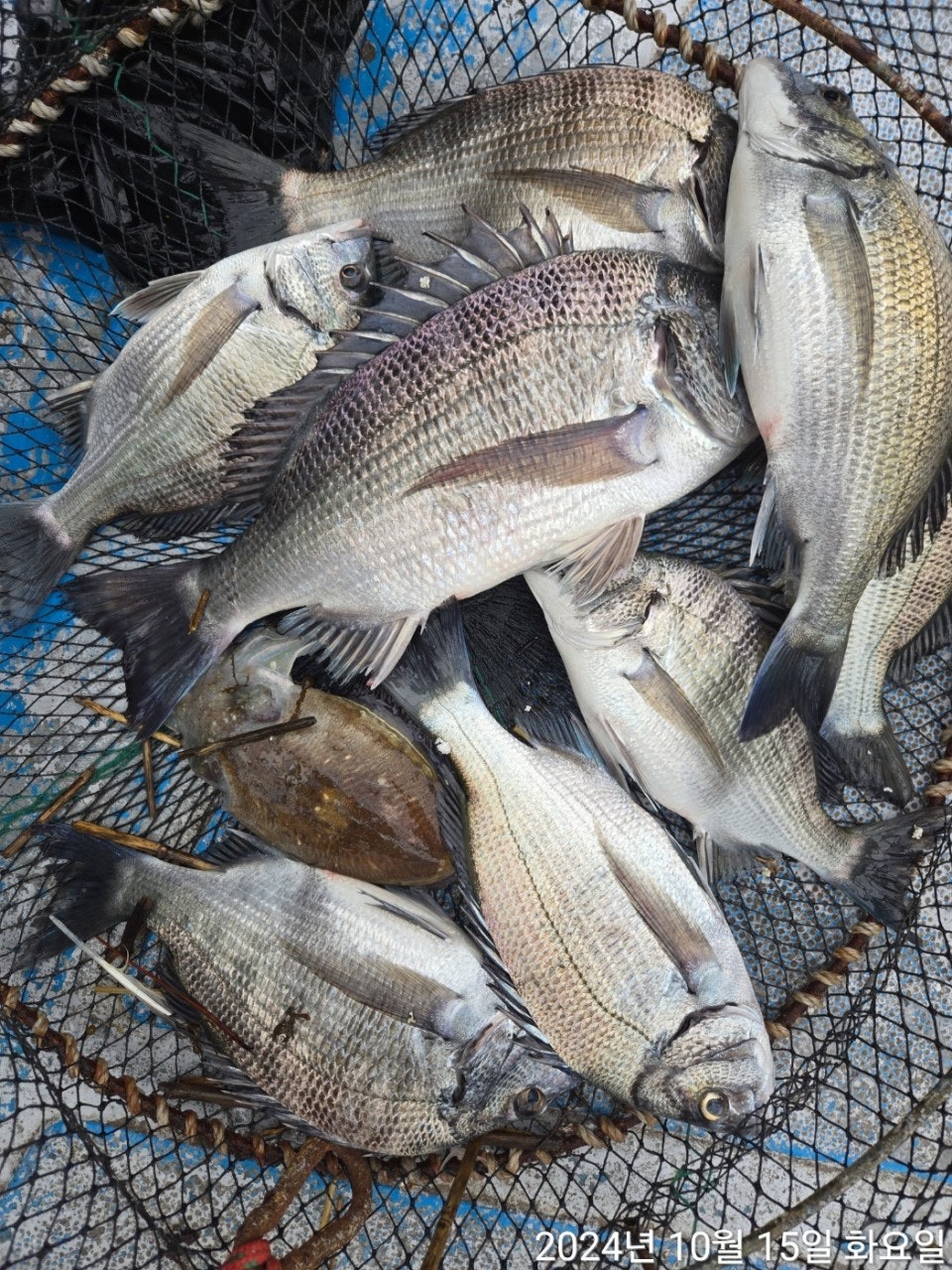
15일(화요일) 大物 자연어초 감성돔낚시 "고성베이호" 마감 조황입니다.
※ 카고 어장낚시 절대 사절~자연 어초여밭 흘림낚시만 운영!!!

★16일(수요일) 06시 출항, 자연어초 감성돔낚시 "예약가능"
감성돔(어초권 흘림) 대형급터지고~ 4짜외 마리수 폭팔~
  • 사용자가 올린 이미지

고성베이호입니다.
흐린 날씨속에서 진입한 어초포인트, 역시 물때가 살아나면서 오늘은
감성돔들이 활발하게 움직입니다. 큰씨알은 버티기 자체가 힘들 정도로
입질하면 어초쪽으로 머리를 돌려 몇수 터져 나갔지만, 오늘도 빵좋은
감성돔 4짜 전후 마릿수 조황으로 출조를 마칠 수 있었습니다. 오늘부터
주말까지 좋은 물때 유입으로 대물의 기운은 더욱 더 커집니다.

16일 수요일부터 06시 출발, 대물 손맛은 계속됩니다.
오늘도 고성베이호를 이용 해 주신 조사님 수고 많으셨습니다.

▣ 고성베이호 자연 어초 여밭 흘림낚시 출조 일정 ▣
자연 어초여밭 수중여로 모십니다!!!
★16일(수) 6물, 06시 자연어초 참돔 감성돔낚시 "예약가능"
★17일(목) 7물. 06시 자연어초 참돔 감성돔낚시 "예약가능"
★18일(금) 8물, 06시 자연어초 참돔 감성돔낚시 "예약가능"
★19일(토) 9물, 06시 자연어초 참돔 감성돔낚시 "예약가능"
※ 주중, 주말 예약 가능합니다.

■ 고성 베이호 ☎010 4598 1782
■ 출항지 : 고성군 삼산면 두포리177-16 블루웨일 글램핑內
■ 밴드 : https://band.us/@bayho
  • 사용자가 올린 이미지
  • 사용자가 올린 이미지
  • 사용자가 올린 이미지
  • 사용자가 올린 이미지
▣ 감성돔 참돔낚시 자연어초 여밭포인트 공략 ▣
1) (출항) 오전 6시 출발, 오후 2시경 (유동적)
2) 출조지역: 사량도(추도권)
원도권역 : 욕지도, 좌사리도, 갈도권
3) 밑밥, 미끼, 도시락 제공
- 커피, 생수,음료 등은 상시 비치되어 있습니다.

▣ 아지카(AJIKA)라인 특별시상 ▣
- 낚시줄회사 아지카(AJIKA)라인에서 감성돔 55Cm이상
최상급라인 "구레스페셜"원줄 증정(배송비 무료)합니다.

■ 고성 베이호 ☎010 4598 1782
■ 출항지 : 고성군 삼산면 두포리177-16 블루웨일 글램핑內
■ 밴드 : https://band.us/@bayho
■블로그 : https://blog.naver.com/bayfishing
  • 사용자가 올린 이미지

, , , , , , , , , , , , , , , , , , , , , , ,

  • 페이스북으로 보내기
  • 트위터로 보내기
  • 구글플러스로 보내기
  • 카카오스토리로 보내기
  • 네이버밴드로 보내기
  • 네이버로 보내기
  • 텀블러로 보내기
  • 핀터레스트로 보내기
1 댓글
고성베이호 24-10-15 15:38 0  
16일 어초감성돔 흘림낚시 예약 가능합니다.감사합니다
포토 제목
 
 

인낚 최신글


인낚 최신댓글


온라인 문의 안내


월~금 : 9:00 ~ 18:00
토/일/공휴일 휴무
점심시간 : 12:00 ~ 13:00