- 4대돔(감성돔,돌돔,참돔,벵에돔) 조황을 올리는 게시판입니다. 타 어종 등재시 예고없이 게시글 삭제 및 이용정지 됩니다. - 제목에 특수문자 사용하시면 안됩니다. (온점, 쉼표, 느낌표, 괄호, 물결만 허용) ☆ 공지사항에 조황등재시 유의사항을 꼭 확인하여 조황작성 부탁드리며, 가장 기본적인 규칙이 지켜지지 않을 시, 예고없이 삭제 및 이용정지 될 수 있음을 알려드립니다. |
![]() |
|
![]() |
![]() |
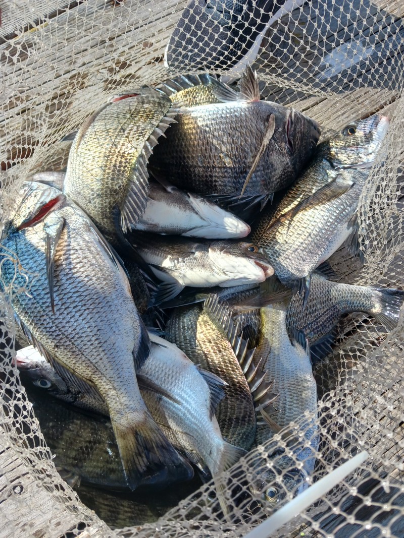
ㅡ대박 감성돔 전체50수 흘림으로 쭉쭉쭉ㅡ
ㅡ내일 금요일 문어 출발 예약가능
ㅡ모레 토요일은 흘림 예약가능
ㅡ일요일은 카고로 개인가능
오늘 비도 잠시왔지만
비교적 좋은 조건에서 낚시를
즐겼습니다.
많은 마리수 손맛을 보고
터자도 보고
회맛도 실컷 보고
7분이 50 여수로 마감되었네요.
당분간 어장 위주로 낚시를 할것이며
흐름에 따라 어초 진출 하겠습니다.
카고도 시작합니다...
님들만 오시면 출조할께염
계속 달립니다.
ㅡ문어도 적당 인원이되면 출발출발
함께하실분 연락 주세요...
많은관심 부탁드리 겠습니다...
골고루 손맛보는 그날까지 .........
모두모두 화이팅 입니다....
11 금 문어 출발 예약가능
감성돔도 예약가능
12 토 흘림 다수 예약가능
13 일 카고 개인 예약가능
14 월 예약가능
15 화 예약가능
이후에도 계속 예약가능 입니다.
ㅡ흘림선비 일인 십만ㅡ
ㅡ카고선비 일인 십이만ㅡ
식사 미끼 밑밥 포함 가격입니다.
크릴가격 따블로 올라 부득히
카고는 일만원 인상 되었습니다.
ㅡ안전운전 하세요...
ㅡ호조황 계속 이어지길 바랄께요
ㅡ010 5499 3756
ㅡ010 9664 3355
ㅡ통영시 용남면 연기길 318ㅡ
ㅡ안전운전 하세요..ㅡ
수협 0010 5499 3756 곽진호
감사 또 감사 합니다..
#통영낚시배 #감성돔 #감성돔낚시 #체험낚시 #문어낚시#통영체험낚시 #통영스피드낚시 #생활낚시 #돌문어 #통영문어낚시 #문어낚시 #문어 #통영배낚시 #통영선상낚시 #거제선상낚시 #통영바다낚시 #거제배낚시 #통영낚시체험ㆍ
ㆍ
ㆍ
ㆍ
ㆍ
ㆍ
ㆍ
ㆍ
ㆍ
|
|
|
|














