카드
거제시 거제면 법동리 536-24
- 4대돔(감성돔,돌돔,참돔,벵에돔) 조황을 올리는 게시판입니다. 타 어종 등재시 예고없이 게시글 삭제 및 이용정지 됩니다. - 제목에 특수문자 사용하시면 안됩니다. (온점, 쉼표, 느낌표, 괄호, 물결만 허용) ☆ 공지사항에 조황등재시 유의사항을 꼭 확인하여 조황작성 부탁드리며, 가장 기본적인 규칙이 지켜지지 않을 시, 예고없이 삭제 및 이용정지 될 수 있음을 알려드립니다. |
![]() |
|
![]() |
![]() |
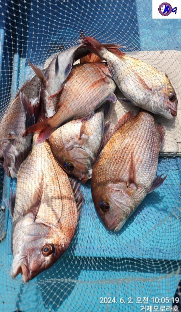
거제시 거제면 법동리 536-24
거제 감성돔,참돔,생활낚시 전문 "오로라호" 금일 조황입니다.
살아나는 물때라 대물들의 활성도도 덩달아 살아나는듯 합니다.
먼바다 본류대 빠가급 참돔들이 빠른 조류속에서도
원줄 가져가는게 총알급 입니다.
새벽녘 부터 시작된 폭발적인 입질에
4짜초반,중반급으로 마리수 손맛보고
7짜 빵좋은 놈이 드디어 제대로 화이팅을 보여주며
조사님들의 엔돌핀을 팍팍 상승 시키네요.
연이어, 빠가급 한방 제대로 걸어 화이팅 하다 목줄이 슬켜
걸레가 되버리며 팅~ 해버리는 아쉬운 상황도 벌어지네요.
7짜외 딱 먹기좋은 사이즈 45~40급으로 두자리수 얼굴보고
왔습니다.
내일부터 주말까지 날씨도, 물때도 받혀주는게
대물빠가급 기록고기 도전해봐도 좋을것 같습니다.
금,토,일 예약가능 합니다.

【예약일정】
☞ 6/7 (금) 참돔.감성돔 예약가능, 자리 여유
☞ 6/8 (토) 참돔.감성돔 예약가능, 자리 여유
☞ 6/9 (일) 참돔 예약가능, 2자리 여유
☞ 6/10 (월) 이후 쭉~참돔, 감성돔예약가능
※ 주말예약은 서둘러 주세요.
※ 참돔 이벤트 진행중(밴드회원)
【예약문의】
☞ 오로라호 윤선장 010 - 3003 - 6664
☞ 예약계좌 : 수협 (윤진호)
2020 - 5055 - 4259
☞ 출항지 주소 :
거제시 거제면 법동리 536-24번지
(법동 낚시공원 입구 방파제앞 주차장)
[오로라호 밴드]
☞ 밴드 회원 대상 참돔 big one 이벤트 진행중(5/1~ )
(이벤트 내용 "오로라 밴드" 공지사항 확인 가능)
☞ 실시간, 상세 조황,이벤트,예약상세일정 등 확인가능
☞ 네이버 " 거제오로라호" 검색 OR
☞ https://band.us/@aurora
※ 신조선으로 깨끗한 화장실 및 동급 최대의 낚시공간 확보로
여유있게 낚시 즐기실수 있습니다.
,
,
,
,
, 
【참돔/부시리낚시 안내】
☞ 선비: 새벽~14시 전후(유동적) 13만
☞ 밑밥, 미끼, 도시락, 커피, 음료,
생수 일괄 제공
☞ 낚시대 : 5.3M기준 2호대
☞ 릴 : 4000~6000번 (원줄 5~12호)
☞ 수중찌 : -B ~ -3B (목줄 5 ~ 12호)
/ 바늘 참돔 8 ~ 14호
☞ 초보조사님 1:1 개인레슨 및
장비대여 가능
☞ 독배예약시 시간 조절 가능
[오로라호 자체 숙소 및 휴계소 운영중]
☞ 냉,난방,온수,샤워시설, 취사가능한 오로라호 자체 숙소 운영중
(출항전 사전도착후 취침 및 휴식 가능, 이용 만족도가 좋습니다.)
☞ 낚시전,후 뒤풀이 및 회식가능
☞ 철수후 잡은물고기 얼음 꽉꽉 채우고,정비해서 출발 하세요.
(냉동실 꺼내가시면 됩니다.)

낚시, 거제낚시, 거제도낚시, 거제선상낚시, 선상낚시, 경남선상낚시, 배낚시, 거제배낚시, 경남배낚시, 거제, 거제도, 오로라, 거제오로라, 오로라피싱, 오로라호, 거제생활낚시, 거제도생활낚시, 생활낚시, 경남생활낚시, 참돔 거제참돔낚시, 거제도참돔, 참돔조황, 거제참돔채비, 거제참돔전유동, 참돔낚시, 부시리낚시, 거제부시리, 방어낚시, 감성돔, 거제감성돔낚시, 감성돔선상흘림, 감성돔조황, 거제도감성돔, 감성돔낚시, 감성돔흘림, 문어, 거제도문어낚시, 문어낚시, 감성돔 반유동 채비, 쭈꾸미, 거제쭈꾸미, 쭈꾸미낚시, 체험낚시,
|
|