카드
경남 사천시 팔포3길 56-55 (사량도여객선터미널 앞 방파제)
- 4대돔(감성돔,돌돔,참돔,벵에돔) 조황을 올리는 게시판입니다. 타 어종 등재시 예고없이 게시글 삭제 및 이용정지 됩니다. - 제목에 특수문자 사용하시면 안됩니다. (온점, 쉼표, 느낌표, 괄호, 물결만 허용) ☆ 공지사항에 조황등재시 유의사항을 꼭 확인하여 조황작성 부탁드리며, 가장 기본적인 규칙이 지켜지지 않을 시, 예고없이 삭제 및 이용정지 될 수 있음을 알려드립니다. |
![]() |
|
![]() |
![]() |
경남 사천시 팔포3길 56-55 (사량도여객선터미널 앞 방파제)
예약및 문의 01063376339
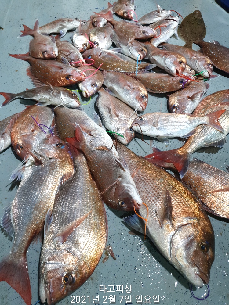
2월7일(일.3물) 타이라바 조황입니다.
오늘은 너울에 바람에 낚시하기 힘든상황이었지만
조사님들의 열낚덕분에
5짜,4짜,3짜 제대로 손맛보고 철수했습니다.
방생도 많았고,
아쉽게 털린 놈도 꽤 있었습니다.
함께하신 조사님들 고생많으셨습니다.
조황사진을 참고하세요.
화요일(9일)부터 쭈욱 예약가능합니다.
설연휴도 쭈욱 출조합니다.
고향에 못가신 섭섭한 마음을
낚시로 달래보시죠~
출조계획있으신 조사님들 연락주세요.
타이라바 5인 이상 매일 출조합니다.
날씨가 추우니 따뜻하게 입고 오세요.
마스크 착용은 필수입니다!
(선실에서 마스크 벗으시면 안됩니다!)
그동안 쌓은 노하우로
조사님들의 안낚 즐낚을 책임지겠습니다.
[타이라바 출조안내]
출항:오전 6시 입항: 오후6시 전후
신분증 꼭 챙기세요.
선비: 10만원
청개비는 개인 준비하시면 됩니다.
쿨러.얼음(잡어용)
헤드 80g~150g (200g)
원줄: 합사0.8호~1호 (8합사)
쇼크리더: 3호~4호
5인이상 출조합니다.
기상악화시 출조가 취소 될 수 있습니다.
타이라바전용 낚싯대 유료대여(1만원)
식사.물.커피.컵라면 서비스제공
*코로나19예방을 위해 마스크 꼭 착용하세요.
*초보분들은 조금 일찍 오셔서 채비 및 낚시방법을 미리 숙지 하세요.
*낚싯대, 구명조끼 대여는 예약시 미리 말씀 해 주세요.
한 번도 안 타본 사람은 있어도
한 번만 타는 사람은 없다는 타고피싱입니다.
타고피싱은
첨단장비를 갖추고있습니다.
넓고 쾌적한 선실
깨끗한 수세식 화장실
개인 해수라인 완비
배를 잘 잡아주는 젊은 선장과
친절한 사무장이 함께 합니다.









타고피싱밴드에 가입하시면 더욱편리하게
조황과 예약현황을 확인할 수 있습니다.
http://band.us/@tagofishingclub
☎예약 및 문의 010 6337 6339
010 3340 7779
찾아오시는 길 : 경남 사천시 팔포3길 56-45
( 화장실 좌측노란크레인 방향 .컨테이너)
신분증 필수지참
선내 음주 금지 및 주류 반입금지
구명 조끼 착용 의무화
|
|
|
|







