네임
카드
카드
진해안골청파호
경남 창원시 진해구 안골동 821-4
01093397731
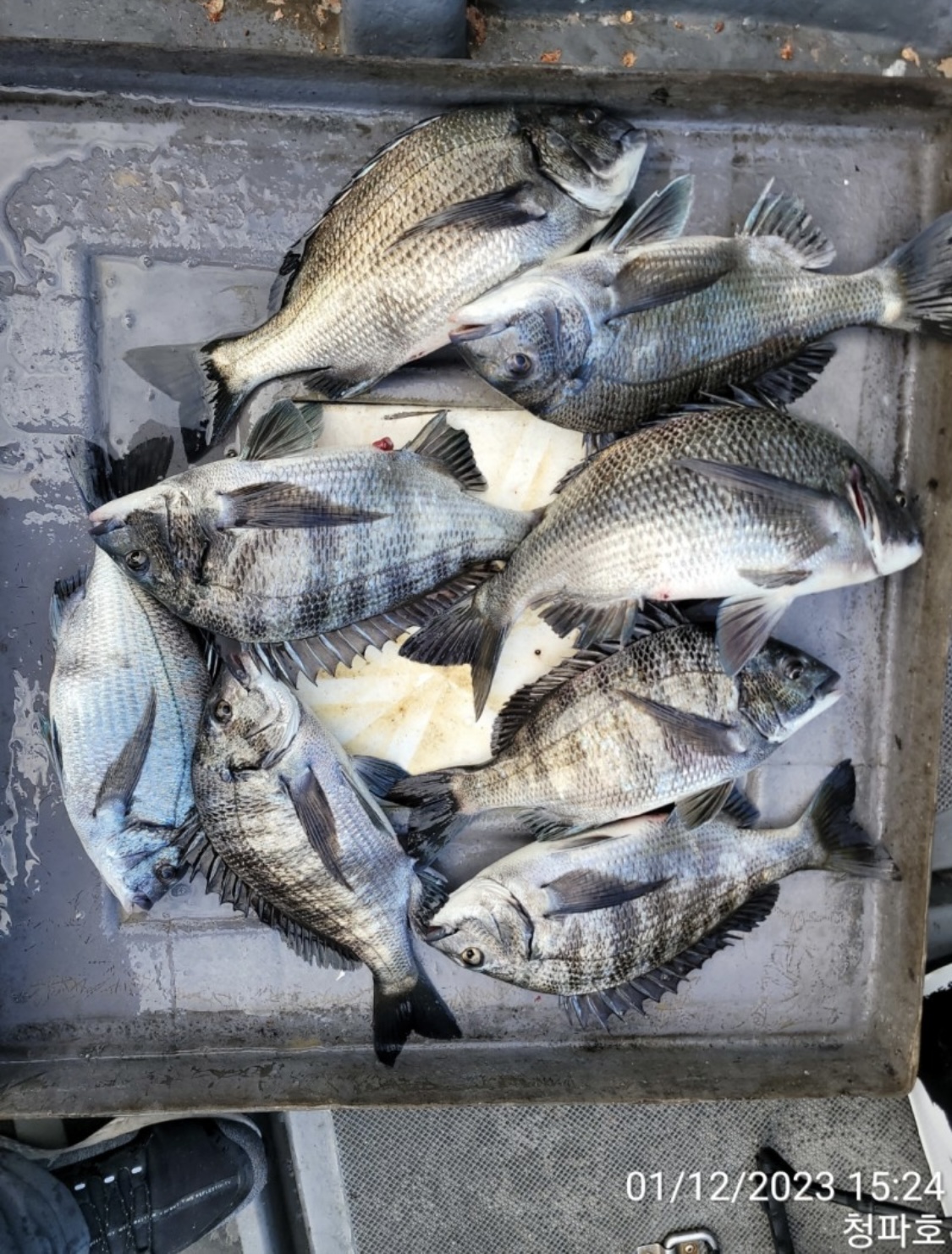
- 4대돔(감성돔,돌돔,참돔,벵에돔) 조황을 올리는 게시판입니다. 타 어종 등재시 예고없이 게시글 삭제 및 이용정지 됩니다. - 제목에 특수문자 사용하시면 안됩니다. (온점, 쉼표, 느낌표, 괄호, 물결만 허용) ☆ 공지사항에 조황등재시 유의사항을 꼭 확인하여 조황작성 부탁드리며, 가장 기본적인 규칙이 지켜지지 않을 시, 예고없이 삭제 및 이용정지 될 수 있음을 알려드립니다. |
![]() |
|
![]() |
![]() |
경남 창원시 진해구 안골동 821-4




반갑습니다~
진해안골 청파호입니다
감성돔 흘림 첫 출조합니다
⭐️⭐
백조기평일 매일 출조합니다(야간반포함)
내만갈치 출조합니다
내만갈치,백조기,돌문어 예약가능합니다-
주말 쭉~~~출조합니다
손맛,입맛 즐기러 오세요~~!!
블로그 오시면 더많은 사진있습니다~~
생활낚시,체험낚시(바다장어,잡어) 출조합니다.
평일 돌문어,쭈꾸미,내만갈치 출조 매일합니다~
돌문어 종일반도 있습니다 ^^
낚시 할수있는 조건만되면 매일 출항합니다^^
정성껏 모시겠습니다!!
매일 출조합니다 !!
정원 9명(선장포함) 독배,단체 환영합니다
★출조정보★
<백조기>
○출조시간 : 오전 6시 30분~ 오후2시(유동적)
오후 6시~ 오전2시 (유동적)
-> 점심 반찬+두루치기
<문어>내만권,지심도권
★<종일반> 오전 06시 00분~오후 4시(유동적)
○출조시간 : 오전 06시 00분~ 오후2시(유동적)
준비물 : 추40호,왕눈이에기
->점심 라면제공합니다~
자세한 문의는 전화주세요 ^^
"신분증" 꼭 들고오셔야 합니다!!!
구명조끼 없으신분은 배에 준비되어 있습니다~
점심식사,생수,커피 무료제공
네비주소 : 창원시 진해구 안골동 남광수산옆(진해구 안골동 821-4)
>>예약문의 : 010-9339-7731
입금계좌 : 수협 001093397731 이원구 (예약필수)
안골청파호 네이버 블로그도 있습니다^^
네이버 밴드: https://band.us/n/a0af58S6jeCdL
|
|
|
|





