감성돔(어초여밭) 힘좋은 감시들 퍽~퍽~야호(어초여밭)조황(26일 예약)

회원랭킹(월 글등록)


공지사항


NaverBand
점주/선장 > 4대돔 조황(감성돔,돌돔,참돔,벵에돔)

▶ 지켜주세요! ◀
 
 - 4대돔(감성돔,돌돔,참돔,벵에돔) 조황을 올리는 게시판입니다.
   타 어종 등재시 예고없이 게시글 삭제 및 이용정지 됩니다.
 - 제목에 특수문자 사용하시면 안됩니다. (온점, 쉼표, 느낌표, 괄호, 물결만 허용)

 ☆ 공지사항에 조황등재시 유의사항을 꼭 확인하여 조황작성 부탁드리며,
     가장 기본적인 규칙이 지켜지지 않을 시, 예고없이 삭제 및 이용정지 될 수 있음을 알려드립니다. 

 
b_hot_innakmall_200x80_240307.jpg b_hot_innakmall_200x80_220704.jpg b_hot_ggsusan_hongeu_200x80.gif b_hot_innakmall_200x80_211203.gif

감성돔(어초여밭) 힘좋은 감시들 퍽~퍽~야호(어초여밭)조황(26일 예약)

거제야호 1 95
● 출항지 : 거제
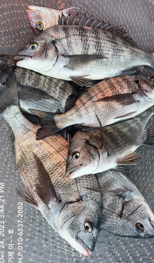
24일(일) 거제 아지랑 출발, 거제도 감성돔 흘림낚시 "야호"(마감) 조황입니다.
※ 참돔/부시리 원도권 출조는 독배 예약시 수시로 출조됩니다.

☆ 26일(화요일) 감성돔 선상 흘림낚시 "예약가능"
(☆ 26일 6물, 만조 08:19 / 간조 14:13)
감성돔(어초여밭) 손맛~ 꾸준한 입질~

야호 어초 여밭권 감성돔 흘림낚시 조황입니다.
오늘은 빠삐용 탈참돔 독배팀이라 아침 물때만 감성돔 손맛보고,
오전부터는 탈참을 대상어로 낚으러 다녀 봤지만. 물때가 좋아서
그런지 오늘은 이상하게 참돔 한마리도 얼굴을 보이지 않았습니다.

감성돔을 타겟으로 잡을걸하는 아쉬움이 많이 남는 하루였지만,
내일부터는 기상도 좋고 물때도 좋은 상황이라 오늘 부족분 또
 채워 보겠습니다.
오늘도 야호를 찾아 주신 조사님 수고 많으셨습니다.

▣야호(YAHO) 출조 일정 안내 ▣
※ 직영선단에서는 매일 참돔 먼바다 출조와 내만 감성돔낚시를 운영.
☆ 12월 25일(월요일) 완료, 선단 예약가능
☆ 12월 26일(화요일) 거제도 감성돔낚시 "예약 가능"
☆ 12월 27일(수요일) 거제도 감성돔낚시 "예약 가능"
☆ 12월 28일(목요일) 거제도 감성돔낚시 "예약 가능"
☆ 12월 29일(금요일) 거제도 감성돔낚시 "예약 가능"
※ 주말 공휴일은 미리 미리 예약을 해 주시길 바랍니다.
※ 낚시장비가 필요하신 분들은 임대 해 드립니다. 예약시 꼭 알려 주세요.

▦ 거제 야호 ☎ 예약문의☎ 010-6537-2082
ㅁ선상낚시 (민박) 문의 : ☎ 010-6400-2082 / ☎010-4547-3937
ㅁ선외기 문의 : ☎ 010-6400-2082
(출항지) 거제시 거제면 법동리 1074번지 아지랑경로당 방파제
ㅁ 거제 야호 밴드 : https://band.us/@yahoat
감성돔 낚시 (어장/어초/여밭)
한나절: 새벽부터~2시까지/ 10만원
오 전: 새벽부터~11시까지/ 7만원 / 오 후: 1시부터~해거름까지/ 7만원
※독배는 시간 조정 가능합니다.
- 어장어초 등에서 포인트가 이루어지기에 어장줄로 달릴 경우 목줄이나
원줄이터질 확률이 높아집니다. 목줄 호수를 여유있게 준비하세요.

참돔 흘림낚시 (중장거리 출조)
※ 참돔/부시리 원도권 출조는 독배 예약시 수시로 출조됩니다.
한나절:새벽부터 ~ 2시까지(유동적) 13만원
- 밑밥,미끼,도시락 제공, 커피, 음료, 생수 제공
(낚싯대) 기본 1.5호~2호대 530(경질대 선호)
(릴) 4000번~6000번. 권사량 150~200미터 추천되는 스피닝릴.
(라인) 원줄 4~6호 플로팅 세미타입, 목줄 후로로카본 100% 4호~6호 선호.
(바늘) 참돔 8~12호, 큐션또는 수중큐션 -2B ~ -5B, 좁쌀봉돌, 스위벨도래
※독배는 시간 조정 가능합니다.

▣ 생활낚시 & 낚시체험 ▣
- 몸만 오시면 됩니다.
- 낚싯대, 장비일절제공, 구명복 제공

■ 주변 제휴 민박집 ■
아지랑 민박(단체-독채) ☎010-6400-2082
해송굴구이민박 (단체) ☎010-2545-3755
거제 대어낚시 주변 파라스파찜질방 검색하시면 됩니다.

▦ 거제 야호 ☎ 예약문의☎ 010-6537-2082
ㅁ선상낚시 (민박) 문의 : ☎ 010-6400-2082 / ☎010-4547-3937
※ (오전 6시부터 12시까지 010-6400-2082로 예약 바랍니다)
ㅁ선외기 문의 : ☎ 010-6400-2082
ㅁ 거제 야호 밴드 : https://band.us/@yahoboat
(출항지) 거제시 거제면 법동리 1074번지 "아지랑경로당 방파제" 출발.
(사무실) 거제시 거제면 서정리 746-3(GS25시편의점)검색하시면 바로 옆 위치

, , , , , , , , , , , , , , , , , , ,

  • 페이스북으로 보내기
  • 트위터로 보내기
  • 구글플러스로 보내기
  • 카카오스토리로 보내기
  • 네이버밴드로 보내기
  • 네이버로 보내기
  • 텀블러로 보내기
  • 핀터레스트로 보내기
1 댓글
거제야호 23-12-24 17:41 0  
26일 감성돔낚시 예약 가능합니다.감사합니다
포토 제목
 
 

인낚 최신글


인낚 최신댓글


온라인 문의 안내


월~금 : 9:00 ~ 18:00
토/일/공휴일 휴무
점심시간 : 12:00 ~ 13:00