대물(감성돔) 5짜OVER~ 4짜 중반외 굵은놈들~고성베이호(어초)조황(21일 예약)

회원랭킹(월 글등록)


공지사항


NaverBand
점주/선장 > 4대돔 조황(감성돔,돌돔,참돔,벵에돔)

▶ 지켜주세요! ◀
 
 - 4대돔(감성돔,돌돔,참돔,벵에돔) 조황을 올리는 게시판입니다.
   타 어종 등재시 예고없이 게시글 삭제 및 이용정지 됩니다.
 - 제목에 특수문자 사용하시면 안됩니다. (온점, 쉼표, 느낌표, 괄호, 물결만 허용)

 ☆ 공지사항에 조황등재시 유의사항을 꼭 확인하여 조황작성 부탁드리며,
     가장 기본적인 규칙이 지켜지지 않을 시, 예고없이 삭제 및 이용정지 될 수 있음을 알려드립니다. 

 
b_hot_innakmall_200x80_240307.jpg b_hot_innakmall_200x80_220704.jpg b_hot_ggsusan_hongeu_200x80.gif b_hot_innakmall_200x80_211203.gif

대물(감성돔) 5짜OVER~ 4짜 중반외 굵은놈들~고성베이호(어초)조황(21일 예약)

고성베이호 1 95
● 출항지 : 고성
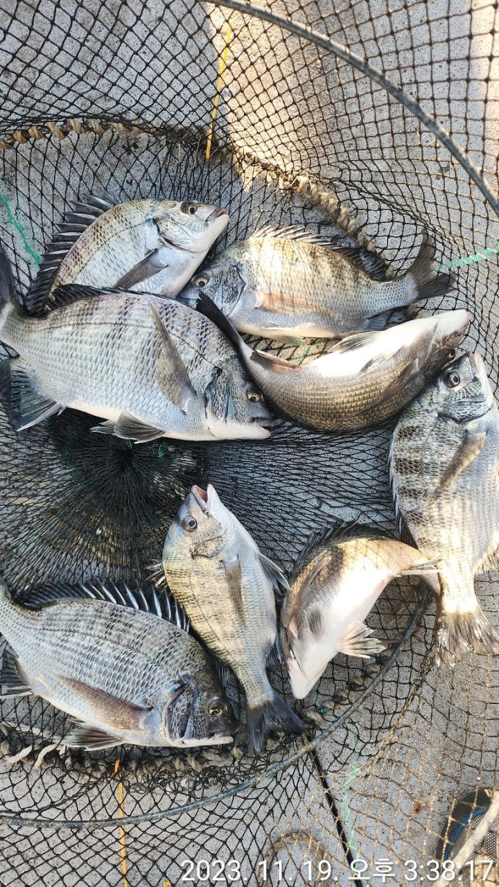
19일(일)고성출발, 大物 감성돔낚시 자연어초 여밭 전문 "고성베이호"핫조황입니다.
※ 승율 9할 이상의 대물 격전지 - 수중어초 여밭으로 모십니다.

★21일(화) 오전 8시 출발, 어초 여밭 대물 감성돔낚시 "예약가능"
고성 베이호는 자연 어초 여밭 전문 흘림낚시만 운영!!!
※ 고성베이호는 카고낚시 절대 사절~어장낚시 사절합니다.
5짜 대물감성돔외 4짜 중반대~굵은 손맛~

몇일간의 강한 비바람이 지나가고, 자연어초권, 바닥이 완전히 뒤집힌
주의보 뒷끝물때에 진입, 역시, 황금물때에 맞추어 진입한 포인트에는
대물들이 바글거리고 있었습니다.

바람이 강하게 불긴 했지만, 몇수는 불감당해서 터트리고, 이어진 강력한
입질에 대물감성돔 5짜오버와 4짜 중반 굵은놈들로 손맛을 볼 수
있었습니다. 현재, 자연어초에는 잔씨알 속에서 대물급들이 함께 올라
오는 상황, 내일부터 바람이 멈추고 좋은 물때로 진입하는 상황이라 출조
가 기대 됩니다.

오전 8시 출발해서 물때에 맞추어 다양한 어초 포인트를 공략하고,
물 감성돔이 많이 진입한 상황이라 채비 튼튼히 준비하시길 바랍니다.
오늘도 고성베이호를 이용 해 주신 조사님 수고 하셨습니다.

▣ 자연 어초 大物감성돔 선상 흘림낚시 일정 ▣
★21일(화요일) 오전 8시 출발, 어초 여밭 대물 감성돔낚시 "예약가능"
★22일(수요일) 오전 8시 출발, 어초 여밭 대물 감성돔낚시 "예약가능"
★23일(목요일) 오전 8시 출발, 어초 여밭 대물 감성돔낚시 "예약가능"
★24일(금요일) 오전 8시 출발, 어초 여밭 대물 감성돔낚시 "예약가능"
★25일(토요일) 오전 8시 출발, 어초 여밭 대물 감성돔낚시 "예약가능"
※ 주중, 주말 예약 가능합니다.

■ 고성 베이호 ☎010 4598 1782
■ 출항지 : 고성군 삼산면 두포리177-16 블루웨일 글램핑內
감성돔/참돔낚시 자연어초 여밭포인트 공략 ▣
1) (출항) 오전 7시 출발, 오후 3시경 (유동적)
2) 출조지역: 사량도(추도권)
원도권역 : 욕지도, 좌사리도, 갈도권 선비 12만원.
3) 밑밥, 미끼, 도시락 제공
- 커피, 생수,음료 등은 상시 비치되어 있습니다.

▣ 아지카(AJIKA)라인 특별시상 ▣
- 낚시줄회사 아지카(AJIKA)라인에서 감성돔 55Cm이상
최상급라인 "구레스페셜"원줄 증정(배송비 무료)합니다.

■ 고성 베이호 ☎010 4598 1782
■ 출항지 : 고성군 삼산면 두포리177-16 블루웨일 글램핑內
■ 밴드 : https://band.us/@bayho
■블로그 : https://blog.naver.com/bayfishing

, , , , , , , , , , , , , , , , , , ,

  • 페이스북으로 보내기
  • 트위터로 보내기
  • 구글플러스로 보내기
  • 카카오스토리로 보내기
  • 네이버밴드로 보내기
  • 네이버로 보내기
  • 텀블러로 보내기
  • 핀터레스트로 보내기
1 댓글
고성베이호 23-11-20 10:54 0  
21일 대물 감성돔 흘림낚시 예약 가능합니다. 감사합니다.
포토 제목
 
 

인낚 최신글


인낚 최신댓글


온라인 문의 안내


월~금 : 9:00 ~ 18:00
토/일/공휴일 휴무
점심시간 : 12:00 ~ 13:00