감성돔 엄청 터져도 4짜급외 마리수~거제대어낚시6호 조황(31일 예약)

회원랭킹(월 글등록)


공지사항


NaverBand
점주/선장 > 4대돔 조황(감성돔,돌돔,참돔,벵에돔)

▶ 지켜주세요! ◀
 
 - 4대돔(감성돔,돌돔,참돔,벵에돔) 조황을 올리는 게시판입니다.
   타 어종 등재시 예고없이 게시글 삭제 및 이용정지 됩니다.
 - 제목에 특수문자 사용하시면 안됩니다. (온점, 쉼표, 느낌표, 괄호, 물결만 허용)

 ☆ 공지사항에 조황등재시 유의사항을 꼭 확인하여 조황작성 부탁드리며,
     가장 기본적인 규칙이 지켜지지 않을 시, 예고없이 삭제 및 이용정지 될 수 있음을 알려드립니다. 

 
b_hot_innakmall_200x80_240307.jpg b_hot_innakmall_200x80_220704.jpg b_hot_ggsusan_hongeu_200x80.gif b_hot_innakmall_200x80_211203.gif

감성돔 엄청 터져도 4짜급외 마리수~거제대어낚시6호 조황(31일 예약)

거제대어낚시6호 1 169
● 출항지 : 거제
30일(월) 거제도 참돔 감성돔 흘림낚시 전문 "거제대어낚시6호" 조황입니다.
※ 감성돔 50Cm,참돔 65Cm이상 아지카 최고급 라인 증정

☆ 31일(화요일) 감성돔 선상 흘림낚시 "예약가능"
(☆ 31일 9물, 만조 09:58 / 간조 15:47)
감성돔씨알이 다르고~힘이 다르고~

내만 (감성돔낚시) 원도권(참돔낚시) 선외기대여~
25Cm이하 감성돔은 "캐치앤릴리즈"에 동참해 주십시요!!!

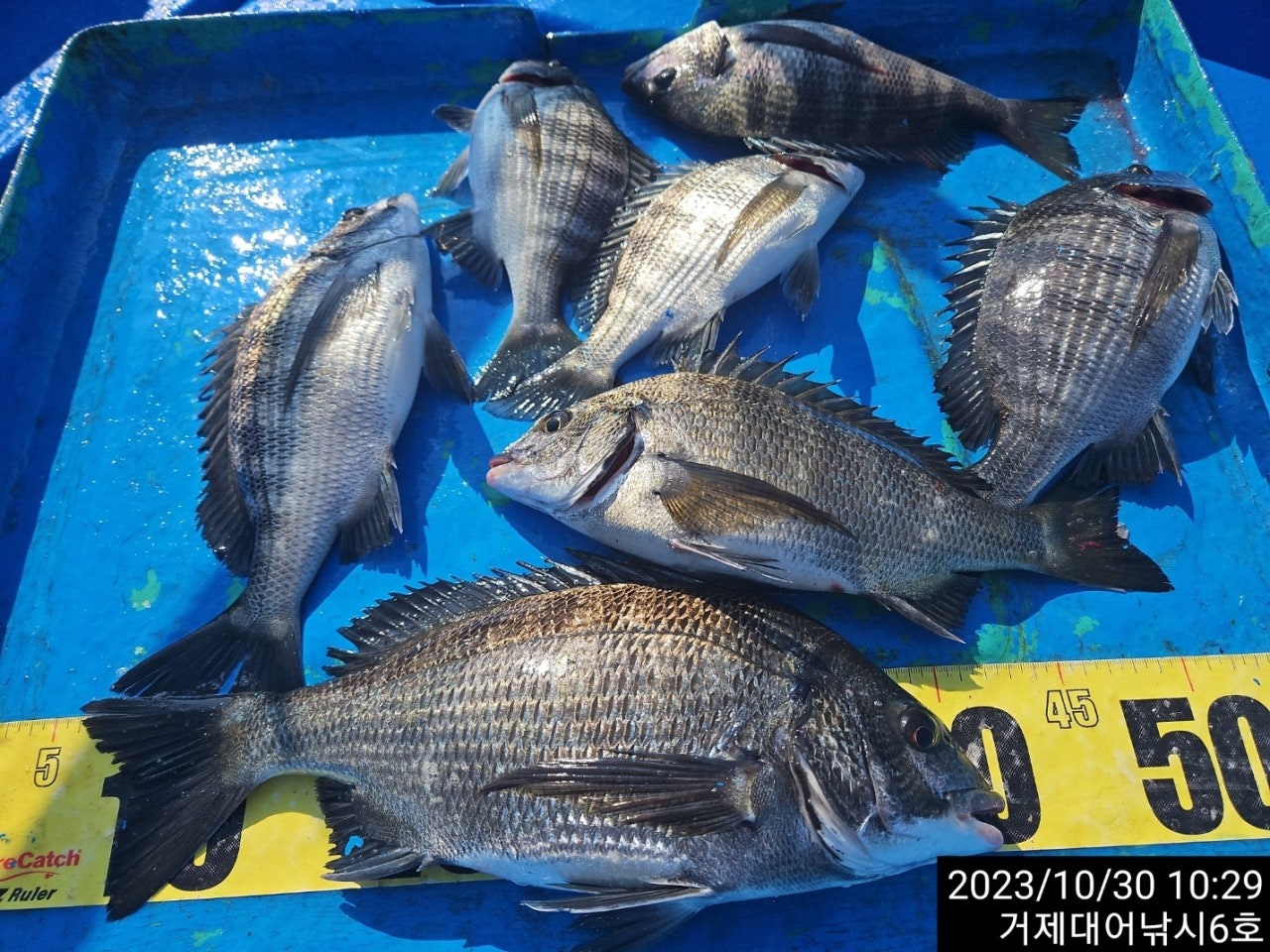
거제대어낚시6호 감성돔 흘림낚시 조황입니다.
물때가 좋은 상황이라 그런지 전반적으로 약은 입질을 하다가도, 조류가
흐르면 예신없는 본신으로 바로 이어지는 시원시원한 입질이 이어지면서
감성돔 4짜급들외 마리수로 손맛을 마감합니다. 오늘은 터지는 녀석들이
너무 많았지만 끝까지 집중하셔서 손맛 즐기고 철수합니다. 내일도 감성돔
흘림 출조합니다 예약가능합니다

감성돔낚시는 오전낚시와 종일낚시를 선택해서 출조가 가능하고, 거제 대어낚시
에서는 전용 숙박(독채 펜션 운영)을 비롯한 원도권 참돔낚시와 내만권 감성돔
낚시와 선외기 대여 등을 이용 하실 수 있습니다.
오늘도 거제대어낚시를 찾아 주신 조사님 수고 많으셨습니다.

▣ 거제대어낚시 참돔/감성돔낚시 일정 안내 ▣
감성돔(내만)/참돔 (먼바다)/선외기(어장 낚시) 전용선체제 운영.
★숙박+낚시배를 동시에 이용하고자 하는 분들은 할인혜택도 짱~짱~★
★ 31일(화요일) 내만(감성돔) 참돔낚시 선외기대여 "예약가능
★ 11월 1일(수요일) 내만(감성돔) 참돔낚시 선외기대여 "예약가능
★ 11월 2일(목요일) 내만(감성돔) 참돔낚시 선외기대여 "예약가능
★ 11월 3일(금요일) 내만(감성돔) 참돔낚시 선외기대여 "예약가능
★ 11월 4일(토요일) 내만(감성돔) 참돔낚시 선외기대여 "예약가능
※ 좋은 포인트 선정을 위해 예약을 미리미리 서둘러 주십시요.

☎ 거제대어낚시 선상낚시 예약(독채 민박) 문의☎
☎ 010-6400-2082 / ☎ 010-4547-3937
ㅁ선외기: ☎ 010-6400-2082
밴드: https://band.us/@geojedaeeofishing

거제대어낚시는 1~8선단을 운영하고 있으며 거제도에서 가장 큰 규모를 자랑
합니다. 단체팀/회사팀/기업팀/동호회팀/선상 낚시대회도 가능한 충분한 인원을
수용 가능합니다.

■ 감성돔 낚시 (어장/어초/여밭)
한나절: 새벽부터~2시까지/ 10만원
오 전: 새벽부터~11시까지/ 7만원 / 오 후: 1시부터~해거름까지/ 7만원
※독배는 시간 조정 가능합니다.
- 어장어초 등에서 포인트가 이루어지기에 어장줄로 달릴 경우 목줄이나
원줄이터질 확률이 높아집니다. 목줄 호수를 여유있게 준비하세요.

■ 참돔 흘림낚시 (중장거리 출조)
한나절:새벽부터 ~ 2시까지(유동적) 13만원
- 밑밥,미끼,도시락 제공, 커피, 음료, 생수 제공
(낚싯대) 기본 1.5호~2호대 530(경질대 선호)
(릴) 4000번~6000번. 권사량 150~200미터 추천되는 스피닝릴.
(라인) 원줄 4~6호 플로팅 세미타입, 목줄 후로로카본 100% 4호~6호 선호.
(바늘) 참돔 8~12호, 큐션또는 수중큐션 -2B ~ -5B, 좁쌀봉돌, 스위벨도래
※독배는 시간 조정 가능합니다.

▦ 거제대어낚시 참돔 시상 내역 ▦ 일 1명씩 시상됩니다.
65Cm 이상 - 최상급 원줄 증정
70Cm~ 89Cm 이상 - 7만원 상당 최상급 원줄+크리스탈 카본 세트+모자 증정.
90센티 이상 - 20만원 상당 아지카 최상급라인 세트+모자 外

■ 생활낚시 & 낚시체험
- 몸만 오시면 됩니다.
- 낚싯대, 장비일절제공, 구명복 제공

■ 선외기 대여
(4인승)- 13만원, (3인승) - 10만원 / (2인승) - 8만원 / (1인승)- 7만원.
영업구역 내 조정면허증 필요 없으므로, 누구나 이용이 가능합니다.
- 선외기 사용교육 3분이면 바로, 운전하실 수 있습니다.

★안전한 독배체제 선상낚시 운영★
- 3인팀, 4인팀, 5인팀, 6인팀, 7인팀으로 다양한 인원으로 독배 운영.
- 코로나19로 부터 안전한 낚시를 즐기기 위해 동행한 분들과 함께 출조.

★대어낚시 선단★
거제 대어낚시 1호 ㅡ 대어호
거제 대어낚시 2호 ㅡ 안드레아호
거제 대어낚시 3호 ㅡ 야호
거제 대어낚시 4호 ㅡ 돌핀호
거제 대어낚시 5호 ㅡ 미래호
거제 대어낚시 6호 ㅡ 거제바다호
거제 대어낚시 7호 ㅡ 사랑호
거제 대어낚시 8호 ㅡ 안젤라호

■ 주변 제휴 민박집 ■
아지랑 민박(단체-독채) ☎010-6400-2082
해송굴구이민박 (단체) ☎010-2545-3755
거제 대어낚시 주변 파라스파찜질방 검색하시면 됩니다.

☎ 거제대어낚시 선상낚시 예약(독채 민박) 문의☎
☎ 010-6400-2082 / ☎ 010-4547-3937
ㅁ선외기: ☎ 010-6400-2082
■ 밴드: https://band.us/@geojedaeeofishing

★찾아오시는길★
※출항지: 거제시 거제면 법동리 1074번지 아지랑경로당 방파제
사무실 :거제시 거제면 서정리 746-3(GS25시편의점)검색하시면 바로 옆 위치
★★★신분증 꼭 지참해주세요★★★

, , , , , , , , , , , , , , , , , , , , , , , , , , , , , , , , , , , , , ,

  • 페이스북으로 보내기
  • 트위터로 보내기
  • 구글플러스로 보내기
  • 카카오스토리로 보내기
  • 네이버밴드로 보내기
  • 네이버로 보내기
  • 텀블러로 보내기
  • 핀터레스트로 보내기
1 댓글
거제대어낚시6호 23-10-30 15:23 0  
31일 거제도권 감성돔낚시 예약 가능합니다. 감사합니다.
포토 제목
 
 

인낚 최신글


인낚 최신댓글


온라인 문의 안내


월~금 : 9:00 ~ 18:00
토/일/공휴일 휴무
점심시간 : 12:00 ~ 13:00