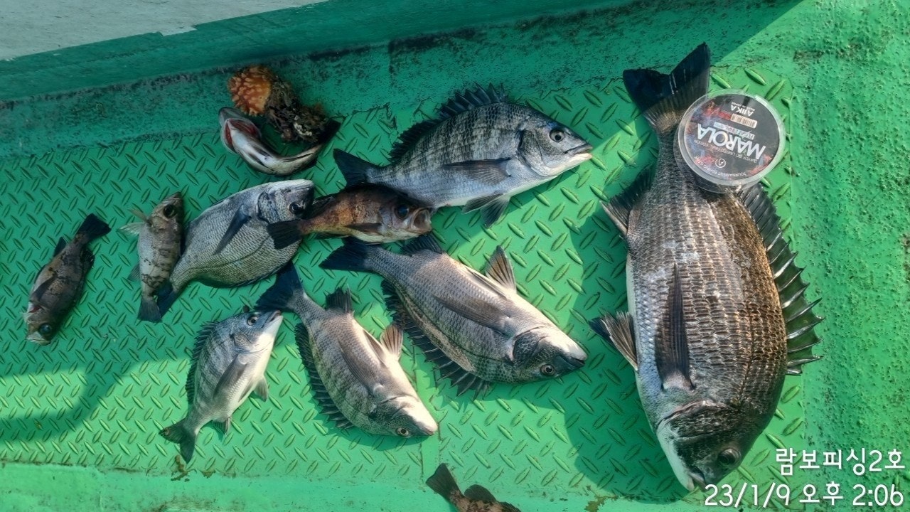
감성돔 빵좋은 45Cm 外 손맛~람보피싱 2호 조황 (10일 예약)

회원랭킹(월 글등록)


공지사항


NaverBand
점주/선장 > 4대돔 조황(감성돔,돌돔,참돔,벵에돔)

▶ 지켜주세요! ◀
 
 - 4대돔(감성돔,돌돔,참돔,벵에돔) 조황을 올리는 게시판입니다.
   타 어종 등재시 예고없이 게시글 삭제 및 이용정지 됩니다.
 - 제목에 특수문자 사용하시면 안됩니다. (온점, 쉼표, 느낌표, 괄호, 물결만 허용)

 ☆ 공지사항에 조황등재시 유의사항을 꼭 확인하여 조황작성 부탁드리며,
     가장 기본적인 규칙이 지켜지지 않을 시, 예고없이 삭제 및 이용정지 될 수 있음을 알려드립니다. 

 
b_hot_innakmall_200x80_240307.jpg b_hot_innakmall_200x80_220704.jpg b_hot_ggsusan_hongeu_200x80.gif b_hot_innakmall_200x80_211203.gif

감성돔 빵좋은 45Cm 外 손맛~람보피싱 2호 조황 (10일 예약)

람보피싱2호 1 56
● 출항지 : 거제
9일(월요일) 거제 법동출발, 감성돔낚시 전문 람보피싱 2호 조황입니다.
※ 53Cm이상 대물 포획시, AJIKA(아지카) 최상급 클라스 라인 증정.

★ 1월 10일(화요일) 거제권 자연 어초권 감성돔낚시 전문 "예약가능"
(물때: 11물/ 만조: 10:45분 / 간조: 16:40분)
※ 람보피싱은 1호 2호 3호 4호까지 직영 운영하고 있습니다.


거제도 감성돔낚시와 참돔 선상낚시 전문출조점 람보피싱 2호입니다. 오늘은 몇일간 굵은 씨알이 보였던 포인트에서 가장 큰사이즈가 45Cm 감성돔이였고, 어초 텃박이 볼락들까지
함께 보였습니다. 저수온기인 겨울시즌에는 뒷줄 견제와 챔질은 가을보다는 더 오랜 시간적 여유를 주고 챔질하는 것이 유리합니다.
10일 화요일 거제권 자연 수중어초권 수중여밭, 최고의 황금물때로
진입하는 시기입니다. 거제권 최고의 포인트 자연 수중어초만을
전문적으로 공략하는 람보피싱에서 모시겠습니다. 오늘도 거제
람보피싱을 찾아 주신 조사님 수고 많으셨습니다.

▦ 자연 어초권 감성돔 & 먼바다 참돔낚시 일정 안내 ▦
★ 10일(화) 어초권 감성돔낚시 & 먼바다 참돔낚시 전문 "예약가능"
★ 11일(수) 어초권 감성돔낚시 & 먼바다 참돔낚시 전문 "예약가능"
★ 12일(목) 어초권 감성돔낚시 & 먼바다 참돔낚시 전문 "예약가능"
- 금요일/토요일/일요일 주말 예약은 서둘러 예약해주세요


▦ 람보피싱
(출조 문의) ☎010.8387.0331 (부재시) ☎010.9046.1156
(출항지/주소) 경남 거제시 거제면 법동리 1056번지

▦ 감성돔 선상낚시 출조 ▦
(출조 시기) 11월부터 6월 까지.
(종일/흘림낚시) 새벽 5시 출발 오후 2시 까지
- 도시락, 생수, 밑밥, 미끼 커피 (10만원)
(종일/카고낚시) 새벽부터 오후 2시 까지
- 도시락, 생수, 밑밥, 미끼 커피 (10만원)
▶ 어초/여밭 감성돔낚시는 11월부터 4월 까지 (종일낚시만 운영).

▦ 참돔 선상낚시 출조 ▦
(출조 시기) 6월 부터 10월까지.
(오전낚시) 새벽부터 13時 까지 (유동적)
(오후낚시) 13時부터 일몰까지 (3명부터 출조 운영)
- 도시락, 생수, 밑밥, 미끼 커피 (13만원)

<참돔낚시 채비>
(낚 시 대) 1.5호대부터 2호대 까지 사용.
(릴-Reel) 5000번, 원줄 5호, 목줄 3~5호 정도.
(찌-Float) 잠수찌 -2B, -3B 사용
※ 참돔낚시에는 막대찌 채비를 사용하지 않고, 참돔 기본 채비만 운용.

▦ 00피싱 이용 안내 ▦
▶ 기상만 허락되면 1명 조사님이라도 매일 매일 출조합니다.
▶ 포인트는 수년간 가장 승율높은 포인트만을 선별해서 진입합니다.
▶ 찾아 주신 조사님들께 손맛 보실 수 있도록 최선을 다하겠습니다.
▶ 00피싱은 베테랑 선장 구성 (4선단으로 운영).
▶ 먼 바다 참돔 출조는 3명 이상 되면 출조합니다

◐ 협력 숙박시설 ◐
산애수펜션 ☎ 010-8548-2366 (람보피싱 선단 출항지 5분 거리 위치)
경남 거제시 둔덕면 거제남서로 4658

◐ 주의 사항 ◐
▶신분증(주민증 또는 운전면허증) 지참은 필수입니다.
▶주류 반입 및 음주 행위 금지와 구명복 착용은 필히 준수해야 합니다.

▦ 람보피싱
(출조 문의) ☎010.8387.0331 (부재시) ☎010.9046.1156
(출항지/주소) 경남 거제시 거제면 법동리 1056번지
▶람보피싱 밴드 : https://band.us/@zzxx6954
(예약 계좌번호) 수협 0010-8541-0331 예금주:권영효

, , , , , , , , , , , , , , , , , , , , , , , , , , , , , ,

  • 페이스북으로 보내기
  • 트위터로 보내기
  • 구글플러스로 보내기
  • 카카오스토리로 보내기
  • 네이버밴드로 보내기
  • 네이버로 보내기
  • 텀블러로 보내기
  • 핀터레스트로 보내기
1 댓글
람보피싱2호 23-01-09 15:40 0  
10일 화요일 감성돔낚시 예약 가능합니다. 감사합니다.
포토 제목
 
 

인낚 최신글


인낚 최신댓글


온라인 문의 안내


월~금 : 9:00 ~ 18:00
토/일/공휴일 휴무
점심시간 : 12:00 ~ 13:00