"감성돔" 거제인성낚시
12월 25일(목)
인낚 현재접속자
3,533명 (
255
)
공지사항
인낚도서관
점주선장전용 공지사항
로그인
광고/제휴 문의
운영진에게
인낚ㅣ인터넷바다낚시
0
어종별선상
어종별갯바위
낚시인조황
점주선장조황
출조정보
낚시광장
낚시지식인
낚시교실
중고장터
휴게실
인낚도서관
인낚몰
0
어종별선상
어종별 선상조황
4대돔 조황
먹물 조황
갈치 조황
볼락&전갱이
빅게임 지깅&파핑
외줄&외수질
기타 어종
어종별 갯바위조황
4대돔 조황
먹물 조황
갈치 조황
볼락&전갱이
농어&삼치&방어&부시리
기타 어종
어종별갯바위
어종별 선상조황
4대돔 조황
먹물 조황
갈치 조황
볼락&전갱이
빅게임 지깅&파핑
외줄&외수질
기타 어종
어종별 갯바위조황
4대돔 조황
먹물 조황
갈치 조황
볼락&전갱이
농어&삼치&방어&부시리
기타 어종
낚시인조황
낚시인 번개조황
낚시인조행기
스탭조행기
우리낚시동호회이야기
전국낚시동호회소개
동호회갤러리
지난 조황자료보기(년도별 조황 자료)
점주선장조황
전국 실시간 조황
선상(배)+좌대 조황
갯바위+방파제 조황
점주선장전용 공지사항
지난 조황자료보기(년도별 조황 자료)
출조정보
낚시인동행출조
점주선장 갯바위 출조
점주선장 선상출조
기상파고정보(기상청)
해상예보
물때표
파고예보(일본)
실시간해양관측예보
스마트조석예보
낚시광장
낚시계뉴스
대회 및 낚시관련 홍보
제품평가단
신상품소개
낚시지식인
Q&A 묻고 답하기
지식인 베스트
조황/포인트 문의
낚시용품 사용기
낚시투표
토론방
新어류도감
낚시교실
낚시기법소개
어종별 낚시교실
입문자교실
중급자교실
낚시용어사전
중고장터
중고장터 이용후기
더치트 사기피해 검색
팝니다
삽니다
교환합시다
무료로 드립니다
부품팝니다
부품삽니다
일반 생활용품 사고 팔기
휴게실
출석부
낚시갤러리
세상사는 이야기(자유게시판)
낚시이야기 마당
먹고사는 이야기
구인구직
칭찬합니다
어째이런일이
습득물 찾기
인낚도서관
인낚 유튜브
인낚 칼럼
블루, 그것이 알고싶다
더블테일의 두 눈으로 보는 세상
입질의추억의 피싱다이어리
나無의 바다 이야기
전문강좌
海巖의 바다낚시 이야기
이성규의 전유동낚시 강좌
조성민의 금요루어클럽
메인
어종별선상
어종별갯바위
낚시인조황
점주선장조황
출조정보
낚시광장
낚시지식인
낚시교실
중고장터
휴게실
인낚도서관
인낚몰
0
점주/선장 >
4대돔 조황(감성돔,돌돔,참돔,벵에돔)
☆ 공지사항 '조황등재시 유의사항' 게시글 필독
☆
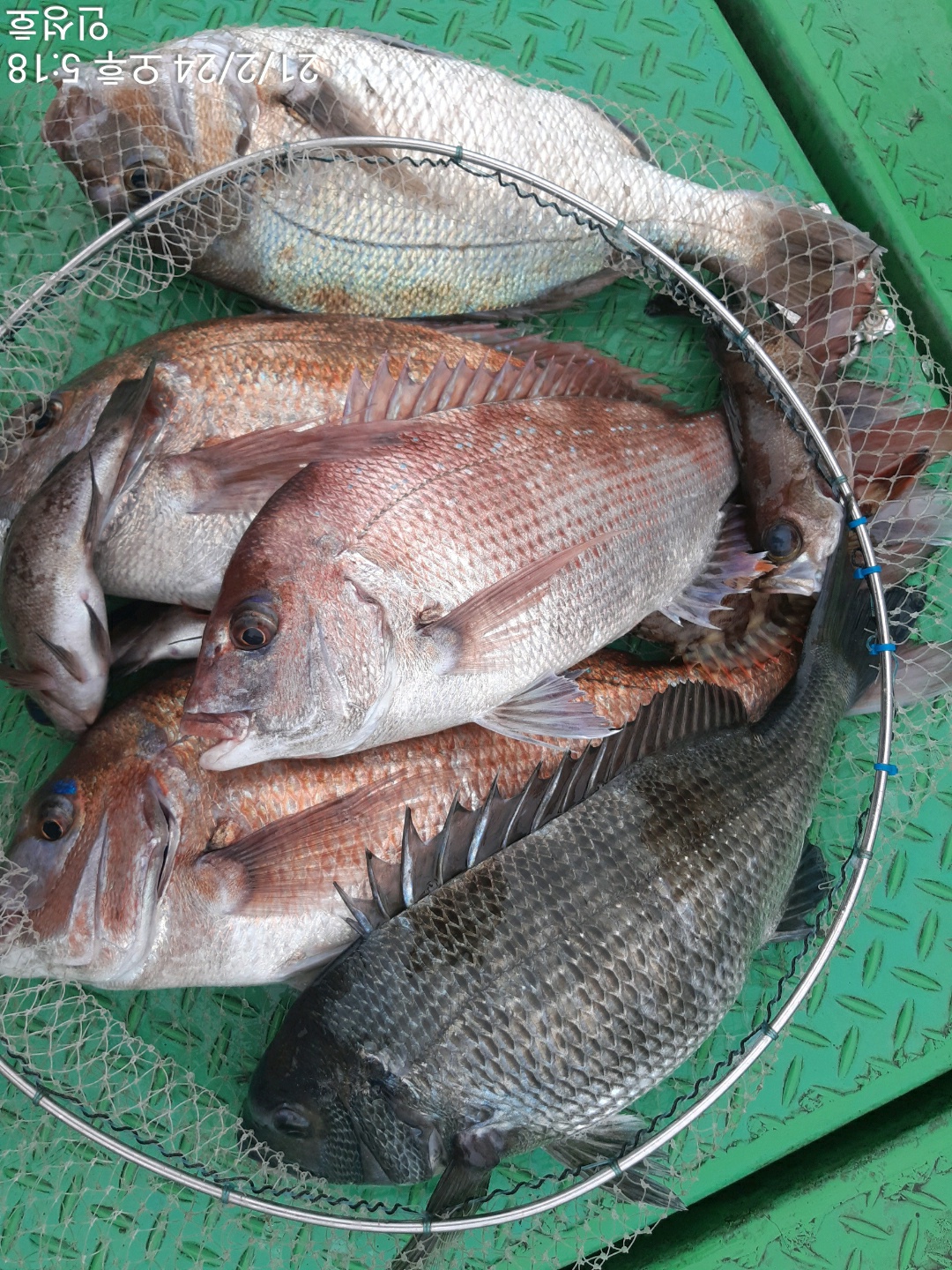
"감성돔" 거제인성낚시
거제인성낚시
0
410
2021.02.24 17:59
● 출항지 : 거제
● 출조인원 : 1~2명
네임
카드
거제인성낚시
아지랑경로당
01022244998
실시간 예약
홈페이지
밴드 바로가기
유튜브/SNS
금일 조황입니다.
바람도 많이 부는날에 수고하셨습니다.
고생 많으셨습니다.
항상 고맙고 감사합니다. ^^
문의
인성
호 : 010-2224-4998
한설호 : 010-3889-7719
밴드바로가기 클릭!!
https://band.us/@01022244998
0
신고
목록
0
댓글
로그인한 회원만 댓글 등록이 가능합니다.
×
Image Upload
로그인한 회원만 등록가능합니다.
포토
제목
이름
날짜
[진해] 도다리/돌문어 사냥 마리수 굿!! 고고 조황!(예약가능)
출항지 : 진해 / 출조지 :
진해레전드
62
03.12
진해레전드
03.12
[고성] 어초대물 카고감성돔 조황 5짜5짜5짜 4짜4짜 등등등
출항지 : 고성 / 출조지 :
마리스호풍어피싱
159
03.12
마리스호풍어피싱
03.12
[진해] 감성돔(흘림) 대물들 많이 잡았습니다.(예약가)
출항지 : 진해 / 출조지 :
진해텍사스호
161
03.12
진해텍사스호
03.12
[부산] 3/12일,왕열기,왕쏨뱅이 조황,
출항지 : 부산 / 출조지 :
청사포바다이야기
102
03.12
청사포바다이야기
03.12
[진해] 진해속천항 니모호 감성돔 흘림 조항
출항지 : 진해 / 출조지 :
진해니모호
73
03.12
진해니모호
03.12
[진해] 11일 야간낙지 잘 잡고 왔습니다~!!(오늘 예약중)
출항지 : 진해 / 출조지 :
진해라코피싱
44
03.12
진해라코피싱
03.12
[진해] 왕치급 봄도다리 연일 마리수로 쭉쭉 올라오네요!!(내일예약가능)
출항지 : 진해 / 출조지 :
진해해그린호
60
03.12
진해해그린호
03.12
[여수,광양] 내일 다잡아물고기낚시 정상출조합니다
출항지 : 여수,광양 / 출조지 :
돌풍호낚시
95
03.12
돌풍호낚시
03.12
[포항] 3.12(수) 포항 제트호 도다리 참가자미 마릿수!!굿~ 목요일…
출항지 : 포항 / 출조지 :
신항만Z제트호
137
03.12
신항만Z제트호
03.12
[거제] 감성돔 거제인성낚시 4짜외
출항지 : 거제 / 출조지 :
거제인성낚시
136
03.12
거제인성낚시
03.12
출항지 : / 출조지 :
1970.01.01
1970.01.01
[진해] 창만호,감성돔 55,51 5짜4짜 우루루,4분 초대박(목,금 예…
출항지 : 진해 / 출조지 :
신조선아쿠아호
108
03.12
신조선아쿠아호
03.12
[고성] 병산 감성돔48외 마리수 선상흘림조황~~^^
출항지 : 고성 / 출조지 :
병산낚시레저
347
03.12
병산낚시레저
03.12
[진해] 봄도다리~엄청크다 ~푸짐한선상횟밥상드시로 오셔요~토요일부터 예약…
출항지 : 진해 / 출조지 :
엿쟁이낚시
54
03.12
엿쟁이낚시
03.12
출항지 : / 출조지 :
1970.01.01
1970.01.01
초기화
날짜순
조회순
검색
991
992
993
994
995
Search
검색대상
제목
내용
제목+내용
회원아이디
회원아이디(댓글)
글쓴이
글쓴이(댓글)
또는
그리고
검색어
필수
검색
닫기
검색조건
제목
내용
제목+내용
회원아이디
회원아이디(코)
글쓴이
글쓴이(코)
검색어
또는
그리고
검색
인낚몰 초특가
★3,000★ 하야부사 6단 볼락 전갱이 카드채비 SD724 볼락채비
★1,000★볼락낚시에 최적인 메바트로볼 - 캐스팅볼, 메바볼
★13,000~★3NO 일본 오리지날 직수입 극강 멀티 무광 마크사 원줄
★500★ W쿠션 멀티 수중찌 M L - 전유동 반유동 끄심바리 필수품 수중쿠션
★5,900★ 여러개 있으면 아주 좋은 EVA 시스템 백
★ 1+1 플로팅, 세미, 카본 낚시줄 행사 호수선택가능 / 택상 1+1 원줄, 목줄 행사
★6,000★ 예민함의 끝판왕 애니원찌 벵에돔찌 학공치찌
★15,000★ 오동목 구멍찌 5개 + 메쉬 찌케이스 세트
★22만원★ 40W 집어등을 이 가격에!
★5,000★ 전층쿠션 15세트입 S / L 사이즈
★2,000★ 전층쿠션 5세트입 S / L 사이즈
★10,000 미니집어등5개 + 425배터리 1개 + 스토퍼고무 10개