- 4대돔(감성돔,돌돔,참돔,벵에돔) 조황을 올리는 게시판입니다. 타 어종 등재시 예고없이 게시글 삭제 및 이용정지 됩니다. - 제목에 특수문자 사용하시면 안됩니다. (온점, 쉼표, 느낌표, 괄호, 물결만 허용) ☆ 공지사항에 조황등재시 유의사항을 꼭 확인하여 조황작성 부탁드리며, 가장 기본적인 규칙이 지켜지지 않을 시, 예고없이 삭제 및 이용정지 될 수 있음을 알려드립니다. |
![]() |
|
![]() |
![]() |




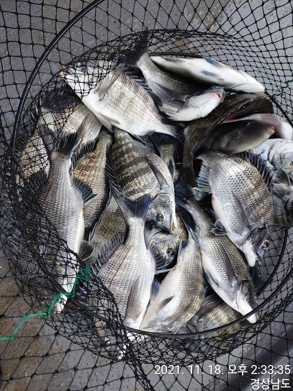
안녕하세요 통영 공룡호 입니다
오늘도 감성돔흘림 30중후반 마리수 잡고 철수 했습니다.
오늘은 두분 제외하고 나머지 분들은 낚시대 처음잡이보는
초보 조사님들 그래도 30 중후반 마리수 많이들 잡고 가셨습니다.
내일도 열심히 달려 보겠습니다.
감성돔 흘림 손맛보실분 연락주세요. 감사합니다.
- - - 11월 감성돔흘림 예약현황 - - -
18일(목) - 예약완료
19일(금) - 예약완료
20일(토) - 예약완료
21일(일) - 예약완료
22일(월) - 5자리여유
23일(화) - 4자리여유
24일(수) - 예약완료
27일(토) - 예약완료
28일(일) - 예약완료
{ 나머지 날짜에 중간중간 비어있습니다. 예약가능합니다.}
이후 예약 현황은전화로 문의바랍니다.
예약 현황은 예약하시는분 사정으로 수시로변경됩니다.
참고로하시고 원하시는 날짜 예약 하시는분은 전화로 확인해 주세요.
감사합니다.
※ 안내사항 및 공지사항 ※
저희 공룡호는 5.33t으로 12인승(선장포함) 낚시배이고
문어, 화살촉, 감성돔흘림, 내만갈치 전문 출조합니다.
★ 신분증(주민등록증.운전면허증) 미지참시
승선불가 하며 PASS 모바일 신분증(운전면허증)은 가능합니다.★
★미지참으로 인한 승선 거부시 환불 불가하오니 꼭 확인 바랍니다.★
★ 배에서는 절대 음주 금지 ★
★ 구명조끼는 승선과 동시에 착용하고 하선전까지 착용(개인벌금)★
※ 계좌 ※
수협 : 2020-4663-5805
예금주 : 박종화
※ 예약문의 ※
☎선장님 : 010-5811-9624
☎부재시 : 010-3586-2246
▶ 저희는 전화나 문자 예약 및 홈페이지, 밴드를 통한 예약이 모두 가능합니다.
예약현황 바로가기
☞http://dinosaur.sunsang24.com/ship/schedule/202107☜
공룡호 홈페이지
☞http://dinosaur.sunsang24.com/☜
공룡호 밴드
☞https://band.us/band/65567842☜
※ 찾아오시는 길 ※
출조지 : 통영시 광도면 용호로 356
사무실 : 통영시 광도면 용호로 356
|
|
|
|





