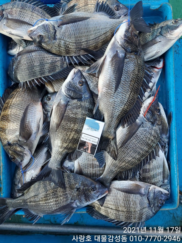
감성돔 4짜4짜4짜외 전원손맛 마릿수로 잘올라 옵니다~

회원랭킹(월 글등록)


공지사항


NaverBand
점주/선장 > 4대돔 조황(감성돔,돌돔,참돔,벵에돔)

▶ 지켜주세요! ◀
 
 - 4대돔(감성돔,돌돔,참돔,벵에돔) 조황을 올리는 게시판입니다.
   타 어종 등재시 예고없이 게시글 삭제 및 이용정지 됩니다.
 - 제목에 특수문자 사용하시면 안됩니다. (온점, 쉼표, 느낌표, 괄호, 물결만 허용)

 ☆ 공지사항에 조황등재시 유의사항을 꼭 확인하여 조황작성 부탁드리며,
     가장 기본적인 규칙이 지켜지지 않을 시, 예고없이 삭제 및 이용정지 될 수 있음을 알려드립니다. 

 
b_hot_innakmall_200x80_240307.jpg b_hot_innakmall_200x80_220704.jpg b_hot_ggsusan_hongeu_200x80.gif b_hot_innakmall_200x80_211203.gif

감성돔 4짜4짜4짜외 전원손맛 마릿수로 잘올라 옵니다~

창원사랑호 0 128
● 출항지 : 진해
밴드 바로가기

"라(민호)" 밴드로 초대합니다.
https://band.us/n/a7af1dMaJ1A1P
밴드명을 검색해 가입할 수  있습니다.

   

★조황요약

감성돔 카고 조황입니다~

감성돔 마릿수로 무지하게 올라 옵니다~  참돔은 잡어취급 10여수~

조금시라 씨알이 만족스럽지는 않지만 전원 마릿수 조황입니다~

조황이 늦어진 점 양해 부탁드립니다~   

출항한 날에는 하루도 빠짐없이 마릿수 조황 올라 옵니다~


큰넘 잡으러 간 자리에 작은게 올라오면 모를까~ 

일부러 작은넘 마릿수 채우러 가지는 않읍니다~

큰넘 위주로 출조합니다~ 


감성돔 카고낚시는 예보만 좋으면 1분이라도 모시고 

출항 하오니 부담없이 연락 주세요~


★예약현황
★예약전화번호: 010-7770-2946 로 전화  주세요~★
혹 배청소나 부득이한 경우 전화를 못 받으면 꼭 문자 남겨주세요~


11월19일(금요일) 대물감성돔 예약완료 

11월20일(토요일) 대물감성돔 예약완료 

11월21일(일요일) 대물감성돔 예약완료 

11월22일(월요일) 대물감성돔 예약완료 

11월23일(화요일) 대물감성돔 예약완료 

11월24일(수요일) 대물감성돔 예약완료

11월25일(목요일) 대물감성돔 2자리 예약가능

11월26일(금요일) 대물감성돔 2자리 예약가능 

11월27일(토요일) 대물감성돔 1자리 예약가능 
11월28일(일요일) 대물감성돔 예약완료 

 ★예약기준 

카고낚시는 소수의 인원만 예약을 받고 있사오니 필히 예약후,  
바로 입금 하여 주셔야 예약이 완료 되며,
예약 후 아무 이유없이 입금되질 않을시 예약 취소될수
있다는 점 양해  바랍니다~

이후 예약취소는 불가하며, 밴드에서 양도양수로 진행 부탁드립니다.


● 예약  입금계좌
경남은행: 207-0021-3473-04 (예금주) 사랑호 유정종
성숙된 예약문화 정착 낚시인이 앞장서 주시길 꼬~옥 부탁 드립니다.
감성돔 특유에 초릿대를 가져가는 손맛보실 분 전화주세요~  
출항시간: 일출 30분전 철수시간: 15시 전,후
출항시간은 출조 전날19시경 문자드리오니,
미리 전화 하셔서 여쭈어  보시는일 없으시길~ 부탁요~)


★카고낚시  출항안내

♧출항시간: 일출30분 전(정확한 시간은 출항 전날 18시 전,후 문자  드립니다~
♧선비: 8만원 (밑밥과 미끼는 개인 준비)  
♧자리는 본인  추첨제입니다.

♧점심은 떡라면 제공
★ 편안한 낚시를 위하여 평일 정원 5분만 예약을  받읍니다.
★ 카고낚시 하시기 정말 편한 사랑호~  
주말과 공휴일. 

그리고 부득이한 경우 

6분 예약을 받더라도
양해부탁드립니다. 

(예) 3분 예약 상태에서 3분단체 예약 하실경우. 

무료승선권자가 있는 경우.
또는 선장의 판단의(조류.일기)따라. 당일 가이드가 필요한 경우~
사랑호는  4.99t 배길이14m. 배폭은 3m60cm. 이며.
롤링를 최소화 한 어선 몰드입니다.
★  어느 자리든 낚시대 2대 편성하여 마음껏 케스팅 하실수 있는 시스템
카고 초보조사님들을 위한 특별 가이드를 하고 있으니,  카고초사님들도

걱정마시고 예약시 꼭 말씀하여 주세요~
(단, 속성교육중 잔소리가 좀 있으니,, 양해부탁요^^~)
(1.채비방법  2. 케스팅 요령 3.챔질 과 릴링요령 등등)
★ 승선시 신분증 꼭 지참하셔야 합니다.<휴대폰사진 해당되지 않읍니다>.  
(주류 일체 반입금지 및 과한음주후 승선은 불가 하오니, 
 

전날 과한음주는 삼가하시길 부탁드립니다,)
예약 하신분은  (예) 유ㅇㅇ 10월 15일 2명예약입니다~ 라고
문자 보내주셔야 누락 되지 않아요~ 부탁드립니다.
(운항하다 전화 받으면 자꾸  까먹어요~ㅠ~)

★독배안내
평일은 : 5명기준 40만원  / 1인 추가시 5만원
주말 과 공휴일 : 6명 기준 50만원/ 1인 추가시 5만원  
(카고낚시는  예약후 변경및 취소가 불가 하므로 신중에 신중을 기하여서 
 

예약 부탁드립니다)정말 부득이한 경우는 밴드에 양도양수 부탁드립니다.
★ 채비는 낚시대  2~3호대/ 릴은 4000~5000번/
원줄 5호/ 목줄4~5호 / 바늘 감성돔 6~7호 /
카고는 중망 조류에 따라  40호~50호 (40호 선내 준비 되어 있읍니다)
★밑밥은 마끼크릴3개. 파우더 1개. 보리 3~5개 를 혼합하여
가지고 오시면  충분 합니다.
2분이 1팀으로 오실 경우(마끼크릴5개 파우더2개 보리 5개 백크릴은 1개만 
준비하시면 충분 합니다.
그리고  카고는 출조 하루전에 구매 하시어 기둥줄을 따듯한 물에 담구어
주셨다가 둘둘 말린부분을 쭉~ 펴서
가지고 오시면 더 나은 조황이  있으리라 생각 합니다.
출 항 지: 창원시 진해구 괴정항
(진해구 제덕동 877-2  검색하시면 되겠읍니다.)

★★ 예약 및 문의전화: 010-7770-2946 ★★ 으로 전화  주세요,
정말 신중에 신중을 기하셔서 변동사항 없으시길.
제발 부탁드립니다.예약변경 취소는, 꼭 문자 남겨주셔야 누락되질  않읍니다.
변동사항으로 인하여 발생되는 불이익은 당사자가 부담 하셔야  합니다.

  • 페이스북으로 보내기
  • 트위터로 보내기
  • 구글플러스로 보내기
  • 카카오스토리로 보내기
  • 네이버밴드로 보내기
  • 네이버로 보내기
  • 텀블러로 보내기
  • 핀터레스트로 보내기
0 댓글
포토 제목
 
 

인낚 최신글


인낚 최신댓글


온라인 문의 안내


월~금 : 9:00 ~ 18:00
토/일/공휴일 휴무
점심시간 : 12:00 ~ 13:00