네임
카드
카드
해원호
경남 거제시 둔덕면 녹산1길 71
010-4118-7665
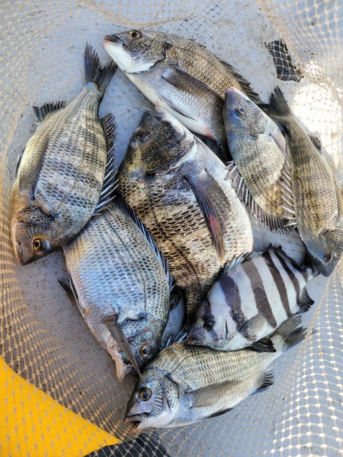
- 4대돔(감성돔,돌돔,참돔,벵에돔) 조황을 올리는 게시판입니다. 타 어종 등재시 예고없이 게시글 삭제 및 이용정지 됩니다. - 제목에 특수문자 사용하시면 안됩니다. (온점, 쉼표, 느낌표, 괄호, 물결만 허용) ☆ 공지사항에 조황등재시 유의사항을 꼭 확인하여 조황작성 부탁드리며, 가장 기본적인 규칙이 지켜지지 않을 시, 예고없이 삭제 및 이용정지 될 수 있음을 알려드립니다. |
![]() |
|
![]() |
![]() |
감성돔 아무나 잡네요 ^~~
경남 거제시 둔덕면 녹산1길 71
반갑습니다
거제해원호 입니다
수요일 조황입니다
단골 손님이 오붓하게
남여 조사님이 찾아 주셨네요
감성돔 아무나 잡네요
여성 조사님 처음 낚시에
담구면 물어 줍니다 ㅋㅋ
선수들 기 죽어서 조기 철수 했읍니다
참돔 방어 부시리 출조 12만원
감성돔 9만원
010 4118 7665
거제시 둔덕면 녹산1길71
|
|
|
|







