네임
카드
카드
고성드래곤피싱
경남 고성군 삼산면
두포로 522-66
010-9339-6947
- 4대돔(감성돔,돌돔,참돔,벵에돔) 조황을 올리는 게시판입니다. 타 어종 등재시 예고없이 게시글 삭제 및 이용정지 됩니다. - 제목에 특수문자 사용하시면 안됩니다. (온점, 쉼표, 느낌표, 괄호, 물결만 허용) ☆ 공지사항에 조황등재시 유의사항을 꼭 확인하여 조황작성 부탁드리며, 가장 기본적인 규칙이 지켜지지 않을 시, 예고없이 삭제 및 이용정지 될 수 있음을 알려드립니다. |
![]() |
|
![]() |
![]() |
경남 고성군 삼산면
두포로 522-66
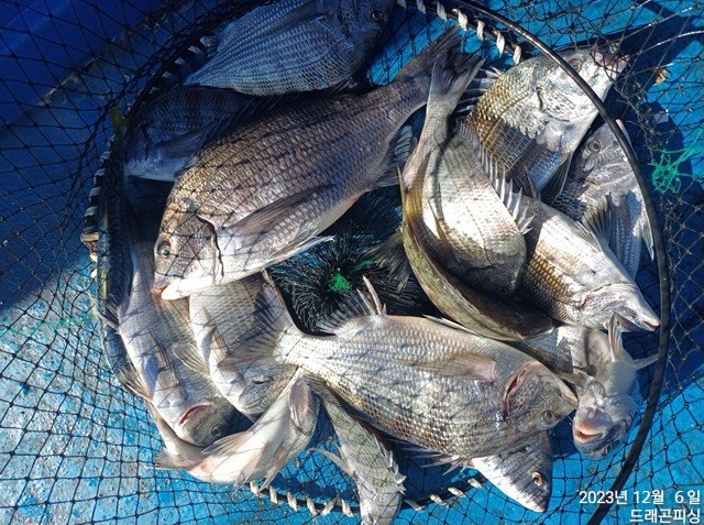
대구,부산,진주 조우님들과 감시 찾아 욕지권으로 출조 물이 약해서인지
아침45.43등 3수하고 입질이없어 사량도에서 마릿수하고 철수 조황.
어초 대물 감성돔 욕지권.사량도로 출조 함께하실분 연락 주세요.

■ 매일 욕지권,사량도 어초 대물 감성돔 흘림 출조 "예약가능"
■ 개인, 단체 쭈욱 자리여유 있습니다.
☞ 예약은 입금순으로 합니다. (펑크내는 분들이 많아)
계좌번호 : 국민은행 558201-01-411286 조영식

■ 고성드래곤피싱 :https://band.us/@dragon6666
밴드에서 바로 조황 확인 예약 가능합니다.
▧ 감성돔 흘림릴찌낚시 출조 ▧
1) 감성돔: 출항 05시30분전후, 철수 오후 2시 (유동적)
2) 밑밥,미끼,커피,생수,점심 제공

■ 고성 드래곤피싱 ☎010-9339-6947
■ 출항지 : 구주소: 고성군 삼산면 두포리946-1,
도로명: 경남고성군 삼산면 두포길 522-66
(네이브 지도 드래곤피싱 검색)
#드래곤피싱 #흘림찌낚시 #고성선상낚시 #고성낚시배
#감성돔조황 #바다낚시 #어초 #고성참돔 #감성돔흘림
#고성돌문어전문 #고성바다낚시 #남해바다 #체험낚시
#고성내만갈치 #고성드래곤피싱 #고성돌문어낚시
#통영바다낚시 #출조모집 #초보환영 #회사야유회겸낚시
#내만갈치 #다잡아생활낚시 #단체환영 #고성갑오징어낚시
#참돔 #고성감성돔낚시 #고성감성돔 #고성참돔흘림
#고성감성돔흘림 #고성드래곤피싱010-9339-6947
|
|
|
|





