4대돔조황 ~2025.09.30 960 페이지 > 인낚ㅣ인터넷바다낚시
인낚ㅣ인터넷바다낚시
어종별선상
어종별갯바위
낚시인조황
점주선장조황
출조정보
낚시광장
낚시지식인
낚시교실
중고장터
휴게실
인낚도서관
인낚몰
0
홈
어종별선상
어종별갯바위
낚시인조황
점주선장조황
출조정보
낚시광장
낚시지식인
낚시교실
중고장터
휴게실
인낚도서관
인낚몰
어종별선상
어종별갯바위
낚시인조황
점주선장조황
출조정보
낚시광장
낚시지식인
낚시교실
중고장터
휴게실
인낚도서관
인낚몰
어종별선상
어종별 선상조황
4대돔 조황
먹물 조황
갈치 조황
볼락&전갱이
빅게임 지깅&파핑
외줄&외수질
기타 어종
어종별 갯바위조황
4대돔 조황
먹물 조황
갈치 조황
볼락&전갱이
농어&삼치&방어&부시리
기타 어종
어종별갯바위
어종별 선상조황
4대돔 조황
먹물 조황
갈치 조황
볼락&전갱이
빅게임 지깅&파핑
외줄&외수질
기타 어종
어종별 갯바위조황
4대돔 조황
먹물 조황
갈치 조황
볼락&전갱이
농어&삼치&방어&부시리
기타 어종
낚시인조황
낚시인 번개조황
낚시인조행기
스탭조행기
우리낚시동호회이야기
전국낚시동호회소개
동호회갤러리
지난 조황자료보기(년도별 조황 자료)
점주선장조황
전국 실시간 조황
선상(배)+좌대 조황
갯바위+방파제 조황
점주선장전용 공지사항
지난 조황자료보기(년도별 조황 자료)
출조정보
낚시인동행출조
점주선장 갯바위 출조
점주선장 선상출조
기상파고정보(기상청)
해상예보
물때표
파고예보(일본)
실시간해양관측예보
스마트조석예보
낚시광장
낚시계뉴스
대회 및 낚시관련 홍보
제품평가단
신상품소개
낚시지식인
Q&A 묻고 답하기
지식인 베스트
조황/포인트 문의
낚시용품 사용기
낚시투표
토론방
新어류도감
낚시교실
낚시기법소개
어종별 낚시교실
입문자교실
중급자교실
낚시용어사전
중고장터
중고장터 이용후기
더치트 사기피해 검색
팝니다
삽니다
교환합시다
무료로 드립니다
부품팝니다
부품삽니다
일반 생활용품 사고 팔기
휴게실
출석부
낚시갤러리
세상사는 이야기(자유게시판)
낚시이야기 마당
먹고사는 이야기
구인구직
칭찬합니다
어째이런일이
습득물 찾기
인낚도서관
인낚 유튜브
인낚 칼럼
블루, 그것이 알고싶다
더블테일의 두 눈으로 보는 세상
입질의추억의 피싱다이어리
나無의 바다 이야기
전문강좌
海巖의 바다낚시 이야기
이성규의 전유동낚시 강좌
조성민의 금요루어클럽
인낚몰
홈소개
공지사항
자주 묻는 질문
운영진에게
광고/제휴문의
로그인
자동로그인
회원가입
|
정보찾기
회원랭킹(월 글등록)
4
1
부남대여tv
4
2
김해장유아디다스
4
3
풍낚TV
4
4
기나긴기다림
4
5
돌돌치기
4
6
손만넣고잘게
3
7
최리무진
3
8
지르미누
3
9
곰새우
3
10
옥자몽
3
11
진해숭어
3
12
헛탕만
3
13
크롬
2
14
카니발
2
15
기용이
2
16
밀키스제로
2
17
감시지느러미
2
18
김해왕태곤
2
19
짱규
2
20
무쌍
공지사항
09.01
★ 2025년 9월 5일 사이트 리뉴얼 오픈 안내
06.09
★ "Connect Error: No such file or directory" 에러가 발생시
05.29
★ 카이퍼넷 방화벽 차단시 설정방법
07.03
★ 사이트 정상운영 ★ 24.07.03
06.19
★ 사이트 정상운영 ★ 24.06.19
06.17
★ 사이트 정상운영 ★
06.14
★ 서비스 일시정지 - 서버이전작업 ★
07.14
★ 112차 제품평가단 위촉 명단 발표
07.07
★ 112차 제품평가단모집 - 1차
11.01
★ 111차 제품평가단 위촉 명단 발표
점주/선장 >
4대돔 조황(감성돔,돌돔,참돔,벵에돔)
▶
지켜주세요! ◀
- 4대돔(감성돔,돌돔,참돔,벵에돔) 조황을 올리는 게시판입니다.
타 어종 등재시 예고없이 게시글 삭제 및 이용정지 됩니다.
-
제목에 특수문자 사용하시면 안됩니다. (온점, 쉼표, 느낌표, 괄호, 물결만 허용)
☆ 공지사항에 조황등재시 유의사항을 꼭 확인하여 조황작성 부탁드리며,
가장 기본적인 규칙이 지켜지지 않을 시, 예고없이 삭제 및 이용정지 될 수 있음을 알려드립니다.
포토
제목
이름
날짜
[진해] 12일 원도권돌문어 KKKKK들 쫙쫙쫙~!!(목,금,토,일 예약…
출항지 : 진해 / 출조지 :
진해라코피싱
44
01.13
진해라코피싱
01.13
[진해] 진해더블피싱 참돔타이라바 매일매일 3자리수 철수조황
출항지 : 진해 / 출조지 :
진해더블피싱
64
01.13
진해더블피싱
01.13
[고흥,녹동] 0113/녹동제니스2호/참돔타이/부지런히 발품판만큼 나왔던오늘~…
출항지 : 고흥,녹동 / 출조지 :
ZENITH제니스호
49
01.13
ZENITH제니스호
01.13
[통영] 20250113 풍화리 선외기통큰낚시 조황
출항지 : 통영 / 출조지 :
착한선상좌대
107
01.13
착한선상좌대
01.13
[부산] <삼성낚시>~흘림~부시리,방어 조황 입니다
출항지 : 부산 / 출조지 :
다대포삼성낚시
171
01.13
다대포삼성낚시
01.13
[진해] [원도권문어]2,34k 완전 대왕 문어 잔치!!18,19일,예약…
출항지 : 진해 / 출조지 :
진해빅마마호
64
01.13
진해빅마마호
01.13
[진해] [감성돔 흘림] 48 41 40 그 외 마릿수~ 손 맛 느끼러 …
출항지 : 진해 / 출조지 :
풍경호
64
01.13
풍경호
01.13
[진해] 문어) 원도권 금토일 예약가능~묵직한손맛 굿굿~
출항지 : 진해 / 출조지 :
진해제네시스호
44
01.13
진해제네시스호
01.13
[제주] 제주오션피싱호 1월13일(월) 긴꼬리벵에돔 조황
출항지 : 제주 / 출조지 :
제주오션피싱
41
01.13
제주오션피싱
01.13
[고흥,녹동] E스마일 13일 방어지깅 조황입니다
출항지 : 고흥,녹동 / 출조지 :
E스마일호이총무
41
01.13
E스마일호이총무
01.13
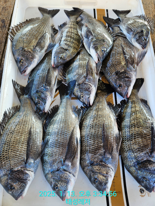
[통영] [풍화리 태성레저 선외기]감성돔48/47/46/45외 조황
출항지 : 통영 / 출조지 :
태성레저
179
01.13
태성레저
01.13
[진해] 감성돔흘림 시즌13호 대물5짜!!짜릿한 손맛!!(수목금토일예약중…
출항지 : 진해 / 출조지 :
진해왕낚시
119
01.13
진해왕낚시
01.13
[거제] 1월13일 안경섬 참돔조황입니다.
출항지 : 거제 / 출조지 :
거제현대마린
127
01.13
거제현대마린
01.13
[여수,광양] 13일 쏨뱅이 오늘도 망탱이 조황 입니다
출항지 : 여수,광양 / 출조지 :
영심이호
87
01.13
영심이호
01.13
[고성] 통영 머구리 이선장의 연타피싱) 2025.1.13. 타이라바 쿨…
출항지 : 고성 / 출조지 :
통영연타피싱
84
01.13
통영연타피싱
01.13
[부산] 새해 조양호 왕 전갱이 조황
출항지 : 부산 / 출조지 :
송정조양호1
85
01.13
송정조양호1
01.13
[울진] 울진 후포 제이존호 대구 낚시 조황입니다
출항지 : 울진 / 출조지 :
제이존호
65
01.13
제이존호
01.13
[울진] 울진 후포 제이존호 대구 낚시 조황입니다
출항지 : 울진 / 출조지 :
제이존호
75
01.13
제이존호
01.13
[진해] "감성돔" 강풍에 4짜들 마릿수로 철수 하였습니다~(예약가능)
출항지 : 진해 / 출조지 :
창원사랑호
84
01.13
창원사랑호
01.13
[속초,강릉] 못 먹어도 GO 그것은 피문어.(다잡아)
출항지 : 속초,강릉 / 출조지 :
강릉사화진호
53
01.13
강릉사화진호
01.13
[마산] 귀산태공) 감성돔 흘림 4짜 5짜 조황
출항지 : 마산 / 출조지 :
귀산강태공피싱
192
01.13
귀산강태공피싱
01.13
[울산] #해적선 13일 오후 2시간 짬낚 대전갱이 대박입니다
출항지 : 울산 / 출조지 :
울산해적선피싱
135
01.13
울산해적선피싱
01.13
[통영] (곤리 풍화)궁항레저 감성돔 조황
출항지 : 통영 / 출조지 :
통영궁항레저
112
01.13
통영궁항레저
01.13
출항지 : / 출조지 :
1970.01.01
1970.01.01
[거제] 장승포 카리스호 감성돔 흘림 오후 조황입니다
출항지 : 거제 / 출조지 :
카리스피싱
155
01.13
카리스피싱
01.13
[제주] 제주스마트호 한림갑오징어조황
출항지 : 제주 / 출조지 :
스마트호
40
01.13
스마트호
01.13
[속초,강릉] 22인승 샤크마린 1.13 가자미 줄타고 올라옵니다 낼 출조가실…
출항지 : 속초,강릉 / 출조지 :
샤크마린
40
01.13
샤크마린
01.13
[사천] 감성돔 조황, 출조합니다~~
출항지 : 사천 / 출조지 :
삼천포뉴청용피싱2호
81
01.13
삼천포뉴청용피싱2호
01.13
[거제] 금.토.일 최상의 물때 안경 홍도 방어 빅게임 갑니다!!
출항지 : 거제 / 출조지 :
거제히어로피싱ROY…
81
01.13
거제히어로피싱ROY…
01.13
[진해] 주간감성돔흘림4짜외마릿수조황(내일출항예약가능)
출항지 : 진해 / 출조지 :
진해뉴스피드호
81
01.13
진해뉴스피드호
01.13
초기화
날짜순
조회순
검색
951
952
953
954
955
956
957
958
959
960
Search
검색대상
제목
내용
제목+내용
회원아이디
회원아이디(댓글)
글쓴이
글쓴이(댓글)
또는
그리고
검색어
필수
검색
닫기
검색조건
제목
내용
제목+내용
회원아이디
회원아이디(코)
글쓴이
글쓴이(코)
검색어
또는
그리고
검색
인낚 최신글
16:32
[지깅]"방어"'방어" go.go(일.월요일출항확정,이벤트중)
16:31
나도 할수 있다 " 겨울방어 " 당신이 주인공 !
16:30
원도권돌문어 대물사냥~토요일~예약가능~~~~K K K K
16:25
왕오징어&한치 팔이 후덜덜~토,일~//참돔타이 일요일
16:25
뉴에이스호 주말 감성돔 출조합니다.
16:23
통영 송현호))크라켄 돌문어 사냥 주말 출동합니다
16:22
(감성돔)1명 4짜4짜 외 마릿수 대물 3방 팅~대어1호(27일 예약)
16:21
강철 시리즈
16:21
(감성돔)초겨울 대물 공략 4짜4짜4짜 외 손맛~대어2호(27일 예약)
16:21
가마가츠 gm 2197 블랙 LL
16:20
(감성돔)선외기 4짜 오버 대물들~4짜들 퍽 퍽~대어선외기(27일 예약)
16:18
(문어)원도권 대물 시즌 3K 외 K오버 타작~락피싱(27일 예약)
16:17
어초밭의마맀수감성돔들(41외.흘림)
16:17
열기볼락,굵은씨알만쿨행진,,일,월,화,쭉 예약가능/왕오징어,출항,호래기,출항
16:16
(문어)황금물때 K오버 공략 냉장고 포인트 직항~현서피싱(27일 예약)
16:15
감성돔 (( 흘림 )) 조황입니다~~!! 토요일 2자리@@
16:14
쯔리겐 이지스찌외 LF슬림전자찌 팝니다
16:14
(볼락)통영권 3짜급 왕사미 외 20Cm 전후 줄줄이~뉴그린호(27일 예약)
16:13
시마노25인해
16:10
((밤뽈락외줄))신짝왕뽈부터 왕열기까지 쿨러만땅 오늘오후 4시(예약가능
16:10
오늘 금,토<야간낙지> & <주간쭈꾸미>토,일 예약가능
16:09
감성돔 거제인성낚시
+1
16:09
NS 알바트로스 VS3 1.5-500
16:08
~*감성돔 찌낚시마리수~~^(토요일예약가능)*~~
16:08
먼바다오징어 출조합니다(토.일예약가능)
16:07
어초!!감성돔흘림~대물 감성돔마릿수 !!내일예약가능
16:07
알쭈꾸미 오늘도 굿~ 토,일 자리여유 있습니다
16:05
카고 감성돔 조항입니다~~
16:00
[알주꾸미]퍽퍽!!씨알~마릿수~좋다~내일1자리펑크,월화수쭉예약가능합니다!!
15:58
(거제 FM 피싱호 ~감성돔흘림)~내일 (토요일)부로 정상출조합니다 같이할 조사님들 초대합니다
15:57
일요일28일 감성돔 찌낚 가실분
15:56
오늘의 알쭈꾸미 우당탕 잡았습니다
15:55
신짝 왕뽈/열기 물때 시작부터 만쿨(오늘예약가능
15:53
윤피싱 씨알좋은 왕오징어 일요일 부터 예약가능합니다~
15:52
호래기 호래기 귀한 호래기 잡으로 출동합니다~~~예약가능
15:51
진동 가나피싱 감성돔 출조합니다
15:48
(감성돔)해금강권 시즌 OPEN~4짜 전후 손맛~신성호(27일 예약)
15:48
발상양수기
15:47
(감성돔)힘이 장사 빵빵한 4짜 전후 전원 손맛~3대호(27일 예약)
15:47
감성돔 어초흘림 주말자리여유
15:46
(감성돔)마릿수 소식 어초여밭 4짜 전후 HIT~가고파호(27일 예약)
15:45
(감성돔)대물 출조 4방 팅 5짜 외 4짜 탱크 손맛~베이호(27일 예약)
15:45
진동킹덤호/감성돔 어초 흘림 예약 가능합니다.
+1
15:44
해상월1ᆢ주말 감성돔 출조함니다(한산권)
15:42
토 6자리 남았어요,참돔 타이
15:40
(원도권)1.8K 외 K전후 줄줄이~大문어 핫조황~고고피싱호(27일 예약)
15:39
(볼락)갈뽈 청뽈 피딩~1타 1피~고고써니호(주간 문어 야간 볼락)
15:37
(문어)3K급 2.9K 외 K오버 대물들 뽑기~홍부장피싱(27일 예약)
15:34
감성돔세분흘림46,42,40외3짜들
15:30
뜰채구해봅니다
인낚 최신댓글
16:26
16:25
16:25
15:57
두대다안써봤지만... 토너 1.25호가 약하다면 웬지 1.5호로 호수를 올리는것이 가장 좋은 선택지 같네요.…
15:45
▶작성자 본인에 의해 삭제된 댓글입니다.(삭제일시 : 2025-12-26 16:19:37)
15:26
토, 일 주간열기낚시 예약가능합니다. 06시까지 오시면 자리추첨후 출조합니다.
14:48
여름부터 거의 토너만 쓰다보니 정확하지는 않는데 제기억이 맞다면 90도 세웠을때 초리가 눈앞에 왔던거 같긴합…
14:45
입금완료 했는데 신청이 제대로 됐는지 확인바랍니다
14:43
1년치 입금 완료했습니다
14:24
명파기s 1.35는 어떤가요? 요즘 60초반 가격이든데요
12:57
본조자도 안되나요? ㅠ ㅜ
12:57
x소중한 정보감사해요 ^^
12:47
몬스터포스 구치부토 M50은 1.4호대 파워 나오는거 같습니다. 부시리 다랑어 참돔 땡겨봤는데 제 눈엔 본조…
11:52
내일자리여유 있습니다
11:17
제가 위글에 on상태를 off상태로 잘못 기재했네요^^;;
10:54
닉;;;;ㅠㅠ
10:28
구레스페셜은 안써봐서 패스. 몬스터포스는 가마 구태랑 흡사한 동조자 스타일입니다. 참고하세요.
09:32
광고비 받고 광고하는 제품들 별로라고 해도 대놓고 안좋다고 하기에는 다소 무리가 있겠지요. 돈 주면서 광고 …
09:06
27일(토) 주간열기낚시 예약가능합니다. 06시까지 오시면 자리추첨후 출조합니다.
03:30
재미는 있더군요.
12.25
@방생또방생 방생님 ~ 너무 감사합니다.^&^ 따듯한밤 되세요
12.25
쟤는 제왕절개? ㅋㅋ
12.25
메리 크리;스토막리스
12.25
하나하나 다 맞는 말씀이십니다 그러나 언제 올지 모르는 대물의 기대감과 새로운 장비에 대한 호기심도 낚시의 …
12.25
감시찌는 아무거나...
12.25
튼튼 장비 장만하고 나면 그 튼튼 장비 맛 볼 파이팅 기회가 잘 안 오더군요 완전 패스해야 할 급 장비가 아…
12.25
촬영 조건이 달라서...에 대한 것도 고려해 보심이.... 즉 조금만 촬영 각도가 달라도 빛의 다양한 다름 …
12.25
1.2-50 사용중입니다~가볍고 경쾌하고 남해동부권 올라운드용으로 구매하여 지금까지도 잼나게 잘 가지고 놀고…
12.25
셋중에서 저는 무조건 3번 갑니다.
12.25
28일(일) 널널합니다^_^
12.25
감사합니다 메리크리스마스 되시길^^
12.25
저도 1-53 으로 사고싶긴 하나 1.5호대를 좋은가격으로 분양받을수있는 기회가 생겨서요 내만용 1호대 따로…
12.25
경질성향을 찾으시는데 나열하신 낚시대들은 중경질성향이시네요 경질이라면 그랜드마스터2 1.25 가 더 적합하실…
12.25
경질은 아니지만 저라면 베이시스 1.2 480 가겠습니다 사용중인데.. 바란스 무게감 좋구여 46도 그냥 올…
12.25
1-53사용중이고 1.2-53 1.5-50사용했습니다. 조작성을 살린 경질 선조자 낚시대입니다. 1.5-53…
12.25
27일(토) 주간열기낚시 예약가능합니다. 06시까지 오시면 자리추첨후 출조합니다.
12.25
1.25 50으로 주문했습니다 다음에 1.5호나 1.75호로 기추 할 계획이에요 답변 감사드립니다 해피크리스…
12.25
▶작성자 본인에 의해 삭제된 댓글입니다.(삭제일시 : 2025-12-26 16:19:01)
12.25
순 ... 는 도장 게짐 발생 수리비 4000원 달로 하든되 미사용 보관 품인되 한두개도 아니고...
12.25
쿠팡 부터 먼저 도배 하는되.ㅠㅠ
12.25
줄 어디껀가요?
12.24
이번에 확실히 느꼈습니다ㅜ 답변 감사합니다
12.24
구독자로서 함 사봤는데 아쉽네요ㅜㅜ답변 감사합니다
12.24
답변 감사합니다! 3중 코팅이라고 표기 되어 있어요! 기스방지를 위한 코팅일수도 있겠네요 제 기준 카본목줄 …
12.24
어텐더3는 1-50 1.25-50사용중인데요. 모멘트차이로봤을때 호수만큼의 무게차이는 정확히 나타날꺼같네요.…
12.24
원사를 직접생산하는 브랜드사용하는것이 가격도 경제적이고 정신건강도 좋다생각합니다.^^ 투명도가 영... 별루…
12.24
12.24
카본하고는 무관하고요 원액이 필라멘트입니다.. 단일 소재의 약점이 극과 극으로 가는데요.. 예 비닐봉지 원판…
12.24
도미감님 안녕하세요 답변 감사드립니다 위 내용에 필라멘트사 원액이 카본사 이며 그 필라멘트사를 가늘게 엮으면…
12.24
일본 원사공장에 주문해서 가격올려서 파는 것들이 대부분이라 유투버 이름달고 나오는거는 저는 무조건 거릅니다.…
온라인 문의 안내
*운영진에게 문의
*광고/제휴 문의
월~금 : 9:00 ~ 18:00
토/일/공휴일 휴무
점심시간 : 12:00 ~ 13:00
인낚몰 초특가
★3,000★ 하야부사 6단 볼락 전갱이 카드채비 SD724 볼락채비
★1,000★볼락낚시에 최적인 메바트로볼 - 캐스팅볼, 메바볼
★13,000~★3NO 일본 오리지날 직수입 극강 멀티 무광 마크사 원줄
★500★ W쿠션 멀티 수중찌 M L - 전유동 반유동 끄심바리 필수품 수중쿠션
★5,900★ 여러개 있으면 아주 좋은 EVA 시스템 백
★ 1+1 플로팅, 세미, 카본 낚시줄 행사 호수선택가능 / 택상 1+1 원줄, 목줄 행사
★6,000★ 예민함의 끝판왕 애니원찌 벵에돔찌 학공치찌
★15,000★ 오동목 구멍찌 5개 + 메쉬 찌케이스 세트
★22만원★ 40W 집어등을 이 가격에!
★5,000★ 전층쿠션 15세트입 S / L 사이즈
★2,000★ 전층쿠션 5세트입 S / L 사이즈
★10,000 미니집어등5개 + 425배터리 1개 + 스토퍼고무 10개