네임
카드
카드
정원호
전남 여수시 어항단지로 18-5
010-3608-0844
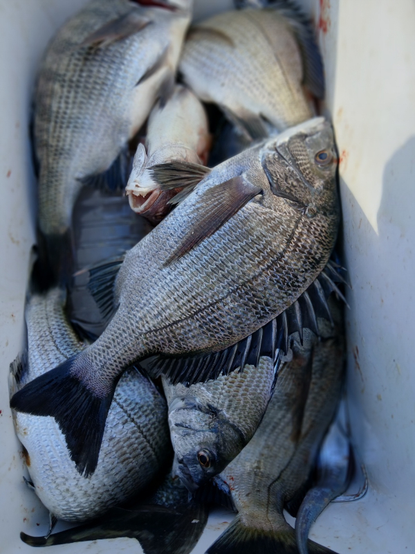
- 4대돔(감성돔,돌돔,참돔,벵에돔) 조황을 올리는 게시판입니다. 타 어종 등재시 예고없이 게시글 삭제 및 이용정지 됩니다. - 제목에 특수문자 사용하시면 안됩니다. (온점, 쉼표, 느낌표, 괄호, 물결만 허용) ☆ 공지사항에 조황등재시 유의사항을 꼭 확인하여 조황작성 부탁드리며, 가장 기본적인 규칙이 지켜지지 않을 시, 예고없이 삭제 및 이용정지 될 수 있음을 알려드립니다. |
![]() |
|
![]() |
![]() |
여수정원호)오늘의 감성돔 조과 입니다
전남 여수시 어항단지로 18-5




=== 여수 정원호 예약안내 ===
예약문의 : 010-3608-0844
오시는길 : 전남 여수시 어항단지로 18-5
홈페이지 : http://jungwonho.sunsang24.com/

|
|
|
|





