7/7 [홍원항 영진낚시] 참돔 타이라바 출조 조황 입니다 ~ ! !

회원랭킹(월 글등록)


공지사항


NaverBand
점주/선장 > 4대돔 조황(감성돔,돌돔,참돔,벵에돔)

▶ 지켜주세요! ◀
 
 - 4대돔(감성돔,돌돔,참돔,벵에돔) 조황을 올리는 게시판입니다.
   타 어종 등재시 예고없이 게시글 삭제 및 이용정지 됩니다.
 - 제목에 특수문자 사용하시면 안됩니다. (온점, 쉼표, 느낌표, 괄호, 물결만 허용)

 ☆ 공지사항에 조황등재시 유의사항을 꼭 확인하여 조황작성 부탁드리며,
     가장 기본적인 규칙이 지켜지지 않을 시, 예고없이 삭제 및 이용정지 될 수 있음을 알려드립니다. 

 
b_hot_innakmall_200x80_240307.jpg b_hot_innakmall_200x80_220704.jpg b_hot_ggsusan_hongeu_200x80.gif b_hot_innakmall_200x80_211203.gif

7/7 [홍원항 영진낚시] <가이아호> 참돔 타이라바 출조 조황 입니다 ~ ! !

홍원항영진낚시 0 29
● 출항지 : 서천,보령
  • 사용자가 올린 이미지

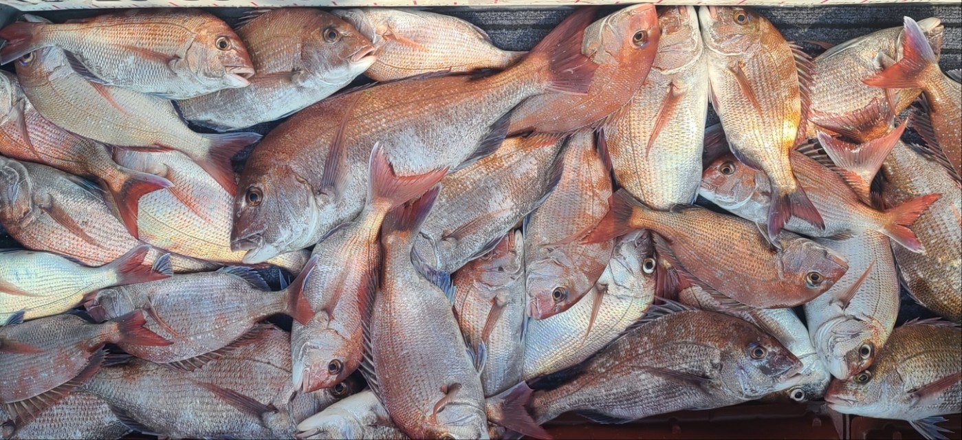
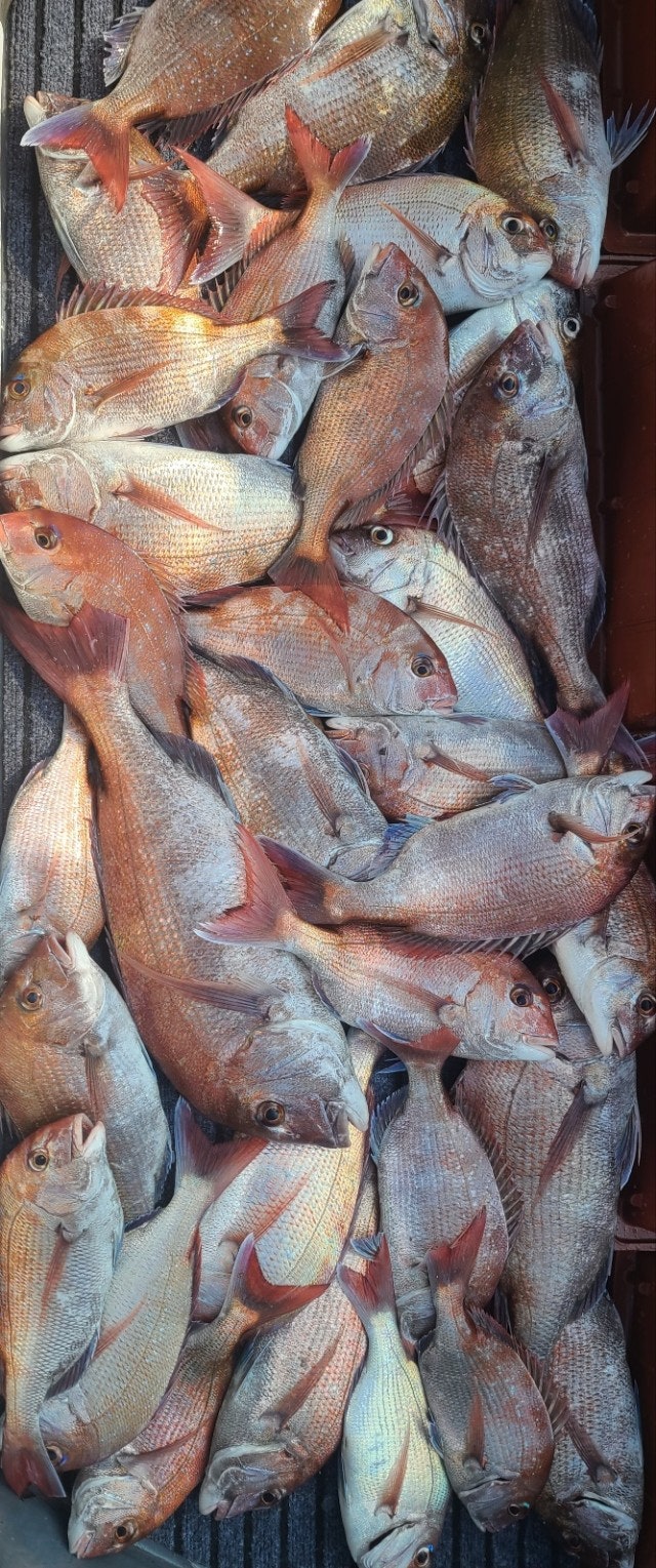
7일 가이아호 조황 입니다.

내일도 정상 출조하오니 언제든 예약문의 주세요 ~

출조해주신 조사님들 고생많으셨습니다. 감사합니다.


- 영진낚시선단 :

가이아호 (9.77t / 22인승)
영진호 (9.77t / 22인승)
시실리호 (9.77t / 22인승)


- 예약 방법 :
전화 예약 : 041-951-2427
: 010-9422-2427
: 010-6476-2427

- 모든예약은 전화나 문자로만 받습니다.
댓글로는 예약을 받지 않습니다^^

- 주소: 충남 서천군 서면 홍원길 83 영진낚시

홈페이지 : http://www.yjfishing.kr

밴드 : http://band.us/@jjuggumi

※앞으로는 신분증 없이 승선이 불가합니다.
승선하시는분들께서는 꼭 신분증 지참해주세요~

■○○■○○■○○■○○■○○■○○■○○■○○■○○■
■ 출조문의 : 홍원항 영진낚시 (충남 서천군 서면 도둔리 991-23번지)
☎ 041-951-2427
☏ 010-9422-2427
  • 사용자가 올린 이미지
  • 사용자가 올린 이미지
  • 사용자가 올린 이미지
  • 사용자가 올린 이미지
  • 사용자가 올린 이미지
  • 사용자가 올린 이미지

  • 페이스북으로 보내기
  • 트위터로 보내기
  • 구글플러스로 보내기
  • 카카오스토리로 보내기
  • 네이버밴드로 보내기
  • 네이버로 보내기
  • 텀블러로 보내기
  • 핀터레스트로 보내기
0 댓글
포토 제목
 
 

인낚 최신글


인낚 최신댓글


온라인 문의 안내


월~금 : 9:00 ~ 18:00
토/일/공휴일 휴무
점심시간 : 12:00 ~ 13:00