네임
카드
카드
고성드래곤피싱
경남 고성군 삼산면
두포로 522-66
010-9339-6947
- 4대돔(감성돔,돌돔,참돔,벵에돔) 조황을 올리는 게시판입니다. 타 어종 등재시 예고없이 게시글 삭제 및 이용정지 됩니다. - 제목에 특수문자 사용하시면 안됩니다. (온점, 쉼표, 느낌표, 괄호, 물결만 허용) ☆ 공지사항에 조황등재시 유의사항을 꼭 확인하여 조황작성 부탁드리며, 가장 기본적인 규칙이 지켜지지 않을 시, 예고없이 삭제 및 이용정지 될 수 있음을 알려드립니다. |
![]() |
|
![]() |
![]() |
경남 고성군 삼산면
두포로 522-66
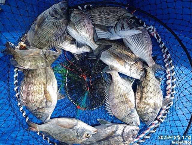
화.수.목.금.토.일 감성돔 흘림 자리여유 함께하실분 연락주세요.
소수인원 출조에 아침엔 감시 입질이 연속으로 들어오고 씨알도 36.34등
잘올라오다 들물에는 입질뚝 몇번의 포인트 이동끝에 마릿수 3분조황


1) 감성돔: 출항 5시30분 철수 2시전후 입항
2) 밑밥, 미끼,커피,캔음료,점심 제공
3) 독배할인 및 시간 조정 가능
☞ 예약은 입금순으로 합니다.(펑크내는 분들이 너무많아서 이해하세요)
계좌번호 : 국민은행 558201-01-411286 조영식
■ 고성드래곤피싱 :https://band.us/@dragon6666
밴드에서 바로 조황 확인 예약 가능합니다.

■ 선장 ☎010 9339 6947
■ 출항지 : 구주소: 고성군 삼산면 두포리946-1,
도로명: 경남고성군 삼산면 두포길 522-66( 네이브 지도 드래곤피싱 검색 )
#선상낚시#흘림찌낚시 #고성선상낚시 #고성낚시배 #감성돔조황
#바다낚시 #어초 #고성참돔 #고성돌문어전문 #감성돔흘림
#고성바다낚시 #남해바다 #고성내만갈치 #체험낚시
#고성돌문어낚시 #통영바다낚시 #출조모집 #초보환영
#회사야유회겸낚시 #내만갈치 #다잡아생활낚시 #단체환영
#고성갑오징어낚시 #참돔 #고성감성돔낚시 #고성감성돔
#고성참돔흘림 #고성감성돔흘림 #고성배낚시 #배낚시 #독배할인
|
|
|
|





