카드
경남 통영시 도산면 저산서촌길 107 서촌마을방파제
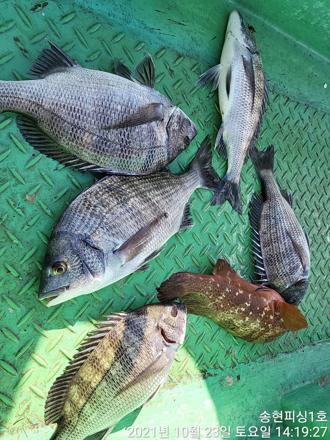
통영 송현피싱)) 감성돔 큰놈들은 터트리고~~중치급 손맛 굿굿
경남 통영시 도산면 저산서촌길 107 서촌마을방파제



안녕하세요 통영 송현피싱입니다
감성돔 출조 다녀왔습니다
큰놈들은 터트리고
중치급 손맛이네요 !!!
---------------------------------------------------
주중,주말 주간,야간 예약가능 합니다
■송현호 밴드: http://band.us/@fishing2011
통영시 도산면 저산서촌길 121 서촌마을방파제.(자체 민박 보유, 운영중입니다)
(민박주소) 통영시 도산면 저산서촌길 55-56
★송현호 ☎010-9360-4500 사량도 문어포인트 최근접 출조점, 민박직영 OK!!!
★성수기 "문어 5인이상 예약손님" 민박(독채) 회원가 할인 적용 해 드립니다.
■음료&커피&얼음생수,차양막(하절기) 상시 준비.
★문어,갑오징어낚시★
주간: 05:00전후 ~ 14:00 주중6만원/주말,공휴일7만원
야간: 16:00전후 ~ 22:00 6만원
- 간단한식사,음료,커피,얼음생수(하절기) 제공됩니다
- 음료,커피,얼음생수(하절기) 제공됩니다
- 문어전용낚시대(베이트릴) 무상 대여.지급된 장비 파손, 분실시에는 실비 보상해야 합니다.
★문어낚시 준비물★
왕눈이 20개,봉돌1봉지,왕도래1봉지,아이스박스
(문어전용낚시대,베이트릴 무상대여 가능)
문어 낚시대 없는분도 남녀노소 누구나즐길 준비만 하고 오십시요
★감성돔낚시 흘림낚시 출조 안내★
반나절: 일출~ 11:00,13:00~ 일몰 6만원(하절기주중)
종일: 일출부터~오후 2시까지 9만원(주중,주말)
- 밑밥,미끼,커피,생수 제공됩니다.
종일: 일출부터~오후 2시까지 9만원(주중,주말)
- 식사,밑밥,미끼,커피,생수 제공됩니다.
야간: 일몰부터~새벽 2시까지 9만원(동절기)
- 식사 제공됩니다.
★감성돔 대물 카고낚시(전용선 운행)(동절기)★
종일: 일출부터~오후 2시까지 10만원.
- 식사,밑밥,미끼,커피,생수 제공됩니다
★볼락낚시(털털이,루어)★
1항차: 06:00전후 ~ 13:00 7만원(주중,주말)
- 간단한식사 제공됩니다.
2항차: 16:00전후 ~ 23:00 7만원
★장비 무상 대여 가능. 지급된 장비 파손, 분실시에는 실비 보상해야 합니다★
예약은 입금순으로 진행되니 입금 하신분은 확인 문자(예약일.입금자성함) 부탁드리며
입금이 지연되면 자동 취소될수 있습니다
- 종일 독배팀 출항시간 조율가능합니다
- 출조 시간은 유동적일수 있습니다
★ 승선시 신분증 필수, 구명복 미착용, 음주행위는 법적으로 금지하고 있습니다.
★송현호 ☎010-9360-4500 감성돔낚시 / 볼락,문어,생활낚시 독채 민박직영 OK!!!
송현호 KNN생방송 투데이 방송 소개 https://youtu.be/AbmXWIUUyL4
-
-