네임
카드
카드
풍화리청송호
통영시산양읍풍화일주로540
01038788084
- 4대돔(감성돔,돌돔,참돔,벵에돔) 조황을 올리는 게시판입니다. 타 어종 등재시 예고없이 게시글 삭제 및 이용정지 됩니다. - 제목에 특수문자 사용하시면 안됩니다. (온점, 쉼표, 느낌표, 괄호, 물결만 허용) ☆ 공지사항에 조황등재시 유의사항을 꼭 확인하여 조황작성 부탁드리며, 가장 기본적인 규칙이 지켜지지 않을 시, 예고없이 삭제 및 이용정지 될 수 있음을 알려드립니다. |
![]() |
|
![]() |
![]() |
통영시산양읍풍화일주로540





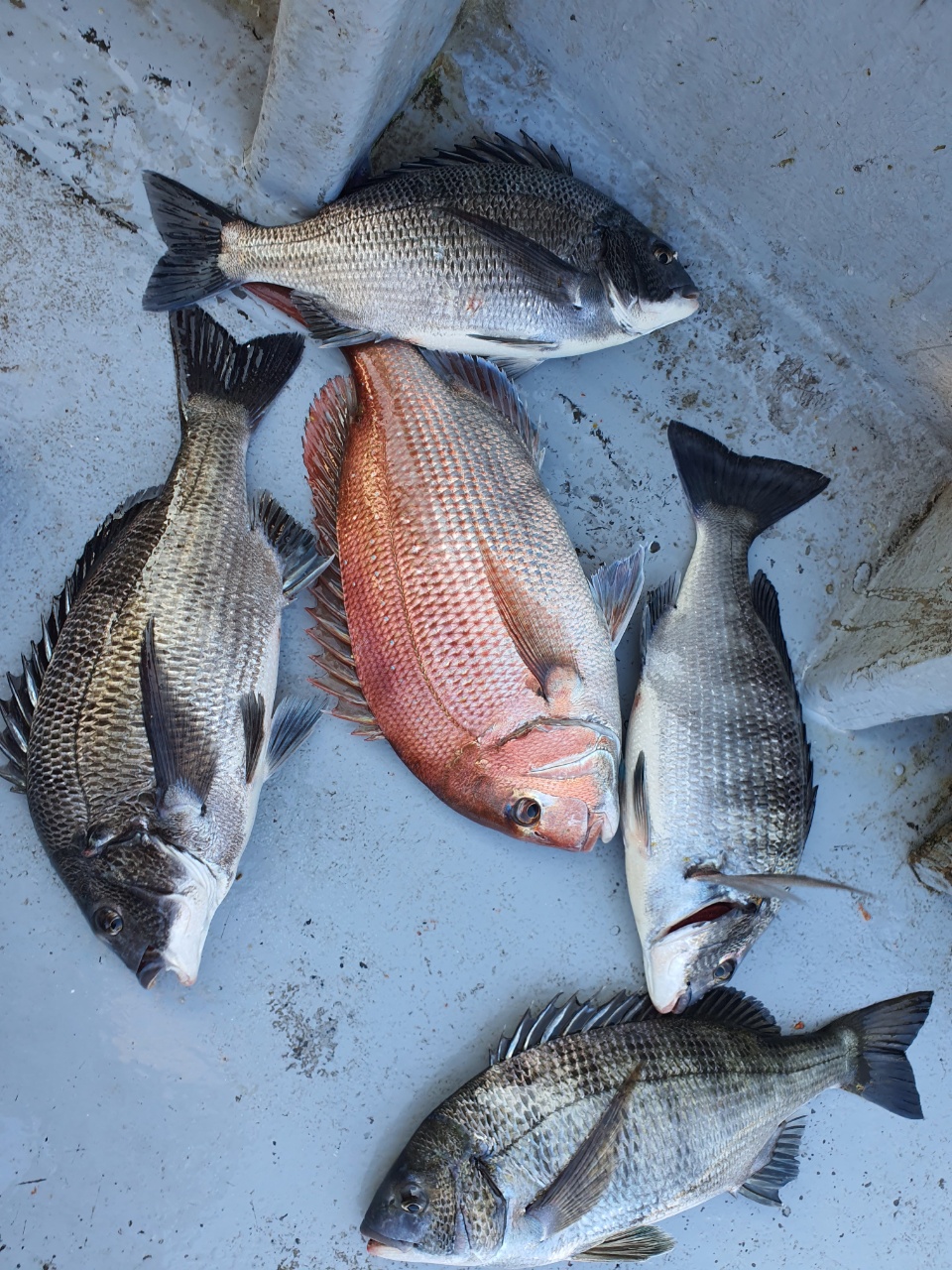
안녕하세요 통영청송호입니다
오늘 조과입니다
그동안 예약완료 때문에
조항올리지못했읍니다
수요일.목요일 예약가능합니다
앞으로 날씨만 받쳐준다면 계속
대물위주로 출조합니다
같이 하실조사님 연락 주세요
★문의전화★
010-3878-8084
■선비안내■
먼 바다 어초 선비 : 10만원
내만 : 8만원
참돔꼬라박기 :12만원
돌문어 선비: 7만원
갈치: 10만원
■오시는길■
통영시 산양읍 풍화일주로 540 청송호
|
|
|
|





