네임
카드
카드
거제용진호
선착장- 경남 거제시 둔덕면 학산리 107-6 용진호
010-3587-8651
- 4대돔(감성돔,돌돔,참돔,벵에돔) 조황을 올리는 게시판입니다. 타 어종 등재시 예고없이 게시글 삭제 및 이용정지 됩니다. - 제목에 특수문자 사용하시면 안됩니다. (온점, 쉼표, 느낌표, 괄호, 물결만 허용) ☆ 공지사항에 조황등재시 유의사항을 꼭 확인하여 조황작성 부탁드리며, 가장 기본적인 규칙이 지켜지지 않을 시, 예고없이 삭제 및 이용정지 될 수 있음을 알려드립니다. |
![]() |
|
![]() |
![]() |
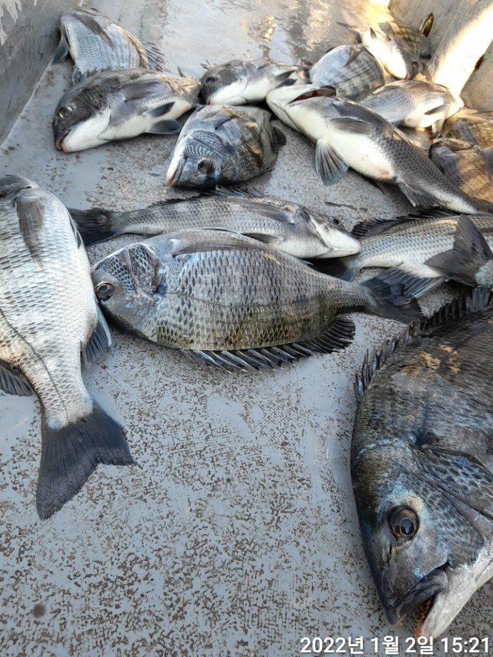
거제 용진호》손맛 좋은 감성돔 사냥~~즐낚하고 왔습니다~~
선착장- 경남 거제시 둔덕면 학산리 107-6 용진호








안녕하세요 거제 용진호입니다.
씨알좋은 감성돔 손맛 제대로 느끼고 복귀했습니다
씨알도 씨알대로 좋고
마릿수도 마릿수대로 즐기고 왔습니다
함께 하신 조사님들 새해복 많이 받으시고
언제든지 다시 찾아오시면
손맛 제대로 느끼게 해드리겠습니다
감사합니다!
▨ 용진호 ☎ 010.3587.8651 (선착장) 거제시 둔덕면 학산리 107-6
- 예약계좌 (수협) 2020 4196, 1837 예금주 :오화택
▩ 감성돔 흘림낚시" 안내 ▩
(평일) 05:00~14:00까지 9만원
- 밑밥, 미끼 포함입니다.
- 점심식사제공, 음료, 생수 제공합니다.
- 어초, 어장포인트 다양한 포인트 보유하고 있습니다.
<용진호 이용시 유의 사항>
- 신분증은 필해 지참해야 하며, 배에서 음주행위는 법적으로 되질 않습니다.
- 구명조끼는필수 지참이며 없을 경우, 무료로 대여 해드립니다
▨ 용진호 ☎ 010.3587.8651 (선착장) 거제시 둔덕면 학산리 107-6
- 예약계좌 (수협) 2020 4196, 1837 예금주 :오화택
|
|
|
|





