네임
카드
카드
고성드래곤피싱
경남 고성군 삼산면
두포로 522-66
010-9339-6947
- 4대돔(감성돔,돌돔,참돔,벵에돔) 조황을 올리는 게시판입니다. 타 어종 등재시 예고없이 게시글 삭제 및 이용정지 됩니다. - 제목에 특수문자 사용하시면 안됩니다. (온점, 쉼표, 느낌표, 괄호, 물결만 허용) ☆ 공지사항에 조황등재시 유의사항을 꼭 확인하여 조황작성 부탁드리며, 가장 기본적인 규칙이 지켜지지 않을 시, 예고없이 삭제 및 이용정지 될 수 있음을 알려드립니다. |
![]() |
|
![]() |
![]() |
경남 고성군 삼산면
두포로 522-66
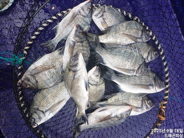
감시 흘림 토,일 자리여유 함께하실분 연락주세요.
바람도 불고 구름이라 낚시하기 딱 좋은 날씨에 아침부터 감시 입질이
계속되고 올리고 빠지고 씨알은 잘지만 마릿수하고 철수


☞ 감성돔: 출항 5시30 철수 1시30분 전후 입항
☞ 토,일,월,화,수,목 자리 널널 합니다.
☞ 밑밥, 미끼,캔음료,점심 제공
☞ 예약은 입금순으로 합니다.(펑크내는 분들이 너무많아서 이해하세요)
계좌번호 : 국민은행 558201-01-411286 조영식

■ 고성드래곤피싱 :https://band.us/@dragon6666
밴드에서 바로 조황 확인 예약 가능합니다.
■ 선장 ☎010 9339 6947
■ 출항지 : 구주소: 고성군 삼산면 두포리946-1,
도로명: 경남고성군 삼산면 두포길 522-66( 네이브 지도 드래곤피싱 검색 )
#선상낚시 #흘림찌낚시 #고성선상낚시 #고성낚시배 #감성돔조황 #바다낚시
#어초 #고성참돔 #고성돌문어전문 #감성돔흘림 #고성바다낚시 #남해바다
#고성내만갈치 #체험낚시 #고성돌문어낚시 #통영바다낚시 #출조모집
#초보환영 #회사야유회겸낚시 #내만갈치 #다잡아생활낚시 #단체환영
#고성갑오징어낚시 #참돔 #고성감성돔낚시 #고성감성돔 #고성참돔흘림
#고성감성돔흘림 #고성배낚시 #배낚시 #독배할인
|
|
|
|





