(감성돔)오전 피딩~1명 4짜급 외 중치급 타작~제일호(6일 오전 예약)

회원랭킹(월 글등록)


공지사항


NaverBand
점주/선장 > 4대돔 조황(감성돔,돌돔,참돔,벵에돔)

▶ 지켜주세요! ◀
 
 - 4대돔(감성돔,돌돔,참돔,벵에돔) 조황을 올리는 게시판입니다.
   타 어종 등재시 예고없이 게시글 삭제 및 이용정지 됩니다.
 - 제목에 특수문자 사용하시면 안됩니다. (온점, 쉼표, 느낌표, 괄호, 물결만 허용)

 ☆ 공지사항에 조황등재시 유의사항을 꼭 확인하여 조황작성 부탁드리며,
     가장 기본적인 규칙이 지켜지지 않을 시, 예고없이 삭제 및 이용정지 될 수 있음을 알려드립니다. 

 
b_hot_innakmall_200x80_240307.jpg b_hot_innakmall_200x80_220704.jpg b_hot_ggsusan_hongeu_200x80.gif b_hot_innakmall_200x80_211203.gif

(감성돔)오전 피딩~1명 4짜급 외 중치급 타작~제일호(6일 오전 예약)

제일호 1 46
● 출항지 : 거제
밴드 바로가기
확율 높은 오전낚시 주말 예약 가능~!!
5일(금요일) 거제도 감성돔 선상낚시 청곡항 출발, "제일호" 오전 조황입니다.
※ 53Cm이상 감성돔 포획시 AJIKA(아지카)라인에서 사은품 증정!!!
※ 제일호는 확율 높은 오전 타임 전문 출조합니다~

9월 6일(토요일) 거제권 감성돔 오전낚시 "예약가능"
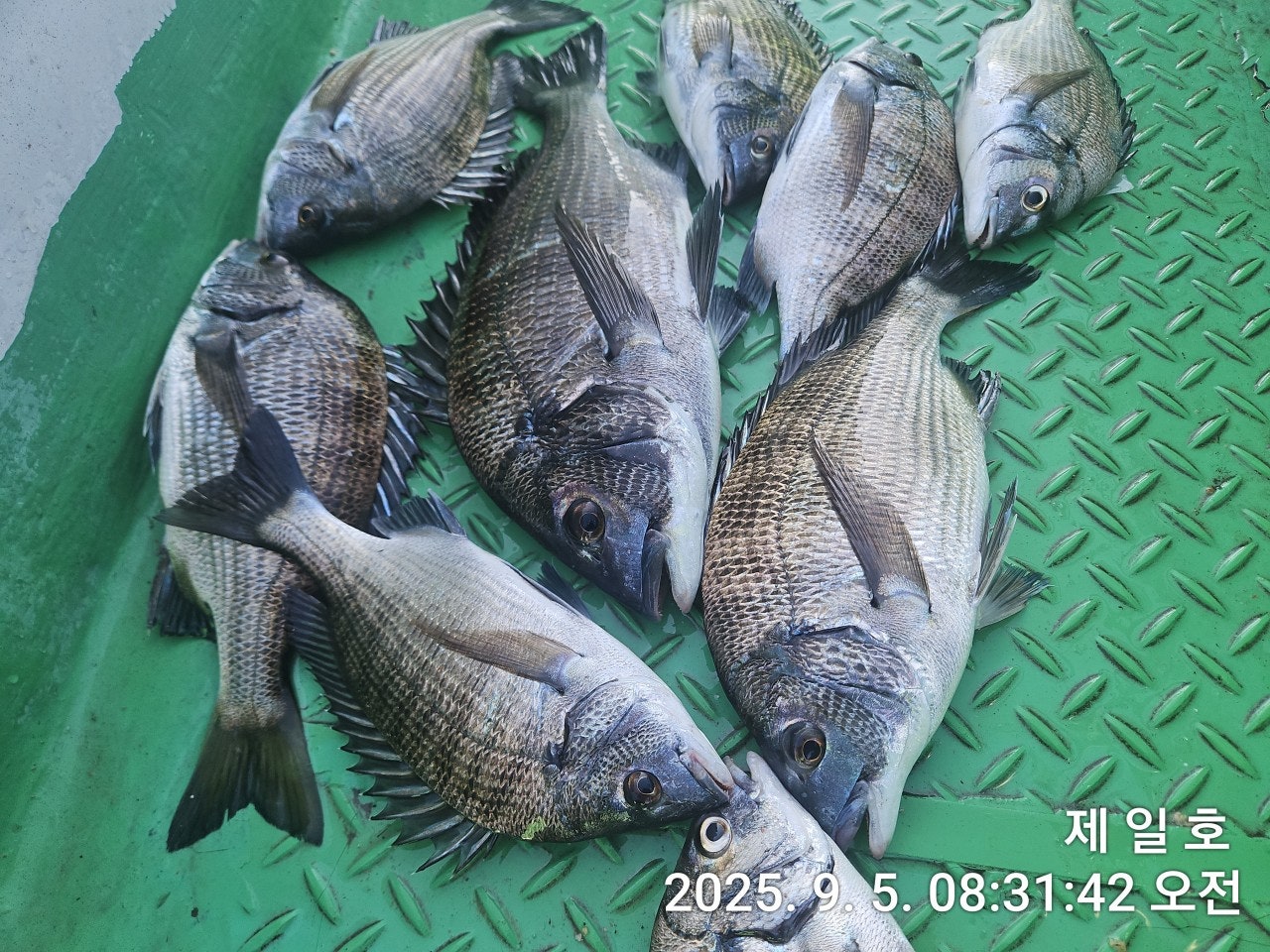
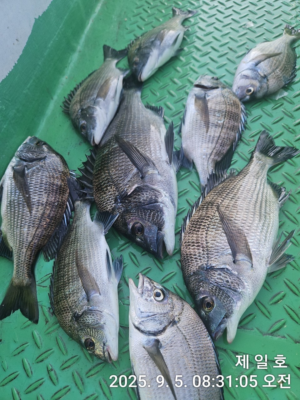
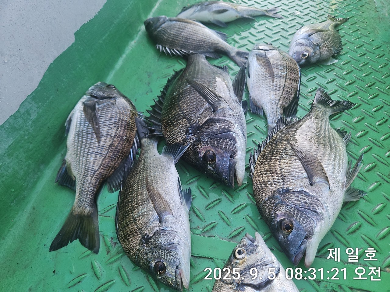
(오전)한 분 4짜급 외 중치급들 마릿수 타작 완료~!!
중치급~대물 내만권 특급 포인트로 직항합니다!!
  • 사용자가 올린 이미지

청곡항 출발 제일호입니다.
한 분의 조사님과 진입한 포인트에서 확율 높은 오전 타임만을
공략했고, 시원하게 찌를 빨아가는 감성돔들의 연속된 입질에
터지고 빠져도 우당탕탕 피딩 타임을 만날 수 있었습니다.
4짜급 외 28Cm까지 가을 감성돔들이 포인트를 점령한 듯하니
시원한 찌맛과 묵직한 손맛이 그리우신 분들은 장비 챙기셔도
좋을 듯 합니다. 확율 높은 오전 낚시 특급 포인트로 달립니다~

당분간, 거제도 감성돔낚시는 오전낚시에 대부분, 입질을 받을 수 있는 시기라
빠른 진입, 빠른 철수, 효율적인 오전 감성돔낚시를 진행하겠습니다.

9월 6일 토요일 거제 내만권 감성돔 흘림낚시 오전 출조 예약 가능합니다~
오늘도 거제 제일호와 함께해주신 조사님들 수고 많으셨습니다.

※감성돔 선상 흘림낚시 출조 시간 안내
- 제일호는 가장 확율 높은 오전 타임 출조를 진행합니다~
-오전(8만원)으로 진행됩니다.

▣ 제일호 감성돔낚시 일정 ▣ 평수지역 포인트(기상 영향 적은 곳)
☆9월 6일(토요일) 오전낚시 거제 핫포인트 감성돔낚시 "예약가능
☆9월 7일(일요일) 오전낚시 거제 핫포인트 감성돔낚시 "예약가능
☆9월 8일(월요일) 오전낚시 거제 핫포인트 감성돔낚시 "예약가능
☆9월 9일(화요일) 오전낚시 거제 핫포인트 감성돔낚시 "예약가능
☆9월 10일(수요일) 오전낚시 거제 핫포인트 감성돔낚시 "예약가능
※ 기상 변화 시 낚시에도 문제가 없는 거제 내만권 감성돔낚시입니다.

▣ 제일호 ☎ 010-2522-6324
▣ 밴드 : band.us/@jaeilho
(선착장) 거제시 사등면 청곡리 18-6번지 청곡방파제
  • 사용자가 올린 이미지
  • 사용자가 올린 이미지
  • 사용자가 올린 이미지
▩감성돔낚시 출조시간 및 선비 안내 ▩
(평일/주말 종일낚시) 05:30 ~ 11시경 철수, 8만원
- 감성돔낚시 독배 예약 문의 (협의 가능).
※ 기상 변화 시 낚시에는 문제가 없는 거제 내만권 감성돔낚시입니다.

<제일호 이용시 유의 사항>
- 신분증은 필히 지참해야 하며, 음주행위는 법으로 금지.- 구명조끼는필수 지참

▣ 제일호 ☎ 010-2522-6324
▣ 밴드 : band.us/@jaeilho
(선착장) 거제시 사등면 청곡리 518-6번지 청곡방파제
- 예약계좌 (수협) 731 62 030701 이성창
  • 사용자가 올린 이미지

, , , , , , , , , , , , , , , , , , , , , , , , , , , , , , , , , ,

  • 페이스북으로 보내기
  • 트위터로 보내기
  • 구글플러스로 보내기
  • 카카오스토리로 보내기
  • 네이버밴드로 보내기
  • 네이버로 보내기
  • 텀블러로 보내기
  • 핀터레스트로 보내기
1 댓글
제일호 25-09-05 10:07 0  
9월 6일 감성돔 오전낚시 예약 가능합니다. 감사합니다.
포토 제목
 
 

인낚 최신글


인낚 최신댓글


온라인 문의 안내


월~금 : 9:00 ~ 18:00
토/일/공휴일 휴무
점심시간 : 12:00 ~ 13:00