고성드래곤 어초 감시흘림 4짜외 마릿수 자리여유

회원랭킹(월 글등록)


공지사항


NaverBand
점주/선장 > 4대돔 조황(감성돔,돌돔,참돔,벵에돔)

▶ 지켜주세요! ◀
 
 - 4대돔(감성돔,돌돔,참돔,벵에돔) 조황을 올리는 게시판입니다.
   타 어종 등재시 예고없이 게시글 삭제 및 이용정지 됩니다.
 - 제목에 특수문자 사용하시면 안됩니다. (온점, 쉼표, 느낌표, 괄호, 물결만 허용)

 ☆ 공지사항에 조황등재시 유의사항을 꼭 확인하여 조황작성 부탁드리며,
     가장 기본적인 규칙이 지켜지지 않을 시, 예고없이 삭제 및 이용정지 될 수 있음을 알려드립니다. 

 
b_hot_innakmall_200x80_240307.jpg b_hot_innakmall_200x80_220704.jpg b_hot_ggsusan_hongeu_200x80.gif b_hot_innakmall_200x80_211203.gif

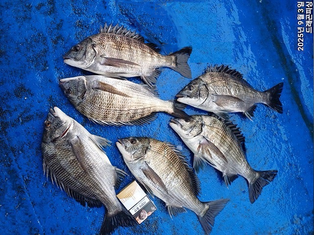
고성드래곤 어초 감시흘림 4짜외 마릿수 자리여유

고성드래곤피싱 0 38
● 출항지 : 고성

토,일 어초 감시 흘림 정상출조 자리여유 함께하실분 연락주세요.
목욜 출조에 낚시 시작하자 감시 입질이 들어오고  
4짜급이하로

마릿수하고 가을 감시 힘이좋아 터지고 빠지는게  많네요.

 

1a3e408e5f8623182fe1cf0bd07acd8b_1756966269_4998.jpg

1a3e408e5f8623182fe1cf0bd07acd8b_1756966273_6855.jpg
 

☞ 감성돔: 출항 5시30분 철수 1시전후 입항

6일:5자리여유7일:6자리여유 8일:7자리여유
☞ 밑밥, 미끼,캔음료,점심 제공
☞ 예약은 입금순으로 합니다.(펑크내는 분들이 너무많아서 이해하세요)

계좌번호 : 국민은행 558201-01-411286 조영식

 

1a3e408e5f8623182fe1cf0bd07acd8b_1756966248_6711.jpg

1a3e408e5f8623182fe1cf0bd07acd8b_1756966252_9125.jpg

■ 고성드래곤피싱 :https://band.us/@dragon6666
밴드에서 바로 조황 확인 예약 가능합니다.

■ 선장 ☎010 9339 6947
■ 출항지 : 구주소: 고성군 삼산면 두포리946-1,
도로명: 경남고성군 삼산면 두포길 522-66( 네이브 지도 드래곤피싱 검색 )

#선상낚시 #흘림찌낚시 #고성선상낚시 #고성낚시배 #감성돔조황 

#바다낚시 #어초 #고성참돔 #고성돌문어전문 #감성돔흘림 

#고성바다낚시 #남해바다 #고성내만갈치 #체험낚시 #고성돌문어낚시 

#통영바다낚시 #출조모집 #초보환영 #회사야유회겸낚시 #내만갈치 

#다잡아생활낚시 #단체환영 #고성갑오징어낚시 #참돔 #고성감성돔낚시 

#고성감성돔 #고성참돔흘림 #고성감성돔흘림 #고성배낚시 

#배낚시 #독배할인

  • 페이스북으로 보내기
  • 트위터로 보내기
  • 구글플러스로 보내기
  • 카카오스토리로 보내기
  • 네이버밴드로 보내기
  • 네이버로 보내기
  • 텀블러로 보내기
  • 핀터레스트로 보내기
0 댓글
포토 제목
 
 

인낚 최신글


인낚 최신댓글


온라인 문의 안내


월~금 : 9:00 ~ 18:00
토/일/공휴일 휴무
점심시간 : 12:00 ~ 13:00