- 4대돔(감성돔,돌돔,참돔,벵에돔) 조황을 올리는 게시판입니다. 타 어종 등재시 예고없이 게시글 삭제 및 이용정지 됩니다. - 제목에 특수문자 사용하시면 안됩니다. (온점, 쉼표, 느낌표, 괄호, 물결만 허용) ☆ 공지사항에 조황등재시 유의사항을 꼭 확인하여 조황작성 부탁드리며, 가장 기본적인 규칙이 지켜지지 않을 시, 예고없이 삭제 및 이용정지 될 수 있음을 알려드립니다. |
![]() |
|
![]() |
![]() |








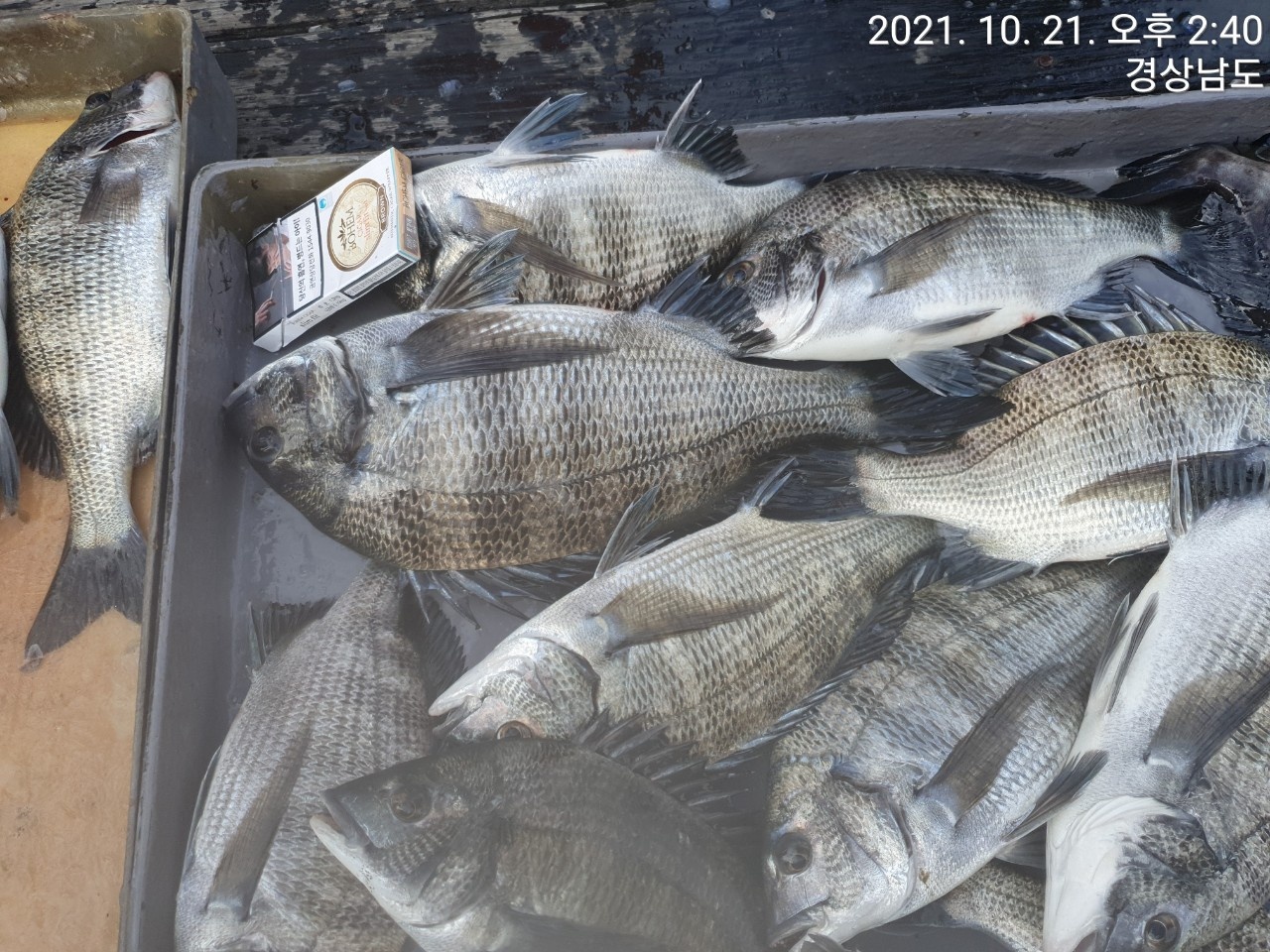
#피싱보헤미안호소식
핫한 조황입니다
큰거 몇마리 터지고
벋겨짐등 있었지만
90프로 이상 다먹으시네요 ㅊㅋㅊㅋ
감성돔 약30마리 정도
평균 싸이즈 35전후가 많았습니다
30이하는 낫마리고
싸이즈들이 굵직굵직 조았습니다
손님고기로 돌돔뻰지2마리와
대포알같은 참숭어 10여마리로잡았지만
감성돔이 많아
사진에 담지는 안았습니다
다음주 화까지 완료
수.목.금 텅비어
개인및 단체 예약가능합니다
오늘 찾아주신
후배조사님들에게
감사인사 남깁니다
※ 안내사항 및 공지사항 ※
★ 입출항 시간 ★
출조시간 입항시간은 유동적이라 전화문의 부탁드리겠습니다
평균적으로 04시~12시
☆주민등록증을 필히 지참하시길 바랍니다.(출항전 승선신고 작성시 필요)
★미리 전화주시면 감사하겠습니다.★
☆선내 음주는 절대 금지입니다.☆
※ 문의 ※
예약문의 : 010-4871-8569
궁금하신점이 있으시면 언제든 연락주세요^^
※ 계좌 ※
농협은행 : 859-12-270084
농협 예금주 : 이영진
★입금시 예약자 성명으로 입금해주세요.
☆예약시 입금우선이며 입금후 예약일과 성명을 문자로 보내주시기 바랍니다.
보헤미안호 밴드 바로가기
<선장.선주가입불가합니다>
☞ https://band.us/band/61239548 ☜
※ 찾아오시는 길 ※
마산합포구 진동면 요장리267-37 (진동광암항)
|
|
|
|





