- 4대돔(감성돔,돌돔,참돔,벵에돔) 조황을 올리는 게시판입니다. 타 어종 등재시 예고없이 게시글 삭제 및 이용정지 됩니다. - 제목에 특수문자 사용하시면 안됩니다. (온점, 쉼표, 느낌표, 괄호, 물결만 허용) ☆ 공지사항에 조황등재시 유의사항을 꼭 확인하여 조황작성 부탁드리며, 가장 기본적인 규칙이 지켜지지 않을 시, 예고없이 삭제 및 이용정지 될 수 있음을 알려드립니다. |
![]() |
|
![]() |
![]() |











*마스크 착용은 의무 입니다.*
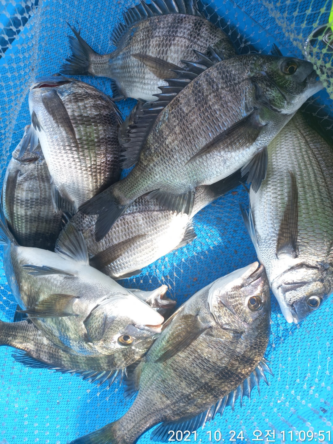
초반 첫입질과 두어번 터져 날라가니 주춤 합니다..
여러군데 옮기면서 마리수를 채워봅니다...
오늘도 많은 마리수로 손맛을 즐겼습니다.
씨알은 전체 여전히 굵직한 넘이 간간이
한마리씩 걸리고 있습니다.
사리 전후로 하여
카고낚시도 도전하겠습니다.
내일또 도전합니다.
좋은 조황 계속 이어지길 바랄께요
♥정상적으로 바닥층 공략 입니다.♥
채비 예쁘게 정렬 최 일순
수심 책크 자주...
26 화요일 예약가능
27 수요일 예약가능
28 목요일 예약가능
29 금요일 예약가능
30토요일 31일요일 예약가능
이후계속예약 가능 합니다...
통영시 용남면 연기길 318
안전운전 하세요
감사 합니다...
*문의주세요*
010 5499 3756
010 9664 3355
블로그바로가기
@ 밴드바로가기 @
https://band.us/band/63489702
...................................................................................
오시는길: 통영스피드낚시점
도로명 주소
~~통영시 용남면 연기길 318번지~~
..........................................................................................................
~안전을 위해서 구명 쪼끼는 반듯이 착용 하시기 바랍니다.~
%%%% 신분증도 꼭 지참을 하셔야 되겠습니다 %%%%
~주류 반입 금지 입니다.~
~마스크 반듯이 착용 부탁할께요^^~
|
|
|
|





