네임
카드
카드
거제학산바다해상펜션
- 좌대/유료터 조황을 올리는 게시판입니다. - 제목에 특수문자 사용하시면 안됩니다. (온점, 쉼표, 느낌표, 괄호, 물결만 허용) ☆ 공지사항에 조황등재시 유의사항을 꼭 확인하여 조황작성 부탁드리며, 가장 기본적인 규칙이 지켜지지 않을 시, 예고없이 삭제 및 이용정지 될 수 있음을 알려드립니다. |
![]() |
|
![]() |
![]() |
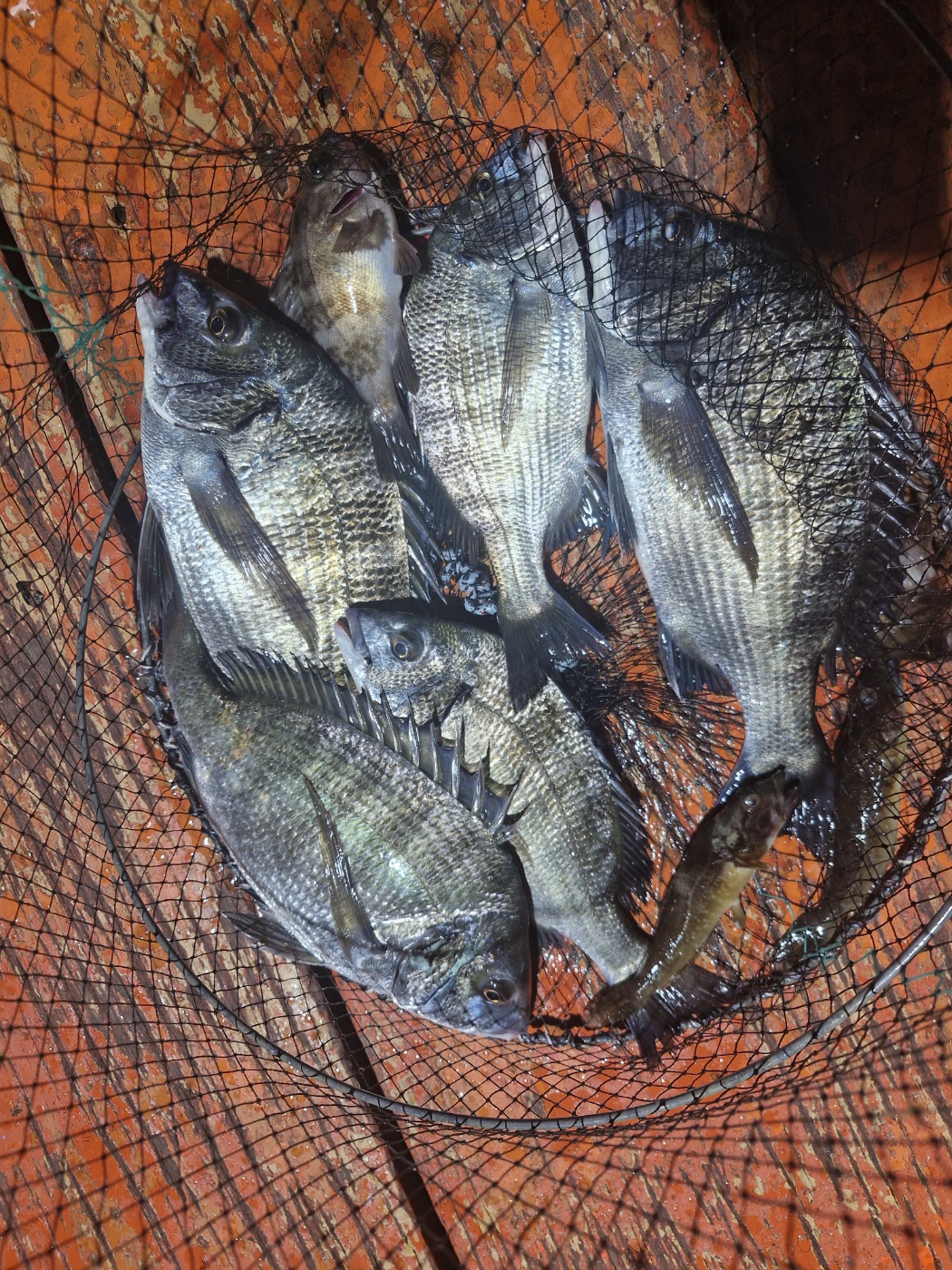
감성돔. 돌돔. 학꽁치. 갈치



감성돔이. 제법. 나오네요. 즐낚하로. 오세요. 봉돌은 25호이상. 준비하시고. 카고. 챙겨오세요
예약문의 010 7232 7262
예약주소 거제시 둔덕면 학산3길81
네이버. 학산바다해상펜션 검색하셔도 됩니다
|
|
|
|





