통영중화낚시터
01월 26일(월)
인낚 현재접속자
1,919명 (
65
)
공지사항
인낚도서관
점주선장전용 공지사항
로그인
광고/제휴 문의
운영진에게
인낚ㅣ인터넷바다낚시
0
어종별선상
어종별갯바위
낚시인조황
점주선장조황
출조정보
낚시광장
낚시지식인
낚시교실
중고장터
휴게실
인낚도서관
인낚몰
0
어종별선상
4대돔 조황
먹물 조황
갈치 조황
볼락&전갱이
빅게임 지깅&파핑
외줄&외수질
기타 어종
어종별갯바위
4대돔 조황
먹물 조황
갈치 조황
볼락&전갱이
농어&삼치&방어&부시리
기타 어종
낚시인조황
낚시인 번개조황
낚시인조행기
스탭조행기
우리낚시동호회이야기
전국낚시동호회소개
동호회갤러리
지난 조황자료보기(년도별 조황 자료)
점주선장조황
전국 실시간 조황
선상(배)+좌대 조황
갯바위+방파제 조황
점주선장전용 공지사항
지난 조황자료보기(년도별 조황 자료)
출조정보
낚시인동행출조
점주선장 갯바위 출조
점주선장 선상출조
기상파고정보(기상청)
해상예보
물때표
파고예보(일본)
실시간해양관측예보
스마트조석예보
낚시광장
낚시계뉴스
대회 및 낚시관련 홍보
제품평가단
신상품소개
낚시지식인
Q&A 묻고 답하기
지식인 베스트
조황/포인트 문의
낚시용품 사용기
낚시투표
토론방
新어류도감
낚시교실
낚시기법소개
어종별 낚시교실
입문자교실
중급자교실
낚시용어사전
중고장터
중고장터 이용후기
더치트 사기피해 검색
팝니다
삽니다
교환합시다
무료로 드립니다
부품팝니다
부품삽니다
일반 생활용품 사고 팔기
휴게실
출석부
낚시갤러리
세상사는 이야기(자유게시판)
낚시이야기 마당
먹고사는 이야기
구인구직
칭찬합니다
어째이런일이
습득물 찾기
인낚도서관
인낚 유튜브
인낚 칼럼
블루, 그것이 알고싶다
더블테일의 두 눈으로 보는 세상
입질의추억의 피싱다이어리
나無의 바다 이야기
전문강좌
海巖의 바다낚시 이야기
이성규의 전유동낚시 강좌
조성민의 금요루어클럽
메인
어종별선상
어종별갯바위
낚시인조황
점주선장조황
출조정보
낚시광장
낚시지식인
낚시교실
중고장터
휴게실
인낚도서관
인낚몰
0
점주/선장 >
좌대/유료터 조황
☆ 공지사항 '조황등재시 유의사항' 게시글 필독
☆
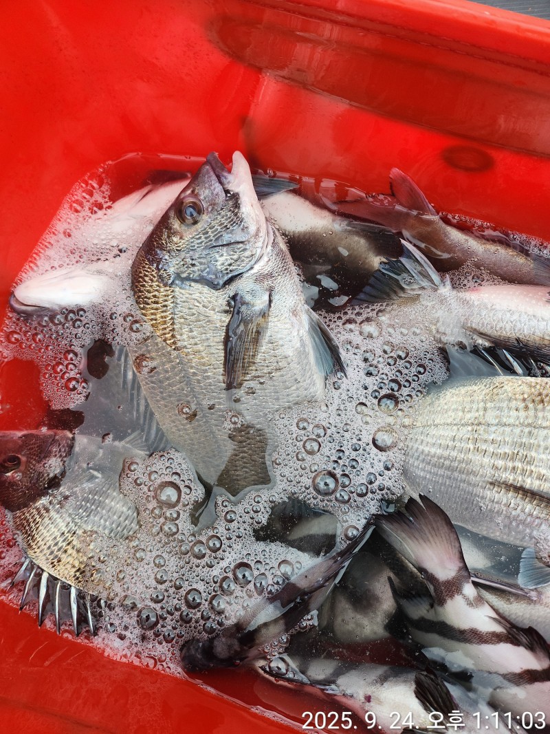
통영중화낚시터
통영중화낚시터
0
719
2025.09.24 14:08
● 출항지 : 통영
● 출조인원 : 3~5명
통영
중화좌대
낚시터 입니다 ^^
요즘은 감성돔,
손님 고기로 쥐치 뽈락도 손맛입맛을
즐겁게 해주고 있습니다
그리고 돌돔(뻰찌)도 올라옵니다
문어도 올라오니 문어채비도 해오시면 조과에 도움이 될듯합니다
첫 출조시간
07시이후
~09시전까지수시출조합니다
마지막 철수시간 15시
15시이전부터는 철수 준비를 미리해주시면 감사하겠습니다
15시 이후에는 출조.철수하지 않습니다
상황에따라 철수출항 유동적일수 있습니다
그리고 조기철수하실분들은
1시간 전에 미리 전화주세요
010 3558 9448
1. 넓은 좌대가 준비되어 있어
자유롭게 낚시를 할수 있습니다
2. 돔형태 와 컨테이너식 두동이
있어서 비바람 및 추위를 피할수 있습니다
(낚시를 하기위한 보조 시설물로 선상펜션과는 다소 차이가 있습니다)
네비게이션주소:통영시 산양일주로 1456
(욕지여객선 건너편 물길마트)
마트에서 승선명부작성 선비포함좌대비 결제하시고 출발하시면됩니다
승선명부작성 순서대로 승선합니다
찾아오시는길
통영대교-삼덕항-
중화
마을-욕지여객선터미널 건너편
물길마트
좌대이용료
*당일 1인기준 왕복
3만원
1박2일 야영 6만원(10시전까지 철수합니다)
010 3558 9448
010 3884 944
8
0
신고
목록
글쓴이
1
0
Lv.1
통영중화낚시터
점주선장
577 (5.7%)
안녕하세요 경상남도 통영에서 낚시터를 운영하고 있습니다.
10.07
통영중화낚시터
09.26
통영중화낚시터
09.24
통영중화낚시터
09.20
통영중화낚시터
09.19
통영중화낚시터
0
댓글
로그인한 회원만 댓글 등록이 가능합니다.
×
Image Upload
로그인한 회원만 등록가능합니다.
포토
제목
이름
날짜
[남해] 송문좌대낚시 조황정보
출항지 : 남해 / 출조지 :
하동송문좌대낚시
389
2025.10.09
하동송문좌대낚시
2025.10.09
[남해] 하동대치좌대 조황
출항지 : 남해 / 출조지 :
하동대치좌대낚시터
654
2025.10.09
하동대치좌대낚시터
2025.10.09
[통영] 감성돔흘림 (실시간) 퍼담는중입니다
출항지 : 통영 / 출조지 :
대박스토리호
255
2025.10.09
대박스토리호
2025.10.09
[사천] (삼천포 건담호)갑돌이들이 버글버글, 일요일 자리여유
출항지 : 사천 / 출조지 :
삼천포건담호
142
2025.10.09
삼천포건담호
2025.10.09
[남해] 송문좌대낚시 조황정보
출항지 : 남해 / 출조지 :
하동송문좌대낚시
245
2025.10.08
하동송문좌대낚시
2025.10.08
[통영] "종일 쉴틈없는 폭풍입질!" .무늬오징어도 보임<연화도당일 좌대…
출항지 : 통영 / 출조지 :
통영원도낚시
390
2025.10.08
통영원도낚시
2025.10.08
[마산] 원전 재영선상ㅡ갈치ㅡ삼치ㅡ
출항지 : 마산 / 출조지 :
원전재영선상낚시터
270
2025.10.08
원전재영선상낚시터
2025.10.08
[진해] 내만갈치 씨알좋아요 쿨러채우러 갑니다 쭉 예약받습니다
출항지 : 진해 / 출조지 :
진해해원피싱
89
2025.10.08
진해해원피싱
2025.10.08
[남해] 하동대치좌대 조황
출항지 : 남해 / 출조지 :
하동대치좌대낚시터
281
2025.10.08
하동대치좌대낚시터
2025.10.08
[통영] ""당일좌대 살림망가득 전갱이"<연화도좌대>
출항지 : 통영 / 출조지 :
통영원도낚시
278
2025.10.08
통영원도낚시
2025.10.08
[통영] 통영중화낚시터
출항지 : 통영 / 출조지 :
통영중화낚시터
922
2025.10.07
통영중화낚시터
2025.10.07
[여수,광양] 금요일에 대빵 큰 갈치 잡으러 갈사람 여기여기 붙어라~ 여수 아…
출항지 : 여수,광양 / 출조지 :
여수아라피싱호
73
2025.10.07
여수아라피싱호
2025.10.07
[진해] 내만갈치 10월7일새벽피딩 사이즈커졌네요 쭉~쭉~예약가능합니다
출항지 : 진해 / 출조지 :
진해해원피싱
78
2025.10.07
진해해원피싱
2025.10.07
[통영] 6일(월) 추석당일 야간팁런 조황입니다
출항지 : 통영 / 출조지 :
통영태성호
84
2025.10.07
통영태성호
2025.10.07
[통영] 무늬팁런..
출항지 : 통영 / 출조지 :
통영드림피싱
82
2025.10.06
통영드림피싱
2025.10.06
초기화
날짜순
조회순
검색
1
2
3
4
5
Search
검색대상
제목
내용
제목+내용
회원아이디
회원아이디(댓글)
글쓴이
글쓴이(댓글)
또는
그리고
검색어
필수
검색
닫기
검색조건
제목
내용
제목+내용
회원아이디
회원아이디(코)
글쓴이
글쓴이(코)
검색어
또는
그리고
검색
인낚몰 초특가
MAEK 맥 호래기 대바늘 호래기콕 J타입 (카본바디 2입)
어부공방 NEW 호래전
야마시타 SB 호래기 대바늘
★3,000★ 하야부사 6단 볼락 전갱이 카드채비 SD724 볼락채비
★1,000★볼락낚시에 최적인 메바트로볼 - 캐스팅볼, 메바볼
★13,000~★3NO 일본 오리지날 직수입 극강 멀티 무광 마크사 원줄
★500★ W쿠션 멀티 수중찌 M L - 전유동 반유동 끄심바리 필수품 수중쿠션
★5,900★ 여러개 있으면 아주 좋은 EVA 시스템 백
★ 1+1 플로팅, 세미, 카본 낚시줄 행사 호수선택가능 / 택상 1+1 원줄, 목줄 행사
★6,000★ 예민함의 끝판왕 애니원찌 벵에돔찌 학공치찌
★15,000★ 오동목 구멍찌 5개 + 메쉬 찌케이스 세트
★22만원★ 40W 집어등을 이 가격에!