하동대치좌대 조황

신상품 소개


회원 랭킹


공지사항


NaverBand
점주/선장 > 좌대/유료터 조황

▶ 지켜주세요! ◀
 
  - 좌대/유료터 조황을 올리는 게시판입니다.  
  - 제목에 특수문자 사용하시면 안됩니다. (온점, 쉼표, 느낌표, 괄호, 물결만 허용)

   ☆ 공지사항에 조황등재시 유의사항을 꼭 확인하여 조황작성 부탁드리며,
      가장 기본적인 규칙이 지켜지지 않을 시, 예고없이 삭제 및 이용정지 될 수 있음을 알려드립니다. 

 
b_hot_innakmall_200x80_240307.jpg b_hot_innakmall_200x80_220704.jpg b_hot_ggsusan_hongeu_200x80.gif b_hot_innakmall_200x80_211203.gif

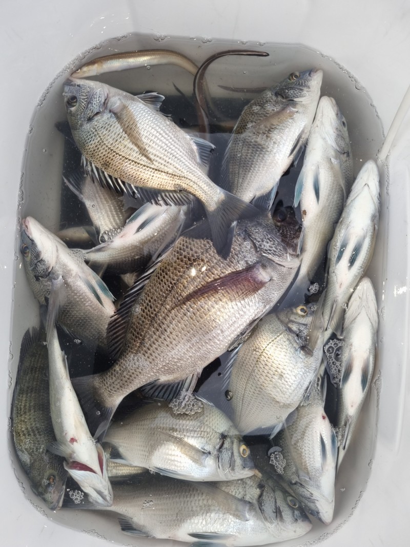
하동대치좌대 조황

하동대치좌대낚시터 0 261
● 출항지 : 남해

3830e336ff5e3ff15879fa70dbde6391_1759889885_5671.jpg



3830e336ff5e3ff15879fa70dbde6391_1759889886_9291.jpg



3830e336ff5e3ff15879fa70dbde6391_1759889887_39.jpg



3830e336ff5e3ff15879fa70dbde6391_1759889889_087.jpg


 

안녕하세요 하동대치좌대 입니다 금일 조황 올려드립니다 

좌대추천, 조황및 낚시문의는 선장님 010 7154 6553

예약문의는 예약번호 01049798202로 문의주세요

https://m.blog.naver.com/kurokibo/222710718257
그외 문의사항은 링크의 블로그참고부탁드립니다

  • 페이스북으로 보내기
  • 트위터로 보내기
  • 구글플러스로 보내기
  • 카카오스토리로 보내기
  • 네이버밴드로 보내기
  • 네이버로 보내기
  • 텀블러로 보내기
  • 핀터레스트로 보내기
0 댓글
포토 제목
 
 

인낚 최신글


인낚 최신댓글


온라인 문의 안내


월~금 : 9:00 ~ 18:00
토/일/공휴일 휴무
점심시간 : 12:00 ~ 13:00