카드
경남 사천시 마도동 저도
158-1
- 좌대/유료터 조황을 올리는 게시판입니다. - 제목에 특수문자 사용하시면 안됩니다. (온점, 쉼표, 느낌표, 괄호, 물결만 허용) ☆ 공지사항에 조황등재시 유의사항을 꼭 확인하여 조황작성 부탁드리며, 가장 기본적인 규칙이 지켜지지 않을 시, 예고없이 삭제 및 이용정지 될 수 있음을 알려드립니다. |
![]() |
|
![]() |
![]() |
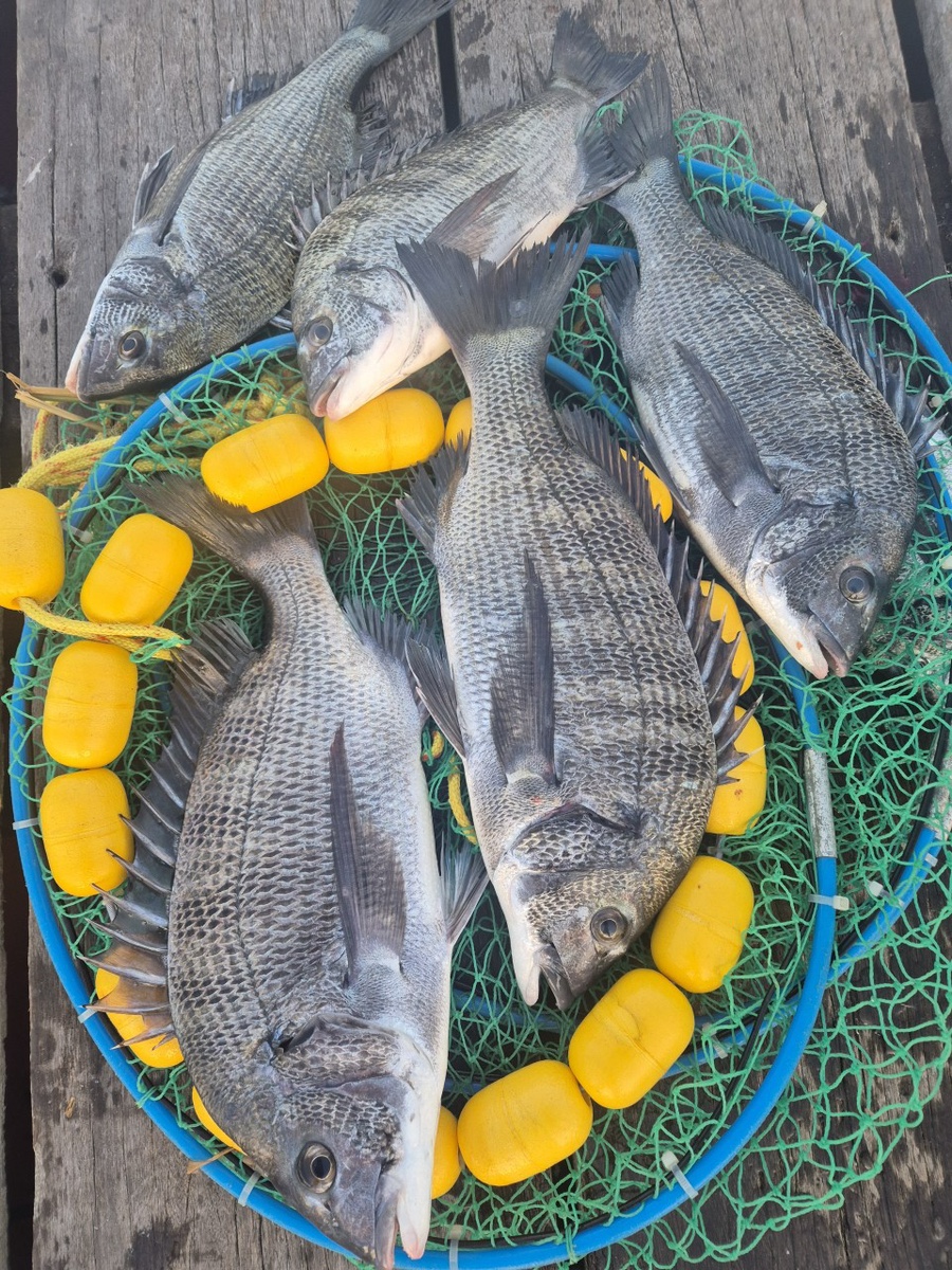
(사천저도좌대&펜션)7월30일 좌대조황입니다
경남 사천시 마도동 저도
158-1
#삼천포좌대 #딱섬 #저도좌대 #저도펜션 #삼천포펜션 #삼천포
#딱섬 #펜션 #딱섬펜션 #사천펜션 #사천저도펜션 #반려견동반펜션
#삼천포딱섬펜션 #낚시 #감성돔 #볼락 #문어 #갑오징어
#농어 #힐링펜션 #휴양펜션 #도다리 #쏨벵이
7월30일 저도 좌대 조황입니다
물색이 돌아오니 감성돔도 문어도 제법 올라오네요
역시나 야간에 씨알급들이 많이 나오네요
25급은 한쿨러씩 나오네요
오늘도 다들수고 하셨습니다
주간 마지막철수 오후 8시
손님이 보내주신 사진이라 날짜가 없습니다
펜션아래 날물방파제는 흘림낚시전용입니다
펜션손님은 낚시대로 자리점유 불가능합니다
식사및취침시 낚시대를 이동해주시기 바랍니다
**30분이상 자리비우시면 장비 한쪽으로 이동합니다**
***타펜션은 유료좌대 이용이 불가합니다
(저도펜션만 가능⭕️)
⤴관리선타는곳: 경남 사천시 실안동 874번지
(바다를 보시고 오른쪽 방파제끝)
▪️예약현황▪️
8월1일(금)1번 독좌대예약완료
8월2일(토)1번 독좌대예약완료
8월15일(금)1번 독좌대예약완료
8월16일(토)1번 독좌대예약완료
8월30일(토)1번 독좌대예약완료
9월13일(토)1번 독좌대예약완료
9월20일(토)1번 독좌대예약완료
9월21일(일)1번 독좌대예약완료
10월18일(토)1번 독좌대예약완료
좌대이용안내
금액:주간,야간:1인 20,000원
2인부터 15,000원
야영 20,000원(2인이상도 1인 2만원)
•좌대이용시간 06:00~20:00
•야간볼락철수:~23:00(중간철수❌)
•야영손님은 명일오전 06:00부터철수
*독좌대 이용 요금
1번좌대 : 200,000원
2번좌대 : 150,000원
3번좌대 : 150,000원
작업장:150,000원
•독좌대예약은
10일전 미리 예약부탁드립니다.
•좌대이용은 왕복선비가
포함된 금액입니다.
방파제끝 텐트 설치불가!!
(안전과 다른손님께 불편을 드리면 안됩니다)
이동에 불편하지 않은곳에 설치해주세요!!
☑️주의사항
•좌대에서 음주 절대 불가
•구명 조끼 필히 착용(미착용시 좌대이용불가/ 배에 비치중)
좌대 이창식 010-6353-2250
펜션 김정미 010-4857-5502
궁금하신점은 언제든 연락주세요!!
고맙습니다~~~
https://band.us/@4000jeodo
|
|
|
|














