카드
경남 사천시 마도동 저도
158-1
- 좌대/유료터 조황을 올리는 게시판입니다. - 제목에 특수문자 사용하시면 안됩니다. (온점, 쉼표, 느낌표, 괄호, 물결만 허용) ☆ 공지사항에 조황등재시 유의사항을 꼭 확인하여 조황작성 부탁드리며, 가장 기본적인 규칙이 지켜지지 않을 시, 예고없이 삭제 및 이용정지 될 수 있음을 알려드립니다. |
![]() |
|
![]() |
![]() |
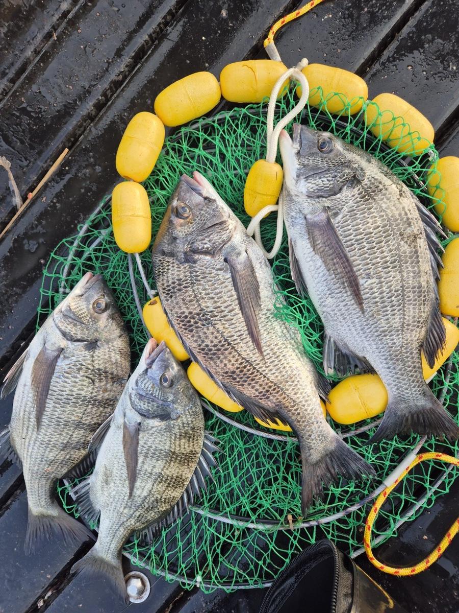
(사천저도좌대&펜션)8월4일 야간감성돔 조황
경남 사천시 마도동 저도
158-1
#삼천포좌대 #딱섬 #저도좌대 #저도펜션 #삼천포펜션 #삼천포
#딱섬 #펜션 #딱섬펜션 #사천펜션 #사천저도펜션 #반려견동반펜션
#삼천포딱섬펜션 #낚시 #감성돔 #볼락 #문어 #갑오징어
#농어 #힐링펜션 #휴양펜션 #도다리 #쏨벵이
8월4일 야간감성돔 조황입니다
야간에 감성돔은 계속 좋은 조황을보이고 있습니다
주간에도 좌대에서 40급들이 꾸준히 올라오고 있네요
오늘도 다들 수고하셨습니다
주간 마지막철수 오후 8시
•야간철수:~22:00(중간철수❌)
펜션아래 날물방파제는 흘림낚시전용입니다
펜션손님은 낚시대로 자리점유 불가능합니다
식사및취침시 낚시대를 이동해주시기 바랍니다
**30분이상 자리비우시면 장비 한쪽으로 이동합니다**
***타펜션은 유료좌대 이용이 불가합니다
(저도펜션만 가능⭕️)
⤴관리선타는곳: 경남 사천시 실안동 874번지
(바다를 보시고 오른쪽 방파제끝)
▪️예약현황▪️
8월15일(금)1번 독좌대예약완료
8월16일(토)1번 독좌대예약완료
8월30일(토)1번 독좌대예약완료
9월13일(토)1번 독좌대예약완료
9월20일(토)1번 독좌대예약완료
9월21일(일)1번 독좌대예약완료
10월18일(토)1번 독좌대예약완료
11월2일(일)1번 독좌대예약완료
11월29일(토)1번 독좌대예약완료
좌대이용안내
금액:주간,야간:1인 20,000원
2인부터 15,000원
야영 20,000원(2인이상도 1인 2만원)
•좌대이용시간 06:00~20:00
•야간철수:~22:00(중간철수❌)
•야영손님은 명일오전 06:00부터철수
*독좌대 이용 요금
1번좌대 : 200,000원
2번좌대 : 150,000원
3번좌대 : 150,000원
작업장:150,000원
•독좌대예약은
10일전 미리 예약부탁드립니다.
•좌대이용은 왕복선비가
포함된 금액입니다.
방파제끝 텐트 설치불가!!
(안전과 다른손님께 불편을 드리면 안됩니다)
이동에 불편하지 않은곳에 설치해주세요!!
☑️주의사항
•좌대에서 음주 절대 불가
•구명 조끼 필히 착용(미착용시 좌대이용불가/ 배에 비치중)
좌대 이창식 010-6353-2250
펜션 김정미 010-4857-5502
궁금하신점은 언제든 연락주세요!!
고맙습니다~~~
https://band.us/@4000jeodo
|
|
|
|












