- 좌대/유료터 조황을 올리는 게시판입니다. - 제목에 특수문자 사용하시면 안됩니다. (온점, 쉼표, 느낌표, 괄호, 물결만 허용) ☆ 공지사항에 조황등재시 유의사항을 꼭 확인하여 조황작성 부탁드리며, 가장 기본적인 규칙이 지켜지지 않을 시, 예고없이 삭제 및 이용정지 될 수 있음을 알려드립니다. |
![]() |
|
![]() |
![]() |
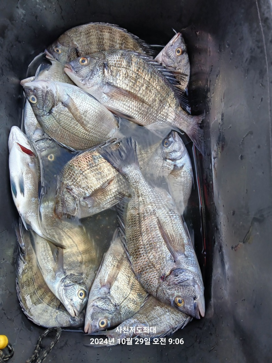
(사천저도좌대&펜션)10월30일조황입니다!#삼천포좌대 #딱섬 #저도좌대 #저도펜션 #삼천포펜션 #삼천포
#딱섬 #펜션 #딱섬펜션 #사천펜션 #사천저도펜션
#반려견동반펜션 #삼천포딱섬펜션 #낚시 #감성돔 #볼락
#문어 #갑오징어 #농어 #힐링펜션 #휴양펜션
**손님이 보내준 사진은 날짜가 없습니다
양해부탁드립니다
10월30일 저도좌대조황입니다
어제야간에는 잡어때문에 제대로 닊시를 못했다고하네요
큰씨알은 없고 작은 씨알의 감성돔만 올라왔다고
합니다
학꽁치는 쿨러조황을보였고
오늘은 문어도 낱마리로 올라왔습니다
이제 수온이 내려가고있고 안정만되면
곧시작되리라봅니다
오늘도 다들수고하셨습니다
어떤분이 저도좌대 평일운항 안한다고
했다는데 저도좌대는 주의보만아니면
매일운항합니다
오늘도다들 수고 하셨습니다
크릴보다는 경단이나 옥수수 혼무시등
대체 미끼 준비하세요
펜션아래 날물방파제는 흘림낚시전용입니다
펜션손님은 낚시대로 자리점유불가능합니다
식사및취침시 낚시대를 이동해주시기 바랍니다
첫배가6시30분부터이고 마지막 철수는
오후5시입니다 야간 마지막 철수는오후10시입니다
그리고 올해 주말 1번 좌대는 독좌대를
안드린다고 했지만 부득이 올해 조개작업을
가을에 하게 되어 1번도 주말에 독좌대를
드리기로 했습니다 다시한번 죄송합니다
이해부탁드립니다
️⤴관리선타는곳: 경남 사천시 실안동 874번지
(바다를 보시고 오른쪽 방파제끝)
▪️예약현황▪️
최대정원은 10명입니다!!
11월1일(금)1번독좌대 예약완료
11월1일(금)2번독좌대 예약완료
11월2일(토)2번독좌대 예약완료
11월9일(토)1번독좌대 예약완료
11월9일(토)2번독좌대 예약완료
11월9일(토)3번독좌대 예약완료
11월10일(일)1번독좌대 예약완료
11월23일(토)1번독좌대 예약완료
11월23일(토)2번독좌대 예약완료
11월23일(토)3번독좌대 예약완료
11월24일(일)1번독좌대 예약완료
11월30일(토)1번독좌대 예약완료
좌대이용안내
금액:주간:1인 20,000원
2인부터 15,000원
야간/야영 20,000원(2인이상도 1인 2만원)
•좌대이용시간 06:30~17:00
•야간볼락철수:~22:00(중간철수❌)
•야영손님은 명일오전 06:30철수
(미철수시 1일선비추가)
관리선 운항시간
•수시운행
•정시철수
*독좌대 이용 요금
1번좌대 : 200,000원
2번좌대 : 150,000원
3번좌대 : 150,000원
작업장:150,000원
•독좌대예약은
10일전 미리 예약부탁드립니다.
•좌대이용은 왕복선비가
포함된 금액입니다.
방파제끝 텐트 설치불가!!
(안전과 다른손님께 불편을 드리면 안됩니다)
이동에 불편하지 않은곳에 설치해주세요!!
☑️주의사항
•좌대에서 음주 절대 불가
•구명 조끼 필히 착용(미착용시 좌대이용불가/ 배에 비치중)
☎️☎️좌대 이창식 010-6353-2250
☎️☎️펜션 김정미 010-4857-5502
궁금하신점은 언제든 연락주세요!!
고맙습니다~~~
안녕하세요~^^ 2025년도 사천저도좌대&펜션을 운영하게되었습니다 2016년도 이어 세번째 운영입니다 열심히 ,성실하게 잘해보겠습니다 잘부탁드립니다
|
|
|
|













