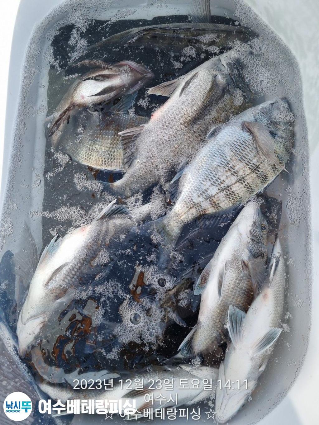
감성돔 내일도 출항합니다 자리여유 ~인생고기 잡으러 가실분들 연락주세요 ~

신상품 소개


회원 랭킹


공지사항


NaverBand
점주/선장 > 좌대/유료터 조황
b_hot_activegloat_200x80.gif b_hot_innakmall_200x80_220704.jpg b_hot_ggsusan_hongeu_200x80.gif b_hot_innakmall_200x80_211203.gif

감성돔 내일도 출항합니다 자리여유 ~인생고기 잡으러 가실분들 연락주세요 ~

에이스피싱007 0 93
● 출항지 : 여수,광양
F2292051N4.jpg낚시뚜에서 인낚으로 보내는 자동조황
top01.png

여수베테랑 갈치선단

여수베테랑피싱

top02.png
감성돔 열심히 흘리고 있습니다
내일 자리여유 ~
인생고기 잡으러 가실분들 연락주세요 ~
예약 010. 3036. 5368
· 출조일시2023-12-24(일)
· 출조인원1명
· 어종감성돔

여/수/베/테/랑/피/싱


안녕하세요? 여수베테랑피싱 입니다.

최고,최선의 노하우를 지닌 선장님,친절한 사무장님을 바탕으로

바다 선상낚시를 운영하는 전문 선사입니다.

 

전 화 문 의

사무실 : 010-3036-5368

  선  주 : 010-8570-5368 

 

저희 여수베테랑피싱

심해왕갈치,감성돔,타이바라,갑오징어,한치,문어,

쭈꾸미,여수 생활선상낚시 전문으로

조우님께서 믿고 찾아와 주신다면

좋은 조과와 편의 서비스로

최선을 다하는 선사가 되겠습니다.

 

네이버에서 한글로 "여수베테랑피싱"을 치세요.

 

www.여수베테랑피싱.com

 

#감성돔출조=>>5짜.5짜.인생고기/내일4명예약중
#쭈꾸미#갑오징어#돌문어#감성돔/생활낚시전문

안녕하세요. 여수베테랑피싱입니다

현재 감성돔 열심히 흘리고 있습니다~

#내일4명예약중 , 평일 자리여유 많습니다

대물이 나올때가 됐는데 올해는 조금 늦네요.

감성돔 꾹꾹꾹 쳐박는 당찬 손맛 , 눈맛 , 입맛

보러 가봅시다. 옷 따뜻하게 입고 오세요.

출조하실분 연락주세요 ~~^^

예약문의 010 3036 5368

조황문의 010 8570 5368

12월 예 약 현 황

12/25 월 5 물 감성돔 4명 예약중

12/26 화 6 물 감성돔 자리여유

12/27 수 7 물 감성돔 자리여유

12/28 목 8 물 감성돔 자리여유

12/29 금 9 물 감성돔 자리여유

12/30 토 10물 감성돔 자리여유

12/31 일 11물 감성돔 자리여유

1월 예 약 현 황

1/ 1 월 12물 감성돔 자리여유

1/ 2 화 13물 감성돔 자리여유

1/ 3 수 14물 감성돔 자리여유

1/ 4 목 조금 감성돔 자리여유

1/ 5 금 1 물 감성돔 자리여유

1/ 6 토 2 물 감성돔 자리여유

1/ 7 일 3 물 감성돔 자리여유

1/ 8 월 4 물 감성돔 자리여유

1/ 9 화 5 물 감성돔 자리여유

1/10 수 6 물 감성돔 자리여유

1/11 목 8 물 감성돔 자리여유

1/12 금 9 물 감성돔 자리여유

1/13 토 10물 감성돔 자리여유

1/14 일 11물 감성돔 자리여유

1/15 월 12물 감성돔 자리여유

1/16 화 13물 감성돔 자리여유

1/17 수 14물 감성돔 자리여유

1/18 목 조금 감성돔 자리여유

1/19 금 1 물 감성돔 자리여유

1/20 토 2 물 감성돔 자리여유

1/21 일 3 물 감성돔 자리여유

1/22 월 4 물 감성돔 자리여유

1/23 화 5 물 감성돔 자리여유

1/24 수 6 물 감성돔 자리여유

1/25 목 7 물 감성돔 자리여유

1/26 금 8 물 감성돔 자리여유

1/27 토 9 물 감성돔 자리여유

1/28 일 10물 감성돔 자리여유

예약문의 010 3036 5368

조황문의 010 8570 5368
F2292051N4.jpgF2292050EY.jpgF2292049US.jpgF2292048A0.jpgF22920472V.jpgF2292046DY.jpgF22920458J.jpgF22920440U.jpgF2292043M6.jpgF2292042OD.jpg
감성돔 내일도 출항합니다

자리 여유 있습니다~

인생고기 잡으러 가실분들 연락주세요

예약문의 010. 3036. 5368

 

20220325.113405.176.M0014543P6_600.jpg 

20220325.113441.793.M0014543P6_600.jpg

선박소개 

톤수 9.77t.  정원 22명. 최신장비 탑재


# 왕갈치 출조 #

16석 : 평일 ?만원 , 주말 ?만원

사무실  승선명부 작성 후 자리 추첨

13시  출항 ~다음날  07시 입항 (유동적)

* 장비 대여시 미리 말씀해주세요.


# 감성돔 출조 #

선비 평일.주말 ?만원 (단체할인)

사무실  명부 작성 후 승선장소 이동

05시 30분 출항 ~ 15시 철수 (유동적) 


# 한치.갑오징어.문어.쭈구미 #

내만 선비 평일 . 주말 ?만원 (단체할인)

먼바다 한치 , 갑오징어 선비 ?만원

사무실  명부 작성 후 승선장소 이동

05시 30분 출항 ~ 15시 철수 (유동적)

 

# 참돔 타이라바 #

선비 평일.주말 ?만원  (단체할인)

사무실  명부 작성 후 승선장소 이동

04시 출항 ~ 15시 철수 (유동적)

 

# 열기.볼락 외줄 #

선비 평일.주말 ?만원 (단체할인)

사무실  명부 작성 후 승선장소 이동

05시 30분 출항 ~ 15시 철수 (유동적)


((((  생활 낚시 독배 환영  ))))

사무실  찾아오시는길

(신주소) 여수시  진두해안길 26-14


배 타는곳

신) 여수시  진두해안길 42


예약 문의

사무실 : 010-3036-5368

선   주 : 010-8570-5368

수협  

2010-0945-8564

김  미  라


* 예약시 주의사항 *

1) 에약 후 취소 사례가 빈번하여  예약금 입금하셔야

예약이 완료됩니다.

(예약 입금 후 전화 부탁드립니다)

2) 미입금시 다음 대기자로 넘어갑니다.

3) 당일 취소는 예약금 환불이 안됩니다.

4) 예약금 환불기준

 출항 3일전 100%, 이틀전 50%, 당일 0%

(기상여건,선사 취소시 전액환불) 

* 준 수 사 항 *

1) 출조시 구명조끼,신분증 꼭 지참바랍니다.

(구명조끼 선내 비치되어 있으나, 있으신 분은 가지고 오세요.)

2) 신분증 반드시 지참 바랍니다.(미지참시 승선불가)

 3) 선내 음주 불가

4) 투채비 불가합니다. 참고 바랍니다.

감사합니다

네비주소 :돌산대교

예약문의

010-3036-5368

수협

2010-0945-8564

김미라

F0572637C1.jpg

여수베테랑 갈치선단

여수베테랑피싱

뉴베테랑호 선장

F1637562JA.jpg
항구명 진두항
승선인원 20명
출조점명 여수베테랑피싱 (돌산대교 바로아래)
배 타는 곳여수시 진두해안길 42

홈페이지 바로가기 Click

낚시뚜


0 댓글
포토 제목
 
 

인낚 최신글


인낚 최신댓글


온라인 문의 안내


월~금 : 9:00 ~ 18:00
토/일/공휴일 휴무
점심시간 : 12:00 ~ 13:00