이용시간 조정 / 삼천포 산분령 유료 낚시터 12/05 조황현황

신상품 소개


회원 랭킹


공지사항


NaverBand
점주/선장 > 좌대/유료터 조황
b_hot_activegloat_200x80.gif b_hot_innakmall_200x80_220704.jpg b_hot_ggsusan_hongeu_200x80.gif b_hot_innakmall_200x80_211203.gif

이용시간 조정 / 삼천포 산분령 유료 낚시터 12/05 조황현황

원양호 0 452
● 출항지 : 사천

30f60cb7196fe7f303f8ac5a7414128e_1701773583_2957.jpg



30f60cb7196fe7f303f8ac5a7414128e_1701773932_9008.jpg

6793c9a3bdc7e0e2b431eed3d8b28a4e_1701849440_32.jpg



6793c9a3bdc7e0e2b431eed3d8b28a4e_1701849440_3869.jpg



 

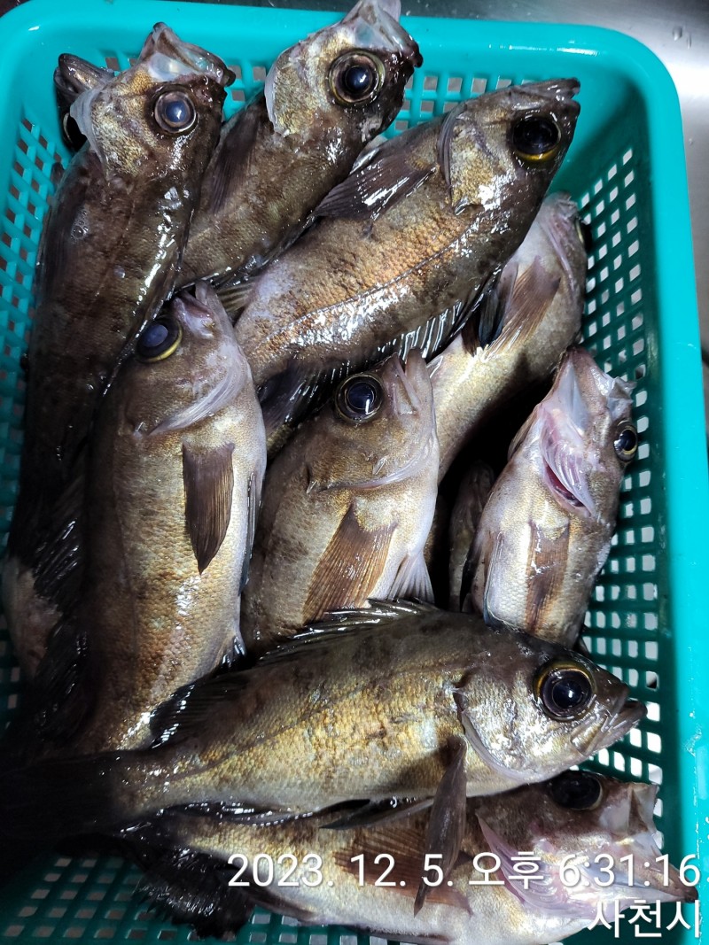
조항현황​

 

안녕하세요 삼천포 산분령 유료 낚시터입니다.

오늘 방파제, 좌대에서 감성돔, 볼락 등이 올라왔습니다.

사이즈도 좋고 살도 실합니다!

 

 

고생 많으셨습니다. 안전 운전 하세요~

 

 

설명

 

미끼는 혼무시, 청개비(지렁이), 새우 등을 사용

채비는 대체적으로 삼천포 물살이 센편이라 카고, 원투 등을 많이 추천합니다

그 외에도 흘림, 찌낚시도 가능합니다.
 

문어, 갑오징어 잡으실땐 애기, 애자, 찌등을 사용 하시면 됩니다.

 

 

 

 

 

 

 

----------------- 소개 및 낚시터 정보 알림 ------------------

 

 

 

 

 

1. 명   칭 : 산분령유료낚시터

 

2. 주   소 : 사천시 산분령길 235, 산분령유료낚시터

 

3. 관리자 : 김원화

 

4. 전화번호 : H.P 010-3552-5371

 

5. 계좌번호 : 농협 845108-51-142303 (예금주 : 김원화)

 

   예약문의는 전화접수 후 입금을 하셔야 예약되오니 양해부탁드립니다.

 

 

 

 

▷▶ 좌대 및 방파제 정보 ◀◁

 

 

 

1.  좌대 4대(1호~4호)

 

    - 좌대마다 방 2칸, 간이화장실 1개, 수돗물(식수금지)이 있습니다.

 

 

2.  해상펜션 1대(5호)

 

    - 에어컨, 샤워시설, 온수, 싱크대, 전자레인지  등 풀옵션

 

 

3. 낚시용 방파제

 

    - 길이 : 200m

 

 

▷▶ 이용시간 ◀◁

 

 

1. 평일 주간 : 08:00 ~ 16:30

 

    - 전날 야간 단체손님이 없을 경우 입실 07:00도 가능 합니다. (전화 필수)

 

2. 야간 : 17:00 ~ 07:30

 

    - 전날 야간 단체손님이 있을 경우 입실시간은 08:00 입니다.

 

 

▷▶ 이용요금 ◀◁

 

 

1. 주간

 

    - 1인 : 20,000원

 

    - 2인 이상 : 15,000원

 

 

2. 야간

 

    - 2인(기본) : 50,000원

 

      ※ 안전상의 이유로 혼자(1인)는 이용불가

 

 

3. 독채(1호~4호)

 

    - 주간 : 130,000원

 

    - 야간 : 170,000원

 

 

4. 해상펜션(5호)

 

    - 주간 : 170,000원

 

    - 야간 : 220,000원

 

 

5. 방파제

 

    - 1인 : 5,000원(낚시하는 분만 받습니다)

 

      ※ 방파제의 경우 마을에서 청소 및 관리비를 받습니다.     

 

 

 

▷▶ 환불 규정 안내 ◀◁

 

 

- 7일 전 : 이용요금 전액환불

 

- 5~6일 전 : 이용요금의 80% 환불

 

- 3~4일 전 : 이용요금의 50% 환불

 

- 2일 전 : 이용요금의 30% 환불

 

- 1일 전~당일 : 이용요금 전액환불 불가

 

 

▷▶ 유의 사항 ◀◁

 

 

1. 미끼, 낚시용품, 취사도구, 음식 등은 사전에 준비하셔야 합니다.

 

2. 야간의 경우 1인은 안전상의 이유로 이용하실 수 없습니다.

 

3. 숯불은 안전상의 이유로 이용하실 수 없습니다 주의 바랍니다.

 

4. 안전상 구명 조끼는 필히 착용 부탁드립니다. (개인적으로 챙겨 오셔도 됩니다.) 

0 댓글
포토 제목
 
 

인낚 최신글


인낚 최신댓글


온라인 문의 안내


월~금 : 9:00 ~ 18:00
토/일/공휴일 휴무
점심시간 : 12:00 ~ 13:00