하동대치좌대 조황

신상품 소개


회원 랭킹


공지사항


NaverBand
점주/선장 > 좌대/유료터 조황
b_hot_activegloat_200x80.gif b_hot_innakmall_200x80_220704.jpg b_hot_ggsusan_hongeu_200x80.gif b_hot_innakmall_200x80_211203.gif

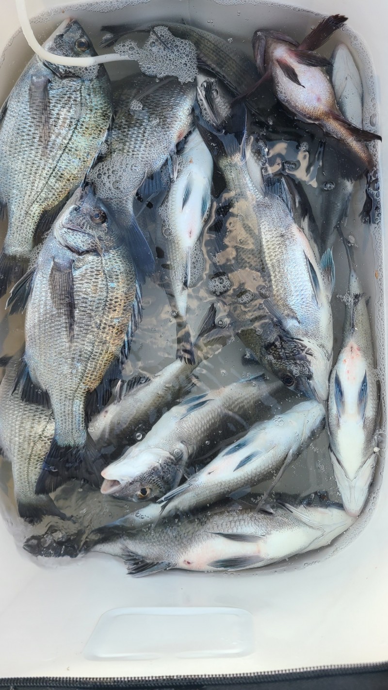
하동대치좌대 조황

하동대치좌대낚시터 0 606
● 출항지 : 남해
11 https://m.blog.naver.com/kurokibo/222710718257

52ffeab6a5f911b1306e1aa4d16d507f_1700425719_0761.jpeg



52ffeab6a5f911b1306e1aa4d16d507f_1700425720_5126.jpeg



52ffeab6a5f911b1306e1aa4d16d507f_1700425720_9022.jpeg



52ffeab6a5f911b1306e1aa4d16d507f_1700425721_6384.jpeg



52ffeab6a5f911b1306e1aa4d16d507f_1700425722_482.jpeg



52ffeab6a5f911b1306e1aa4d16d507f_1700425723_8955.jpeg



52ffeab6a5f911b1306e1aa4d16d507f_1700425724_7829.jpeg
 

안녕하세요 하동대치좌대 입니다 금일 조황 올려드립니다 

좌대추천, 조황및 낚시문의는 선장님 010 7154 6553

예약문의는 예약번호 01049798202로 문의주세요


그외 문의사항은 링크의 블로그참고부탁드립니다.


 

0 댓글
포토 제목
 
 

인낚 최신글


인낚 최신댓글


온라인 문의 안내


월~금 : 9:00 ~ 18:00
토/일/공휴일 휴무
점심시간 : 12:00 ~ 13:00