조항현황
안녕하세요 삼천포 산분령 유료 낚시터입니다.
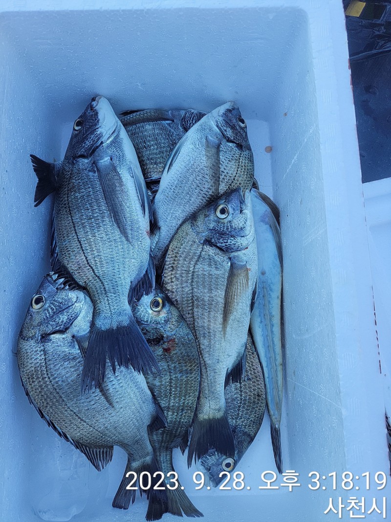
오늘 방파제, 좌대에서 감성돔, 전어, 숭어 등 다양한 어종들을 많이 잡아가셨습니다.
사이즈도 좋고 살도 실합니다!
고생 많으셨습니다. 안전 운전 하세요~
설명
미끼는 혼무시, 청개비(지렁이), 새우 등을 사용
채비는 대체적으로 삼천포 물살이 센편이라 카고, 원투 등을 많이 추천합니다
그 외에도 흘림, 찌낚시도 가능합니다.
문어, 갑오징어 잡으실땐 애기, 애자, 찌등을 사용 하시면 됩니다.
----------------- 소개 및 낚시터 정보 알림 ------------------
1. 명 칭 : 산분령유료낚시터
2. 주 소 : 사천시 산분령길 235, 산분령유료낚시터
3. 관리자 : 김원화
4. 전화번호 : H.P 010-3552-5371
5. 계좌번호 : 농협 845108-51-142303 (예금주 : 김원화)
예약문의는 전화접수 후 입금을 하셔야 예약되오니 양해부탁드립니다.
▷▶ 좌대 및 방파제 정보 ◀◁
1. 좌대 4대(1호~4호)
- 좌대마다 방 2칸, 간이화장실 1개, 수돗물(식수금지)이 있습니다.
2. 해상펜션 1대(5호)
- 에어컨, 샤워시설, 온수, 싱크대, 전자레인지 등 풀옵션
3. 낚시용 방파제
- 길이 : 200m
▷▶ 이용시간 ◀◁
1. 평일 주간 : 06:00 ~ 16:30
2. 야간 : 17:00 ~ 08:00
- 전날 야간 단체손님이 있을 경우 입실시간은 09:00 입니다.
▷▶ 이용요금 ◀◁
1. 주간
- 1인 : 20,000원
- 2인 이상 : 15,000원
2. 야간
- 2인(기본) : 50,000원
※ 안전상의 이유로 혼자(1인)는 이용불가
3. 독채(1호~4호)
- 주간 : 130,000원
- 야간 : 170,000원
4. 해상펜션(5호)
- 주간 : 170,000원
- 야간 : 220,000원
5. 방파제
- 1인 : 5,000원(낚시하는 분만 받습니다)
※ 방파제의 경우 마을에서 청소 및 관리비를 받습니다.
▷▶ 환불 규정 안내 ◀◁
- 7일 전 : 이용요금 전액환불
- 5~6일 전 : 이용요금의 80% 환불
- 3~4일 전 : 이용요금의 50% 환불
- 2일 전 : 이용요금의 30% 환불
- 1일 전~당일 : 이용요금 전액환불 불가
▷▶ 유의 사항 ◀◁
1. 미끼, 낚시용품, 취사도구, 음식 등은 사전에 준비하셔야 합니다.
2. 야간의 경우 1인은 안전상의 이유로 이용하실 수 없습니다.
3. 숯불은 안전상의 이유로 이용하실 수 없습니다 주의 바랍니다.
4. 안전상 구명 조끼는 필히 착용 부탁드립니다. (개인적으로 챙겨 오셔도 됩니다.)