![]() |
|
![]() |
![]() |
낚시뚜에서 인낚으로 보내는 자동조황
| |||||||||||||||||||
여/수/베/테/랑/피/싱 안녕하세요? 여수베테랑피싱 입니다. 최고,최선의 노하우를 지닌 선장님,친절한 사무장님을 바탕으로 바다 선상낚시를 운영하는 전문 선사입니다.
전 화 문 의 사무실 : 010-3036-5368 선 주 : 010-8570-5368
저희 여수베테랑피싱은 심해왕갈치,감성돔,타이바라,갑오징어,한치,문어, 쭈꾸미,여수 생활선상낚시 전문으로 조우님께서 믿고 찾아와 주신다면 좋은 조과와 편의 서비스로 최선을 다하는 선사가 되겠습니다.
네이버에서 한글로 "여수베테랑피싱"을 치세요.
| |||||||||||||||||||
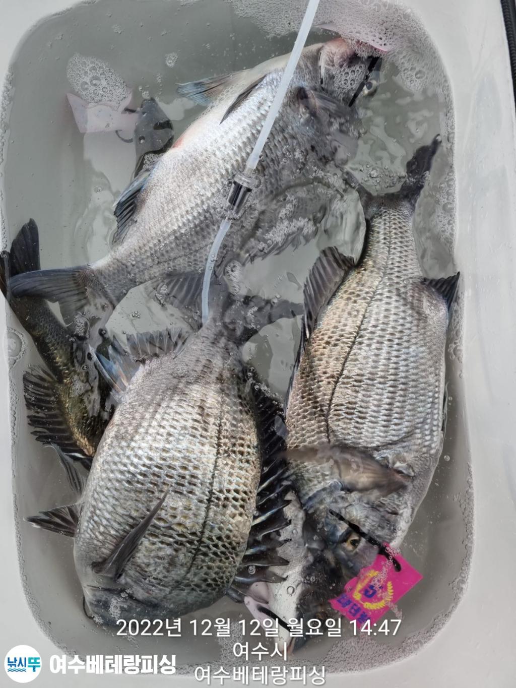
#감성돔출조=>>연속초대박조황/5짜/매일출항 #쭈꾸미출조=>>토요일/알쭈꾸미#황금물때 #주차편리#생활낚시전문#단체&출조점환영 안녕하세요. 여수베테랑피싱입니다 목요일부터 감성돔 출조합니다. 자리여유 많습니다. 연일 초대박 조황을 이어가고 있습니다 소수인원도 출항 , 여유롭게 찌 쭉~쭉~ 흘리면서 당찬 손맛 즐기실분 연락주세요. ● 쭈꾸미예약중=>> 토요일(17일) #황금물때 예약문의 010 3036 5368 조황문의 010 8570 5368 예 약 현 황 12/14 수 13물 감성돔출조 기상악화 12/15 목 14물 감성돔출조 자리여유 12/16 금 조 금 감성돔출조 자리여유 12/17 토 1 물 쭈꾸미출조 6 자리여유 12/18 일 2 물 감성돔출조 자리여유 12/19 월 3 물 감성돔출조 자리여유 12/20 화 4 물 감성돔출조 자리여유 12/21 수 5 물 감성돔출조 독배 완료 12/22 목 6 물 감성돔출조 자리여유 12/23 금 7~8물 감성돔출조 자리여유 12/24 토 9 물 감성돔출조 자리여유 12/25 일 10물 감성돔출조 3 자리여유 12/26 월 11물 감성돔출조 자리여유 12/27 화 12물 감성돔출조 자리여유 12/28 수 13물 감성돔출조 자리여유 예약문의 010 3036 5368 조황문의 010 8570 5368 | |||||||||||||||||||
![]() ![]() ![]() ![]() ![]() ![]() ![]() ![]() ![]() ![]() ![]() ![]() ![]() ![]() ![]() ![]() ![]() | |||||||||||||||||||
당찬 감성돔 손맛 여유롭게 흘리실분 연락주세요 잘 나올때 갑시당. 감사합니다 | |||||||||||||||||||
선박소개 톤수 9.77t. 정원 22명. 최신장비 탑재 # 왕갈치 출조 # 16석 : 평일 ?만원 , 주말 ?만원 사무실 승선명부 작성 후 자리 추첨 13시 출항 ~다음날 07시 입항 (유동적) * 장비 대여시 미리 말씀해주세요. # 감성돔 출조 # 선비 평일.주말 ?만원 (단체할인) 사무실 명부 작성 후 승선장소 이동 05시 30분 출항 ~ 15시 철수 (유동적) # 한치.갑오징어.문어.쭈구미 # 내만 선비 평일 . 주말 ?만원 (단체할인) 먼바다 한치 , 갑오징어 선비 ?만원 사무실 명부 작성 후 승선장소 이동 05시 30분 출항 ~ 15시 철수 (유동적)
# 참돔 타이라바 # 선비 평일.주말 ?만원 (단체할인) 사무실 명부 작성 후 승선장소 이동 04시 출항 ~ 15시 철수 (유동적)
# 열기.볼락 외줄 # 선비 평일.주말 ?만원 (단체할인) 사무실 명부 작성 후 승선장소 이동 05시 30분 출항 ~ 15시 철수 (유동적) (((( 생활 낚시 독배 환영 )))) 사무실 찾아오시는길 (신주소) 여수시 진두해안길 26-14 배 타는곳 신) 여수시 진두해안길 42 예약 문의 사무실 : 010-3036-5368 선 주 : 010-8570-5368 수협 2020-4639-5617 김 석 원 * 예약시 주의사항 * 1) 에약 후 취소 사례가 빈번하여 예약금 입금하셔야 예약이 완료됩니다. (예약 입금 후 전화 부탁드립니다) 2) 미입금시 다음 대기자로 넘어갑니다. 3) 당일 취소는 예약금 환불이 안됩니다. 4) 예약금 환불기준 출항 3일전 100%, 이틀전 50%, 당일 0% (기상여건,선사 취소시 전액환불) * 준 수 사 항 * 1) 출조시 구명조끼,신분증 꼭 지참바랍니다. (구명조끼 선내 비치되어 있으나, 있으신 분은 가지고 오세요.) 2) 신분증 반드시 지참 바랍니다.(미지참시 승선불가) 3) 선내 음주 불가 4) 투채비 불가합니다. 참고 바랍니다. 감사합니다 | |||||||||||||||||||
| |||||||||||||||||||
![]() |
|
|
|
|



























