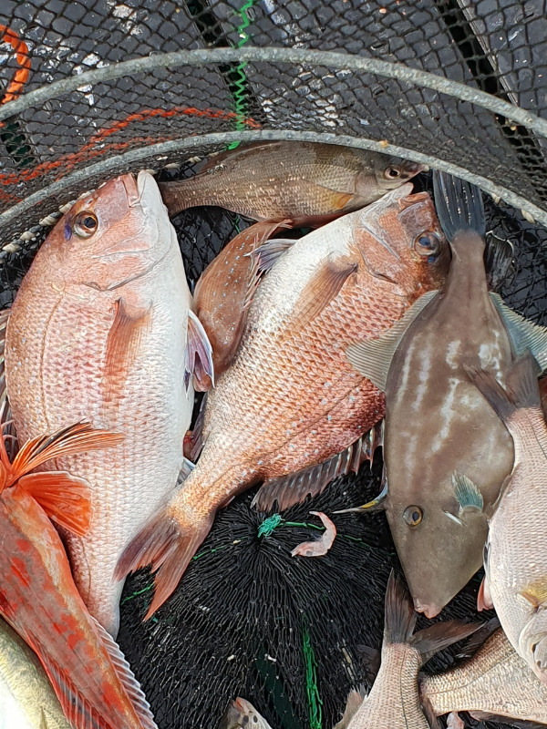
곤리아진호 좌대 참돔 전갱이 고등어 조황

신상품 소개


회원 랭킹


공지사항


NaverBand
점주/선장 > 좌대/유료터 조황
b_hot_activegloat_200x80.gif b_hot_innakmall_200x80_220704.jpg b_hot_ggsusan_hongeu_200x80.gif b_hot_innakmall_200x80_211203.gif

곤리아진호 좌대 참돔 전갱이 고등어 조황

곤리아진호낚시 0 1,109
● 출항지 : 통영
c489a5b51ca1a6d671d76393362c5701.jpg

1669015328964.jpg


Resized_20221121_140727.jpeg


Resized_20221121_135245.jpeg


***** 좌대 조황 *****

전일 조과입니다 
참돔 전갱이 고등어 조황 입니다 ^^


              $$$곤리아진호 밴드 초대합니다$$$

▶ BAND (밴드) : https://band.us/@ahjinfishing

365일 연중무휴 운영중이니 예약문의하시고 찾아주세요^^ 

*****  출조는 삼덕항오시면 ​픽업 갑니다  *****

★ 예약 : 곤리 아진호 ☎ 010-9104-3000

[ 예약 필수 – 선입금예약 ]

★ 계좌번호 : 우리은행 010-9104-3000 장현화 ★

☞ 찾아오시는길 [선착장]
[도로명] 경남 통영시 산양읍 산양일주로 1553-20(수협 선박주유취급소 앞)

구명조끼 무상대여
[미착용시 과태료(해경벌금)있음]
[신분증 필수 지참!!]
 
☆☆  평일 배여유 있으니 당일 예약 후 출조가능합니다.  ☆☆

감사합니다. ^^

#곤리도 #선외기 #선외기낚시 #곤리도낚시 #통영선외기 #선상낚시 #곤리도선외기 #풍화리선외기 #곤리도좌대
 
blank.png1

0 댓글
포토 제목
 
 

인낚 최신글


인낚 최신댓글


온라인 문의 안내


월~금 : 9:00 ~ 18:00
토/일/공휴일 휴무
점심시간 : 12:00 ~ 13:00