통영중화낚시터

신상품 소개


회원 랭킹


공지사항


NaverBand
점주/선장 > 좌대/유료터 조황
b_hot_activegloat_200x80.gif b_hot_innakmall_200x80_220704.jpg b_hot_ggsusan_hongeu_200x80.gif b_hot_innakmall_200x80_211203.gif

통영중화낚시터

통영중화낚시터 0 1,068
● 출항지 : 통영
통영 중화좌대 낚시터 입니다 ^^

코로나19 대비 마스크 착용을 생활화합시다
가게와 선박이동시 꼭 마스크
착용 바랍니다
마스크 미착용시 승선 거부될수도 있습니다

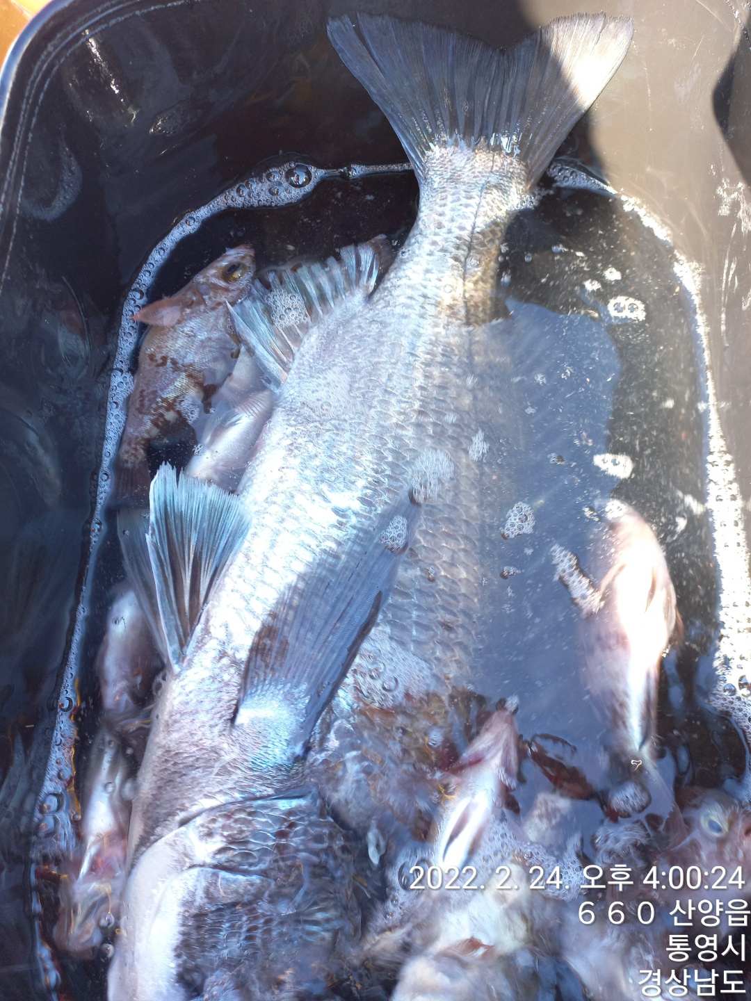
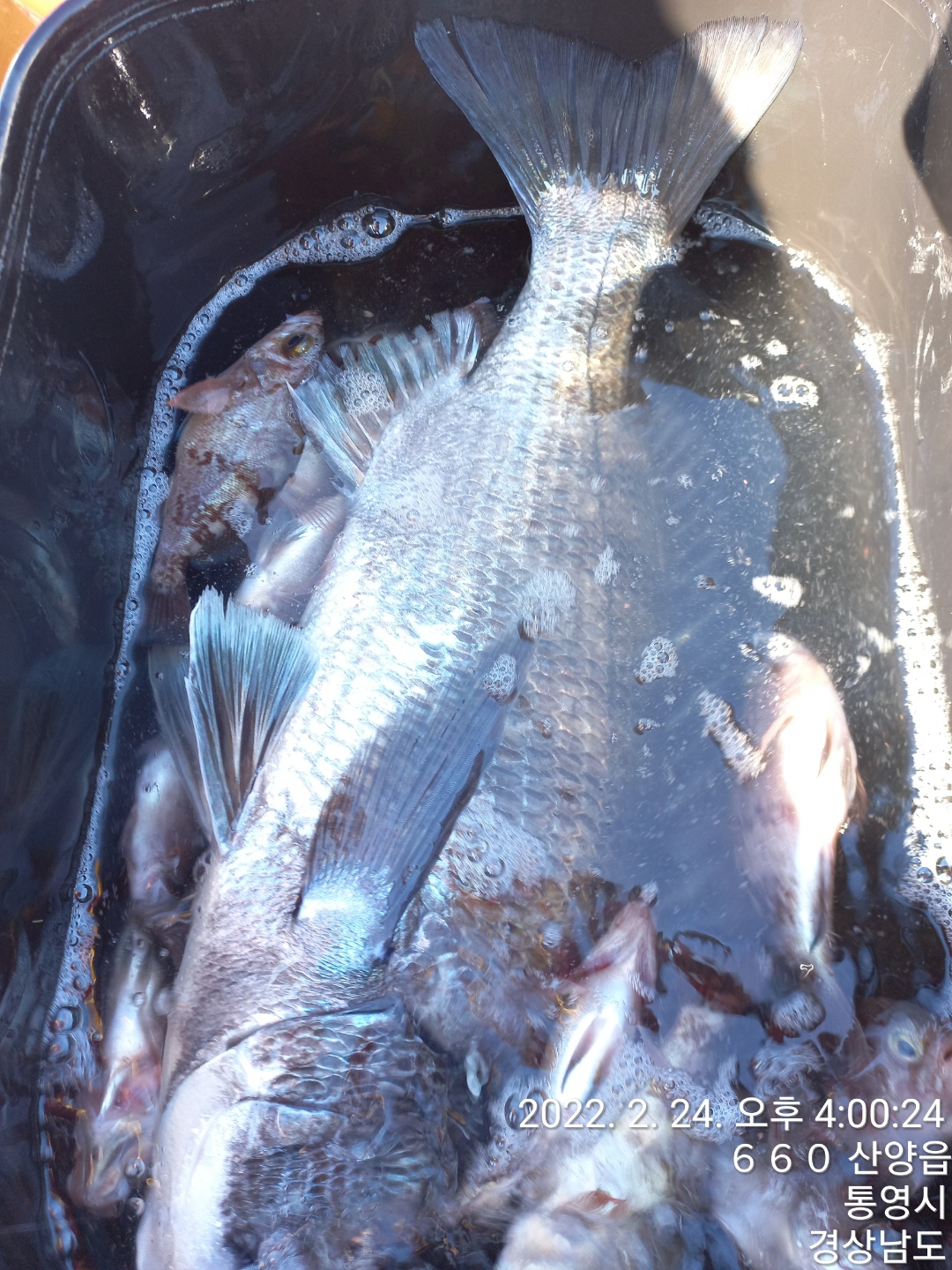
요즘은 감성돔, 손님 고기로 쥐치 뽈락도 손맛입맛을
즐겁게 해주고 있습니다
그리고 갑오징어 무늬오징어 씨알좋은 전갱이가 요즘 많이올라옵니다
문어도 올라오니 문어채비도 해오시면 조과에 도움이 될듯합니다








첫 출조시간  07시00분
마지막 철수시간 16시
15시부터는 철수 준비를 미리해주시면 감사하겠습니다
16시 이후에는 출조.철수하지 않습니다


그리고 조기철수하실분들은
1시간 전에 미리 전화주세요
010 3558 9448

1. 넓은 좌대가 준비되어 있어 
 자유롭게 낚시를 할수 있습니다 

2. 돔형태 와 컨테이너식 두동이 
있어서 비바람 및 추위를 피할수 있습니다

(낚시를 하기위한 보조 시설물로 선상펜션과는 다소 차이가 있습니다)

네비게이션주소:통영시 산양일주로 1456

(욕지여객선 건너편 물길마트)마트에서 승선명부작성 선비포함좌대비 결제하시고 출발하시면됩니다
승선명부작성 순서대로 승선합니다



찾아오시는길
통영대교-삼덕항-중화마을-욕지여객선터미널 건너편
물길마트




좌대이용료

*당일 1인기준 왕복 3만원 
1박2일 야영 6만원
010 3558 9448 
010 3884 944
8

0 댓글
포토 제목
 
 

인낚 최신글


인낚 최신댓글


온라인 문의 안내


월~금 : 9:00 ~ 18:00
토/일/공휴일 휴무
점심시간 : 12:00 ~ 13:00