9월 1일조황
02월 17일(화)
인낚 현재접속자
3,656명 (
171
)
공지사항
인낚도서관
점주선장전용 공지사항
로그인
광고/제휴 문의
운영진에게
인낚ㅣ인터넷바다낚시
0
어종별선상
어종별갯바위
낚시인조황
점주선장조황
출조정보
낚시광장
낚시지식인
낚시교실
중고장터
휴게실
인낚도서관
인낚몰
0
어종별선상
4대돔 조황
먹물 조황
갈치 조황
볼락&전갱이
빅게임 지깅&파핑
외줄&외수질
기타 어종
어종별갯바위
4대돔 조황
먹물 조황
갈치 조황
볼락&전갱이
농어&삼치&방어&부시리
기타 어종
낚시인조황
낚시인 번개조황
낚시인조행기
스탭조행기
우리낚시동호회이야기
전국낚시동호회소개
동호회갤러리
지난 조황자료보기(년도별 조황 자료)
점주선장조황
전국 실시간 조황
선상(배)+좌대 조황
갯바위+방파제 조황
점주선장전용 공지사항
지난 조황자료보기(년도별 조황 자료)
출조정보
낚시인동행출조
점주선장 갯바위 출조
점주선장 선상출조
기상파고정보(기상청)
해상예보
물때표
파고예보(일본)
실시간해양관측예보
스마트조석예보
낚시광장
낚시계뉴스
대회 및 낚시관련 홍보
제품평가단
신상품소개
낚시지식인
Q&A 묻고 답하기
지식인 베스트
조황/포인트 문의
낚시용품 사용기
낚시투표
토론방
新어류도감
낚시교실
낚시기법소개
어종별 낚시교실
입문자교실
중급자교실
낚시용어사전
중고장터
중고장터 이용후기
더치트 사기피해 검색
팝니다
삽니다
교환합시다
무료로 드립니다
부품팝니다
부품삽니다
일반 생활용품 사고 팔기
휴게실
출석부
낚시갤러리
세상사는 이야기(자유게시판)
낚시이야기 마당
먹고사는 이야기
구인구직
칭찬합니다
어째이런일이
습득물 찾기
인낚도서관
인낚 유튜브
인낚 칼럼
블루, 그것이 알고싶다
더블테일의 두 눈으로 보는 세상
입질의추억의 피싱다이어리
나無의 바다 이야기
전문강좌
海巖의 바다낚시 이야기
이성규의 전유동낚시 강좌
조성민의 금요루어클럽
메인
어종별선상
어종별갯바위
낚시인조황
점주선장조황
출조정보
낚시광장
낚시지식인
낚시교실
중고장터
휴게실
인낚도서관
인낚몰
0
점주/선장 >
좌대/유료터 조황
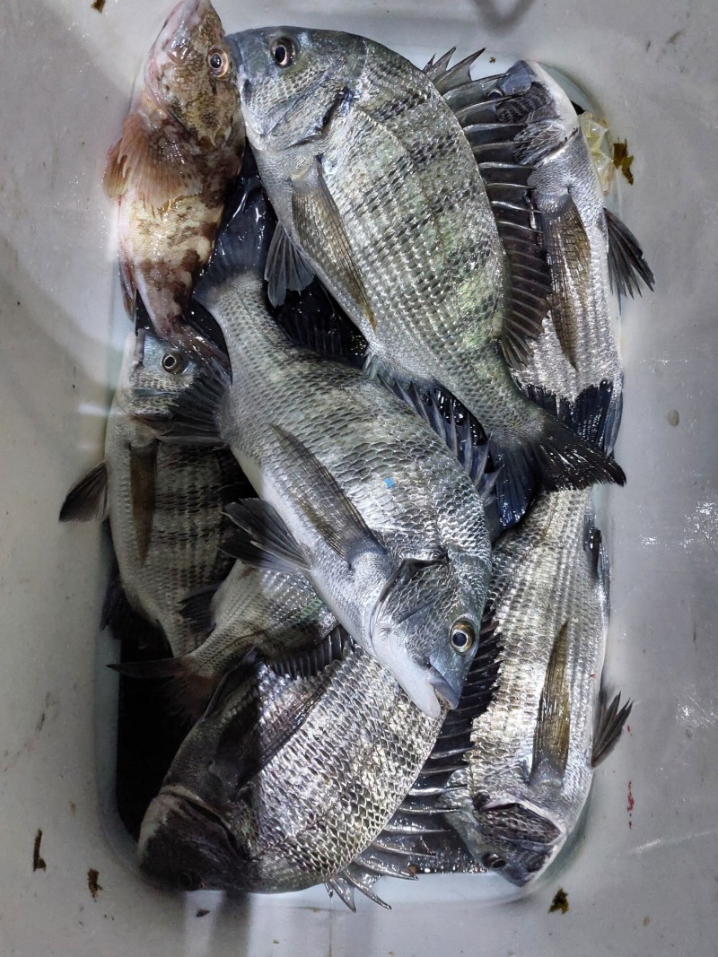
9월 1일조황
하동대치좌대낚시터
0
998
2022.09.02 14:27
● 출항지 : 남해
● 출조인원 : 1~2명
하동대치좌대 9월 1일 조황입니다
0
신고
목록
글쓴이
1
2
Lv.1
하동대치좌대낚시터
점주선장
842 (8.4%)
하동대치낚시터입니다
+1
12.14
하동대치좌대 시즌종료
12.08
하동대치좌대 조황
12.05
하동대치좌대 조황
12.02
하동대치좌대 조황
11.29
하동대치좌대 조황
0
댓글
로그인한 회원만 댓글 등록이 가능합니다.
×
Image Upload
로그인한 회원만 등록가능합니다.
포토
제목
이름
날짜
1
[거제] 뗏마(전마선) 감성돔 욱씬한 손맛~가고파호 조황 (1일 예약)
1
출항지 : 거제 / 출조지 :
거제가고파
372
2022.10.31
거제가고파
2022.10.31
[부산] 가덕진양낚시 좌대조황 22년 10월 31일 월요일
출항지 : 부산 / 출조지 :
가덕진양낚시
370
2022.10.31
가덕진양낚시
2022.10.31
[거제] 10월31일 거제쌍근부용해상펜션 조황입니다
출항지 : 거제 / 출조지 :
쌍근부용해상펜션
954
2022.10.31
쌍근부용해상펜션
2022.10.31
[사천] 삼천포 산분령 유료 낚시터 10/30 조황현황
출항지 : 사천 / 출조지 :
원양호
576
2022.10.31
원양호
2022.10.31
[울산] 10월 30일 조황 소식입니다
출항지 : 울산 / 출조지 :
불샤크
85
2022.10.30
불샤크
2022.10.30
[마산] [10/29 야간] 원전 삼정해상낚시터 #고등어 조황
출항지 : 마산 / 출조지 :
심리왔다낚시
519
2022.10.30
심리왔다낚시
2022.10.30
[사천] <삼천포저도좌대낚시터>10/30일 조황현황
출항지 : 사천 / 출조지 :
저도팬션좌대낚시
772
2022.10.30
저도팬션좌대낚시
2022.10.30
[부산] 가덕진양낚시 좌대조황 22년 10월 30일 일요일
출항지 : 부산 / 출조지 :
가덕진양낚시
388
2022.10.30
가덕진양낚시
2022.10.30
[통영] " 칼 치 , 전 갱 이 가 득 ! "
출항지 : 통영 / 출조지 :
통영원도낚시
954
2022.10.30
통영원도낚시
2022.10.30
[통영] 통영중화낚시터
출항지 : 통영 / 출조지 :
통영중화낚시터
656
2022.10.30
통영중화낚시터
2022.10.30
1
[통영] 전갱이 갈치는 기본..무늬오징어에 감성돔,숭어까지 ~~ (주중,…
1
출항지 : 통영 / 출조지 :
나드리2호
813
2022.10.30
나드리2호
2022.10.30
[서산,태안] 미포좌대
출항지 : 서산,태안 / 출조지 :
미포호
96
2022.10.30
미포호
2022.10.30
[거제] 능포낚시공원 소식입니다
출항지 : 거제 / 출조지 :
능포나이스낚시
1363
2022.10.30
능포나이스낚시
2022.10.30
[울산] 10월 29일 조황 소식입니다
출항지 : 울산 / 출조지 :
불샤크
78
2022.10.29
불샤크
2022.10.29
[마산] [10/27 야간 28주간] 원전 삼정해상낚시터 #고등어 #삼치…
출항지 : 마산 / 출조지 :
심리왔다낚시
444
2022.10.29
심리왔다낚시
2022.10.29
초기화
날짜순
조회순
검색
26
27
28
29
30
Search
검색대상
제목
내용
제목+내용
회원아이디
회원아이디(댓글)
글쓴이
글쓴이(댓글)
또는
그리고
검색어
필수
검색
닫기
검색조건
제목
내용
제목+내용
회원아이디
회원아이디(코)
글쓴이
글쓴이(코)
검색어
또는
그리고
검색
인낚몰 초특가
★설특가 190,000★ 파직스 자동팽창식 구명의 PL-181+원줄+장갑
★설특가 99,000★ 디캡스 자동팽창식 구명복+원줄+장갑
★설특가 8,000부터★ ISF 바칸 삼나무 테이블
★설특가 4,000★ FF 블리츠 전자캐스팅볼 점등 점멸 + 구매수량만큼 425배터리 증정 / 4개단위로 구매시 케이스 증정
★설특가 12,000★ 티렉스 미니 일렉볼 + BR322 배터리 1개 증정
★설특가 6,000★ 티렉스 일렉트로볼 점등 점멸
★설특가 18,000부터★ 1+1 플로팅, 세미, 카본 낚시줄 행사 호수선택가능 / 택상 1+1 원줄, 목줄 행사
★3,000★ MAEK 맥 호래기 대바늘 호래기콕 J타입 (카본바디 2입)
★5,000★ 어부공방 NEW 호래전
★4,500★ 야마시타 SB 호래기 대바늘
★3,000★ 하야부사 6단 볼락 전갱이 카드채비 SD724 볼락채비
★1,000★볼락낚시에 최적인 메바트로볼 - 캐스팅볼, 메바볼