안녕하십니까 딱섬입니다~!
오랜만에 찾아뵙는것 같습니다~^^
주중에 5일동안 찬바람이 많이 불더니 거짓말처럼 오늘은 하늘이 맑아서 오후에는 더운수준이었습니다~^^
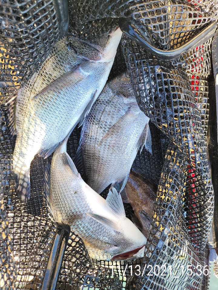
조과는 그닥 만족스런 수준은 아니었고 간간이 3짜 후반대 감시 나오는 수준이었습니다~! 어제 조금시 영향으로 잡어 입질이 많았고 살감시도 많았습니다~!
그 와중에도 제법 씨알좋은 손맛보신분들 계신데 경단이 잡어도 안타고 좋았다는 소문(?)이 있습니다~^^
야간 물때에 입질 좋았습니다~!
물때가 점점 좋아지는데 날씨도 화창한 주말에 손맛보실 조사님들~!
딱섬으로 어서들어 오이소~~!!^^!!
안녕하세요. 삼천포 저도좌대낚시터 신임점장 정선장(^_^)입니다.
올한해 여러조사님들의 열화와 같은 성원에 보답하고자 이한몸 다바쳐서 친절히 성심성의껏 모시겠습니다.
좌대이용안내
*요금
1인 20.000원(오전,오후,야간,야영 모두 동일)
2인부터 15.000원입니다
좌대이용시간 06:00~17:00
안전상의 문제로 저녁5시이후엔 방파제낚시가능하십니다
※관리선 운항시간표※
◎ 주간 운항시간
오전 6:00 ~
★ 오전12시부터 매 1시간 마다 운항
오후 1:00
오후 2:00
오후 3:00
오후 4:00
오후 5:00
★ 10월부터 동절기운영으로 주간 마지막배 철수시간 오후5시로 변경되었습니다
◎ 야간 운항시간
★ 오후10시 야간 마지막 배 운항
★ 야영손님은 명일오전 6시 철수(미철수시 요금부과)
*독좌대 이용 요금:1번 좌대 : 200,000원
2번 3번 좌대 작업장 : 150,000원
독좌대예약은 10일전 미리 예약부탁드립니다^^
*좌대이용은 왕복선비가 포함된 금액입니다
♣ 주의사항♣
* 좌대에서 음주 절대 불가입니다.(※음주 적발시 퇴출 조치합니다.)
* 안전을 위해서 구명 조끼 및 안전 장비를 필히 착용하시고, 낚시하셔야 합니다.
* 낚시터 이동은 원칙적으로 불가하오나, 기상 악천후 시에는 이동가능합니다.
* 섬안에 수달이 돌아다니므로 철수시 살림망을 꼭 챙겨가세요~!!
~펜션이용안내
신관/ 10만원 101~104호(5인실,1층)
201~204호(5인실,2층)
구관/301,302호(10인실, 1층) 15만원
303호(15인실, 2층) 20만원
306호(6인실, 2층) 12만원
*펜션이용시 왕복 선비 5000원이 추가됩니다(좌대를 제외한 모든방파제낚시이용가능)
초등학생이상은 선비받습니다.
*펜션 5일전취소시 80프로환불 2일전취소시 60프로환불 1일전 50프로환불됩니다
*금액및 문의사항은 유선연락하시어 자세히 확인하시기 바랍니다
☆연락처☆
*좌대 : 010-6353-2250 (낚시전화만)
*펜션 : 010-4857-5502
*홈페이지 : https://samchunpojeodo.modoo.at/
~오시는길~
경남 사천시 실안동 874번지(실안선창길34-14)