욕지좌대,참돔,우럭,~~
02월 18일(수)
인낚 현재접속자
4,438명 (
229
)
공지사항
인낚도서관
점주선장전용 공지사항
로그인
광고/제휴 문의
운영진에게
인낚ㅣ인터넷바다낚시
0
어종별선상
어종별갯바위
낚시인조황
점주선장조황
출조정보
낚시광장
낚시지식인
낚시교실
중고장터
휴게실
인낚도서관
인낚몰
0
어종별선상
4대돔 조황
먹물 조황
갈치 조황
볼락&전갱이
빅게임 지깅&파핑
외줄&외수질
기타 어종
어종별갯바위
4대돔 조황
먹물 조황
갈치 조황
볼락&전갱이
농어&삼치&방어&부시리
기타 어종
낚시인조황
낚시인 번개조황
낚시인조행기
스탭조행기
우리낚시동호회이야기
전국낚시동호회소개
동호회갤러리
지난 조황자료보기(년도별 조황 자료)
점주선장조황
전국 실시간 조황
선상(배)+좌대 조황
갯바위+방파제 조황
점주선장전용 공지사항
지난 조황자료보기(년도별 조황 자료)
출조정보
낚시인동행출조
점주선장 갯바위 출조
점주선장 선상출조
기상파고정보(기상청)
해상예보
물때표
파고예보(일본)
실시간해양관측예보
스마트조석예보
낚시광장
낚시계뉴스
대회 및 낚시관련 홍보
제품평가단
신상품소개
낚시지식인
Q&A 묻고 답하기
지식인 베스트
조황/포인트 문의
낚시용품 사용기
낚시투표
토론방
新어류도감
낚시교실
낚시기법소개
어종별 낚시교실
입문자교실
중급자교실
낚시용어사전
중고장터
중고장터 이용후기
더치트 사기피해 검색
팝니다
삽니다
교환합시다
무료로 드립니다
부품팝니다
부품삽니다
일반 생활용품 사고 팔기
휴게실
출석부
낚시갤러리
세상사는 이야기(자유게시판)
낚시이야기 마당
먹고사는 이야기
구인구직
칭찬합니다
어째이런일이
습득물 찾기
인낚도서관
인낚 유튜브
인낚 칼럼
블루, 그것이 알고싶다
더블테일의 두 눈으로 보는 세상
입질의추억의 피싱다이어리
나無의 바다 이야기
전문강좌
海巖의 바다낚시 이야기
이성규의 전유동낚시 강좌
조성민의 금요루어클럽
메인
어종별선상
어종별갯바위
낚시인조황
점주선장조황
출조정보
낚시광장
낚시지식인
낚시교실
중고장터
휴게실
인낚도서관
인낚몰
0
점주/선장 >
좌대/유료터 조황
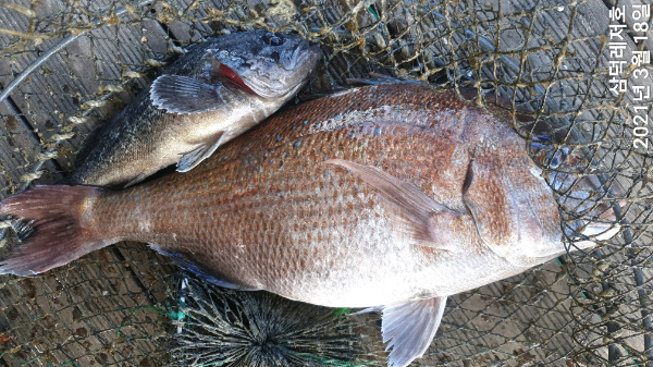
욕지좌대,참돔,우럭,~~
삼덕레저호
0
630
2021.03.19 11:07
● 출항지 : 통영
● 출조인원 : 3~5명
삼덕,레저호 입니다
5짜 참돔 한마리 하셨내요
아직 낮은 수온때문인지 좋은 조황은 아니내요
수온이 더 오를때까지는 참돔 대상으로 낚시 하시는것이
좋을듯 합니다,
당일,강력추천(06시출조15시철수)
☞ 주방에서 고기손질 절대금지 ☜
뜰채필수 ~~
고등어,전갱이는 야간에 나옵니다,
평일,주말 독채위주로 예약 받습니다,
조류가 움직일때는 3단카드 , 조류가 움직이질 않을때는 편대채비
가 좋았습니다,
채비및 낚시대 선택이 중요합니다,
편대 채비가 카드채비보다 조황 월등합니다,
충분한 밑밥 ,준비 부탁 드립니다,
,주말 욕지좌대는 5인이상 독채,독방 위주로
운영 합니다,
본
점에서는 밑밥종류는 판매하지 않습니다,
좌대에 필요한 채비는 있습니다,
개인준비물
코펠,수저,화장지,숯,그물석쇠,칼,도마
욕지좌대,5 인 이상 독채,독방. 사용가능합니다,
주말 빠른 예약 부탁 드립니다,
출조시간안내.
당일출조 : 오전7시 ~ 오후3시철수
야영출조 : 오후2시 ~ 익일 08시 철수
주말,휴일 출조 안내
당일출조 :오전7시 ~ 오후3시 철수
야영출조 : 14시 출조
철수 :익일 08시
단체팀은 사전협의후 시간조정 가능
##기본채비###
참돔 채비
낚시대,1호 ~ 1.5호 대
찌: 1호 ~ 2호
원줄3호 ~
목줄 : 3 ~4호
릴 : 3000 ~4000
고등어,전갱이,
*낚시대는 뽈락루어대나 짧고 초릿대가 예민하면 좋습니다.(편대채비)
*카드는 바늘 3개달린 맨카드와 봉돌은 8호~ 10호정도 사용
*예민한 입질에 대응 할수 있는 편대채비 준비하시면 됨.
이용 요금 안내
당일낚시,
고등학생이상,성인 :)= 55.000
중학생 : = 45000
초등생: = 35000
초등생미만: = 25000
야영낚시
위금액에서
1만원 추가
입니다,
낚시터 준수 사항
1. 실내에서는
"절대금연"
입니다.
2. "지나친 음주"와 "도박", "고성방가"는 자제해주시길 바랍니다.
3. 실내에서는 "휴대용 가스렌지, 숯불,,전기그릴등 화재 위험물의 사용을
금지 합니다.
4. 철수시,이불, 실내 정리정돈 해주시고, 쓰레기는 숙소 밖에 비치되어 쓰레기봉투
========= 삼덕레저 예약안내 ==========
■ 예약문의 :
010-4586-6960 / 010-2504-6961
■ 오시는길 :
경남 통영시 산양읍 원항1길 86
■ 네이버검색 :
삼덕레저호
■ 실시간 홈페이지 예약 :
http://samdeok.sunsang24.com
■ 계좌안내 :
농협 / 813050-52-183319 / 허영욱
0
신고
목록
글쓴이
1
0
Lv.11
삼덕레저호
-
145,728 (3.6%)
등록된 인사글이 없습니다.
11.20
욕지좌대,고등어,전갱이,엄청나옵니다,
11.17
욕지좌대,씨알고등어,전갱이,많이,나옵니다,
11.15
욕지좌대,망태기가,터져요 ~~
11.14
욕지좌대,씨알좋은 고등어,마리수~~~
11.13
욕지좌대,씨알고등어,전갱이"엄청나내요"(주중출조예약중)
0
댓글
로그인한 회원만 댓글 등록이 가능합니다.
×
Image Upload
로그인한 회원만 등록가능합니다.
포토
제목
이름
날짜
[마산] 마산 원전 선상 낚시터에서 올해 날리났네요!
출항지 : 마산 / 출조지 :
25시낚시마산점
1513
2021.09.16
25시낚시마산점
2021.09.16
[사천] 산분령유료낚시터 9월 15일 조황
출항지 : 사천 / 출조지 :
산분령유료낚시터
1130
2021.09.15
산분령유료낚시터
2021.09.15
[사천] 9월14일 삼천포저도팬션좌대낚시 조황현황
출항지 : 사천 / 출조지 :
저도팬션민박좌대낚시
1130
2021.09.14
저도팬션민박좌대낚시
2021.09.14
[통영] 노대신설좌대]팔뚝정갱이.고등어.갈치 간략 조황~[추석연휴 예약공…
출항지 : 통영 / 출조지 :
나드리2호
1464
2021.09.14
나드리2호
2021.09.14
[울산] 9월 13일 조황 소식입니다
출항지 : 울산 / 출조지 :
불샤크
208
2021.09.13
불샤크
2021.09.13
2
[사천] 하동대치해양낚시공원 9월 13일 조항
2
출항지 : 사천 / 출조지 :
대치
2205
2021.09.13
대치
2021.09.13
[통영] [슈퍼피싱] 고객 조행기 및 전갱이 특집!!
출항지 : 통영 / 출조지 :
통영슈퍼피싱
1173
2021.09.13
통영슈퍼피싱
2021.09.13
[통영] 욕지좌대,고등어,전갱이,~~
출항지 : 통영 / 출조지 :
삼덕레저호
1142
2021.09.13
삼덕레저호
2021.09.13
[사천] 9월13일 삼천포저도팬션좌대낚시 조황현황
출항지 : 사천 / 출조지 :
저도팬션민박좌대낚시
1112
2021.09.13
저도팬션민박좌대낚시
2021.09.13
[목포] [갈치바지선낚시] 12일 갈치바지선 씨알 마리수 굿 입니다
출항지 : 목포 / 출조지 :
목포포인트낚시점
240
2021.09.13
목포포인트낚시점
2021.09.13
[울산] (울산송정바다낚시터)9월 12일 조황 소식입니다
출항지 : 울산 / 출조지 :
불샤크
283
2021.09.12
불샤크
2021.09.12
[통영] "그냥 엄청 나단 말밖에는 할말이 없네요!"
출항지 : 통영 / 출조지 :
통영원도낚시
1928
2021.09.12
통영원도낚시
2021.09.12
[홍성,태안] 안면도좌대낚시 피싱게이트 자연식 바다낚시터 9월12일 조황!
출항지 : 홍성,태안 / 출조지 :
안면도러너
322
2021.09.12
안면도러너
2021.09.12
[통영] 통영중화낚시터
출항지 : 통영 / 출조지 :
통영중화낚시터
1155
2021.09.12
통영중화낚시터
2021.09.12
[통영] 당일 슈퍼전갱이 쿨러 조황 입니다
출항지 : 통영 / 출조지 :
부광피싱
927
2021.09.12
부광피싱
2021.09.12
초기화
날짜순
조회순
검색
41
42
43
44
45
Search
검색대상
제목
내용
제목+내용
회원아이디
회원아이디(댓글)
글쓴이
글쓴이(댓글)
또는
그리고
검색어
필수
검색
닫기
검색조건
제목
내용
제목+내용
회원아이디
회원아이디(코)
글쓴이
글쓴이(코)
검색어
또는
그리고
검색
인낚몰 초특가
★설특가 190,000★ 파직스 자동팽창식 구명의 PL-181+원줄+장갑
★설특가 99,000★ 디캡스 자동팽창식 구명복+원줄+장갑
★설특가 8,000부터★ ISF 바칸 삼나무 테이블
★설특가 4,000★ FF 블리츠 전자캐스팅볼 점등 점멸 + 구매수량만큼 425배터리 증정 / 4개단위로 구매시 케이스 증정
★설특가 12,000★ 티렉스 미니 일렉볼 + BR322 배터리 1개 증정
★설특가 6,000★ 티렉스 일렉트로볼 점등 점멸
★설특가 18,000부터★ 1+1 플로팅, 세미, 카본 낚시줄 행사 호수선택가능 / 택상 1+1 원줄, 목줄 행사
★3,000★ MAEK 맥 호래기 대바늘 호래기콕 J타입 (카본바디 2입)
★5,000★ 어부공방 NEW 호래전
★4,500★ 야마시타 SB 호래기 대바늘
★3,000★ 하야부사 6단 볼락 전갱이 카드채비 SD724 볼락채비
★1,000★볼락낚시에 최적인 메바트로볼 - 캐스팅볼, 메바볼