




(한치)
안녕하세요.감포 동경주낚시입니다.
2025년 9월 3일(수) 감포 바다날씨입니다.
아침바다는 물색이 맑고 파도가 잔잔하며 바람없이 맑은 아침입니다.
오늘은 대체로 맑은 날씨에 북~북동풍이 약하게 불고 파도는 약하게
있겠습니다.
현재 감포바다는 바람없이 파도도 잔잔하여 낚시여건은 좋은 상태이
고 낮에도 북동풍이 약하여 낚시여건이 좋겠습니다.몇일간 북동풍이
약하게 불면서 바다기상은 양호하겠습니다.
어제는 바람은 약했으나 낮에 1시간여동안 강한 비가 와서 많이 불편
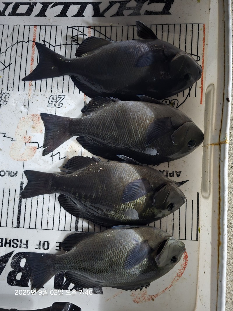
했습니다.전날 떨어졌던 수온은 조금씩 회복되고 있습니다. 벵에돔은
잡어성화는 훨씬 덜했고 중치급이상이 가끔씩 입질하는정도였고 조금
예민했습니다.
방파제 내,외항권에 숭어는 조금씩 나오고 있고 늦은 오후부터 저녁무렵
에 전갱이는 씨알이 좋습니다.
야간에 무늬 오징어는 수온이 완전히 회복되지 않아 조황이 좋지는 않습
니다.
오늘도 안전하고 즐거운 낚시가 되길 바랍니다.
물때 : 4 물 ( 만조 11:43 간조 20:48 )
풍향/파고: 오전 북~북동풍 4~8m(0.5~1.0m) 오후 북~북동풍 4~8m(0.5~1.0m)
표층수온(1~2m권): 18.5도
네이버 밴드 : https://band.us/@dkj7719922
주소:경주시 감포읍 동해안로 2228(구주소:경주시 감포읍 감포리 595-1번지)
(감포 복지회관 삼거리에서 포항방향 900m 우측편)
핸드폰:010-6510-9991
매 장:054)771-9922