- 방파제 조황을 올리는 게시판입니다. - 제목에 특수문자 사용하시면 안됩니다. (온점, 쉼표, 느낌표, 괄호, 물결만 허용) ☆ 공지사항에 조황등재시 유의사항을 꼭 확인하여 조황작성 부탁드리며, 가장 기본적인 규칙이 지켜지지 않을 시, 예고없이 삭제 및 이용정지 될 수 있음을 알려드립니다. |
![]() |
|
![]() |
![]() |
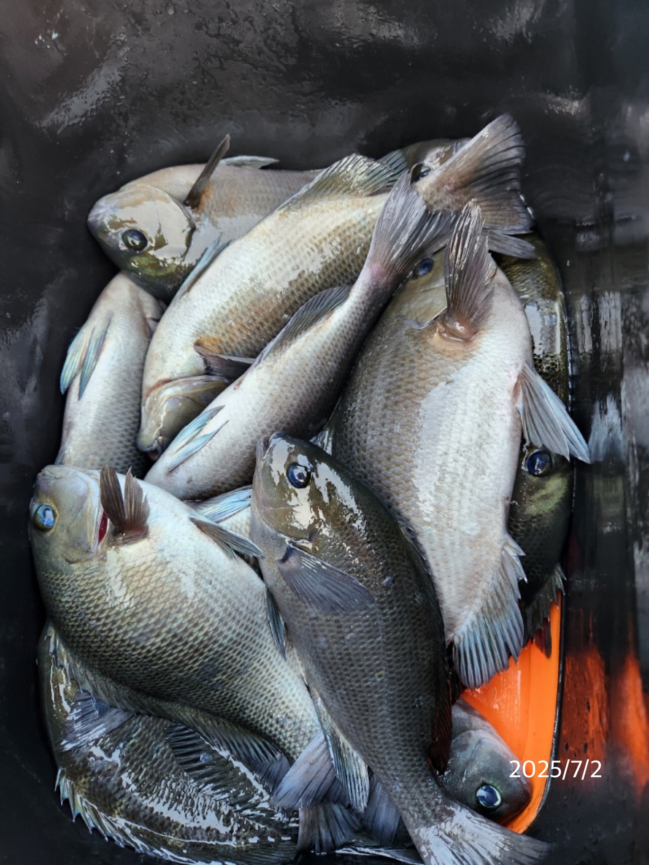
서생권 조황~~금일 서생권 방파제에서
올라온 벵에돔 조황입니다
단골 조우님께서 소식 보내주셨네요
감사합니다 ^^
무더위에도 늘 안낚 즐낚 하시기 바랍니다
일광은파낚시 051-721-7898
|
|
|
|







