- 방파제 조황을 올리는 게시판입니다. - 제목에 특수문자 사용하시면 안됩니다. (온점, 쉼표, 느낌표, 괄호, 물결만 허용) ☆ 공지사항에 조황등재시 유의사항을 꼭 확인하여 조황작성 부탁드리며, 가장 기본적인 규칙이 지켜지지 않을 시, 예고없이 삭제 및 이용정지 될 수 있음을 알려드립니다. |
![]() |
|
![]() |
![]() |




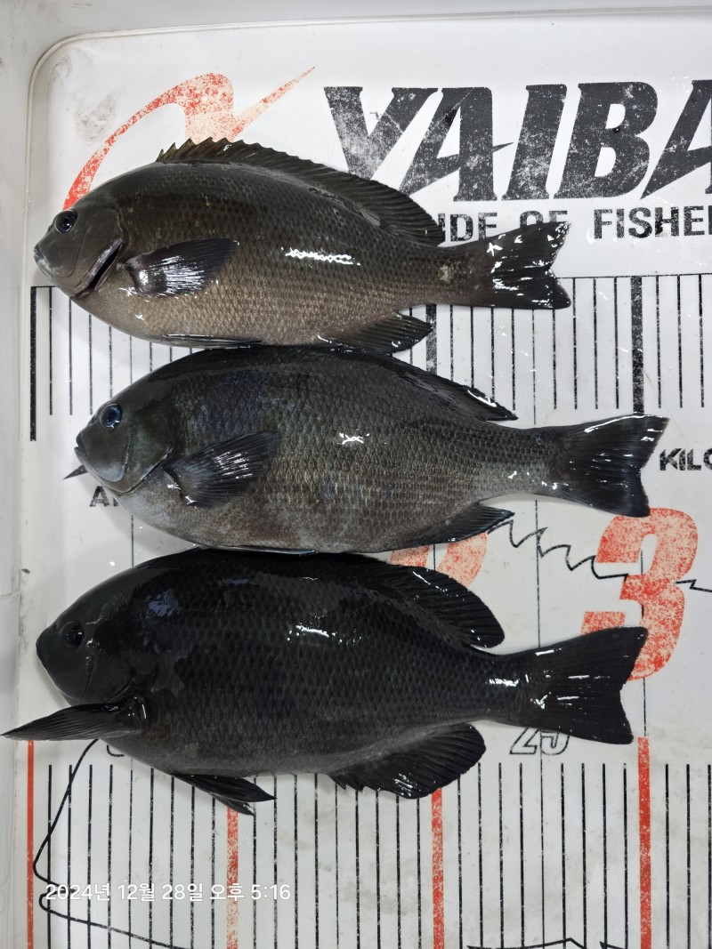
(24~31cm)
긴꼬리32cm
긴꼬리33cm
밤낚시 조황입니다.(33cm이하)
안녕하세요.감포 동경주낚시입니다.
2024년 12월 29일 일요일 감포 바다날씨입니다.
아침바다는 물색이 맑고 파도가 약간 있으며 바람없이 맑은 아침입니
다.오늘은 맑은 날씨에 서~북서풍이 다소 불고 파도는 약간 있겠습니
다.
현재 감포바다는 바람없이 파도도 약하여 낚시여건이 좋은 상태입니
다.낮에 북서풍이 약해져 오후에도 낚시여건은 무난하겠습니다.
어제는 파도는 높지 않았으나 바람이 강하여 낚시여건이 많이 불편했
습니다.낮에는 남풍에다 돌풍까지 불면서 많은 어려움이 있었습니다.
벵에돔은 주로 중층권(2~5m)에서 입질이 있었고 상층권보다는 약간
깊은곳에서 씨알이 좋았습니다.긴꼬리 개체수가 많이 있으며 크릴,홍개
비에 반응이 괜찮습니다.
야간에 볼락은 집어가 많이되고 있고 입질은 한번씩 예민합니다.조금 먼
곳에는 씨알이 좋습니다.
원투낚시에는 쏨벵이,꺽저구등이 잡히고 전갱이는 한뼘내외로 씨알이 크
지는 않습니다.
오늘도 안전하고 즐거운 낚시가 되길 바랍니다.
물때 : 6 물 ( 만조 01:59 간조 10:37 )
풍향/파고: 오전 서~북서풍 7~11m(0.5~2.0m) 오후 서~북서풍 6~9m(0.5~1.5m)
표층수온(1~2m권): 14.3도
네이버 밴드 : https://band.us/@dkj7719922
주소:경주시 감포읍 동해안로 2228(구주소:경주시 감포읍 감포리 595-1번지)
(감포 복지회관 삼거리에서 포항방향 900m 우측편)
핸드폰:010-6510-9991
매 장:054)771-9922
|
|
|
|





